500 Famille-Cote, Av De La#
Last updated: 2026-03-19 ยท ID: D07-12-26-0012
Summary#
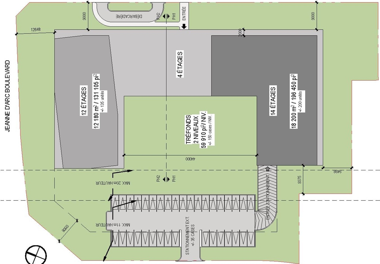
The proposed high-rise residential development features a 12-storey tower and a 14-starey tower connected by a 4-storey podium. The development Is expected to have 354 units and is geared towards the 50+ demographic. There will be a drop-off area, walkway, and entrance at the front of the buildlng on Famille-Cote Avenue. There will be an at-grade parkng lot {-20 vehldes) to the rear of the development, with a ramp leading to an underground parking garage with approxlmately 378 spaces. The site’s parking will be accessed off Bilberry Drive to the west.
Status
Active (Circulation Package Prepared)
Renders#
Site Plans, Elevations and Floor Plans#
Additional Information#
| Date Initiated | 2026-02-09 |
| Ward | Ward 2 - Laura Dudas |













































