251 Linseed#
Last updated: 2026-03-25 · ID: D07-12-25-0148
Summary#
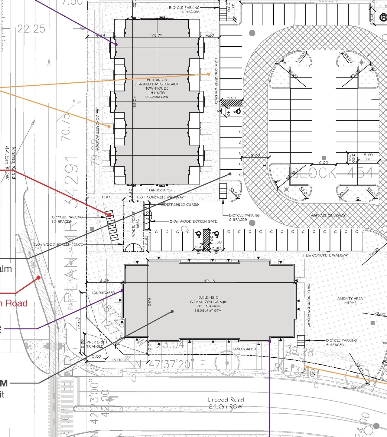
A Site Plan Control application has been submitted for a planned unit development consisting of a mixed-use building and three back-to-back townhouse blocks. The proposed development includes 72 residential units, 705 m2 of commercial space, and 117 parking spaces.
Status
File Pending (Application File Pending)
Building Scale (Max.)
Based on elevation drawings. Values may be approximate. See sources for exact figures.
Mid-rise · 4 storeys
Data Quality Note
Text was extracted using optical character recognition. This may introduce artifacts or misreads.
· 13.4 m
Data Quality Note
Text was extracted using optical character recognition. This may introduce artifacts or misreads.
Site Plans, Elevations and Floor Plans#
Additional Information#
| Date Initiated | 2025-11-12 |
| Ward | Ward 4 - Cathy Curry |




