40 Beechcliffe St.#
Last updated: 2026-03-11 ยท ID: D07-12-25-0091
Summary#
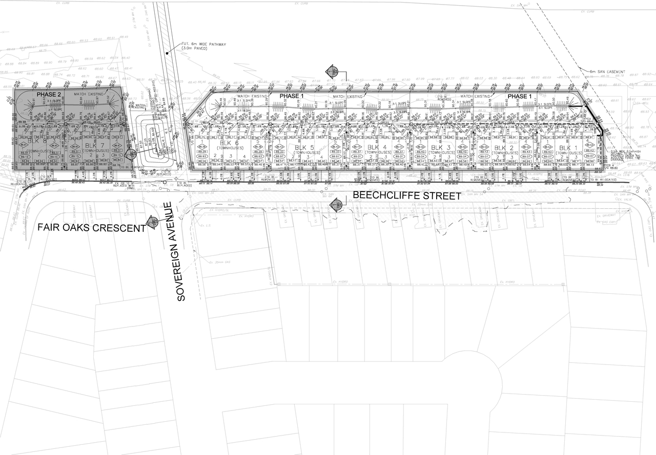
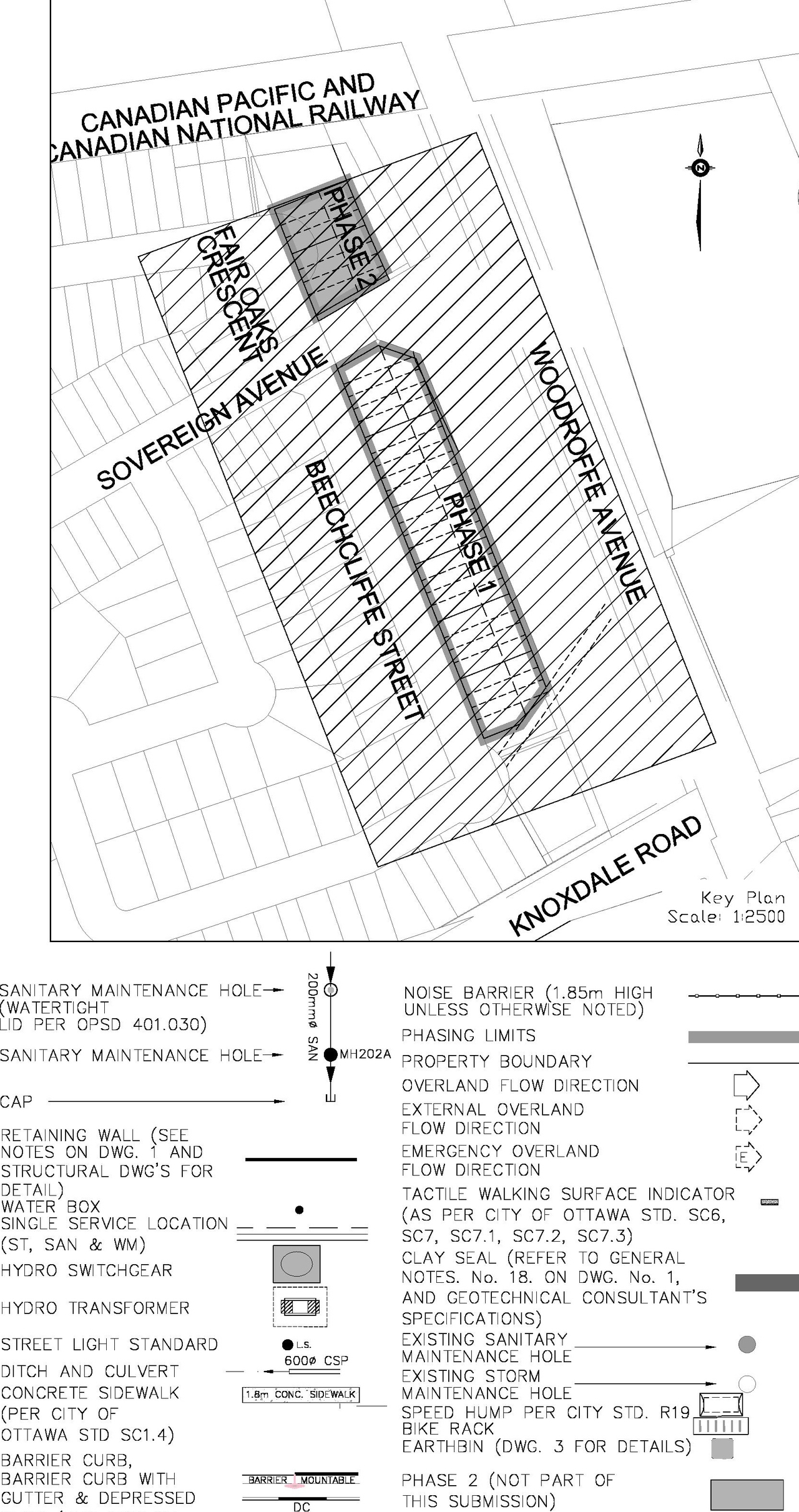
Affordable housing - 33 residential townhomes within two parcels. The southern parcel, containing 26 units fronting onto Beechcliffe Street. The northern parcel, containing 7 units fronting onto Fair Oaks Crescent.
Status
Inactive (Notice of Decision Sent)
Location#
Select a marker to view the address.
Site Plans, Elevations and Floor Plans#
Additional Information#
| Date Initiated | 2025-07-02 |
| Ward | Ward 9 - Sean Devine |
Documents#
Related Projects#
| Project | Last Updated | Date Initiated |
|---|---|---|
| 2024-12-05 | 2024-09-06 |























