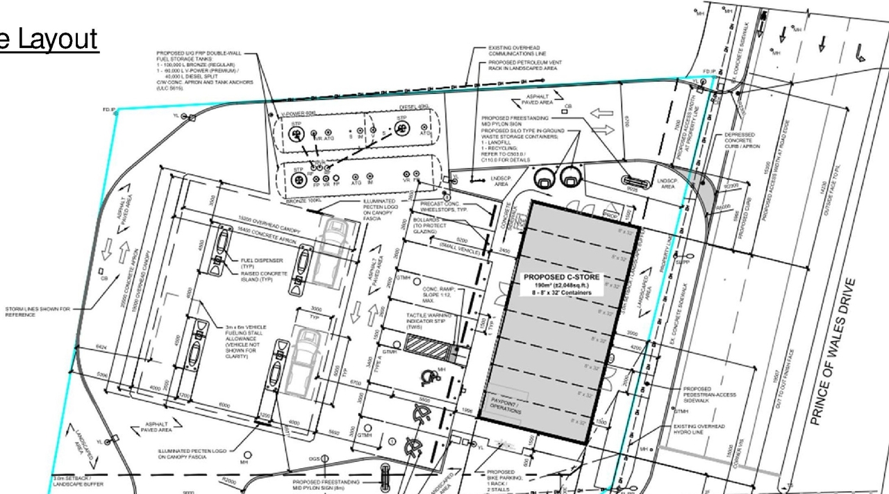
1440 Prince of Wales Dr.#
Last updated: 2026-03-20 · ID: D07-12-24-0166
Summary#
A new gas station, consisting of a gas bar canopy and convenience store.
Status
Inactive (Application Approved)
Building Scale (Max.)
Based on elevation drawings. Values may be approximate. See sources for exact figures.
Low-rise · 1 storey
· 5.9 m
Data Quality Note
Height was partially estimated using visual scale. This may be approximate.
Location#
Select a marker to view the address.
Site Plans, Elevations and Floor Plans#
Additional Information#
| Date Initiated | 2024-12-11 |
| Ward | Ward 16 - Riley Brockington |


