298 Axis Way#
Last updated: 2026-02-27 · ID: D07-12-24-0164
Summary#
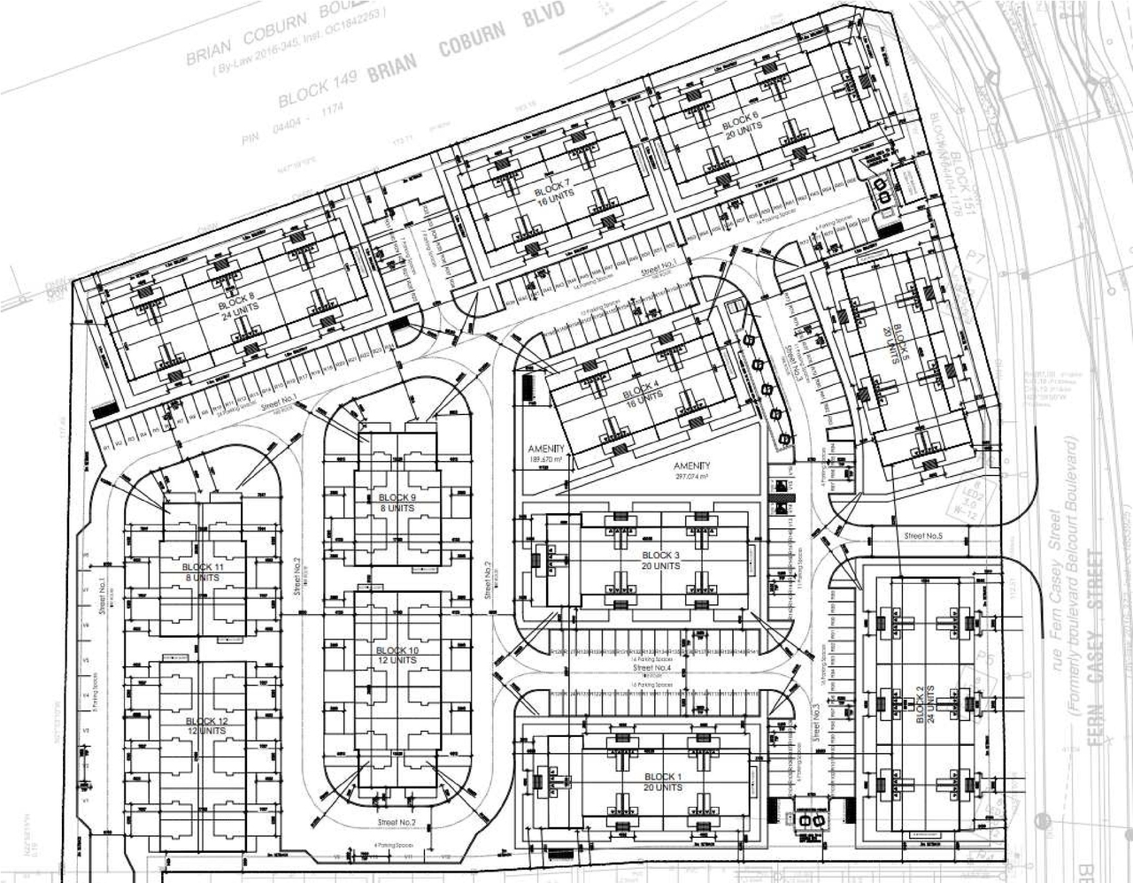
A Site Plan Control application to construct a low-rise planning unit development with associated parking and amenity area. There will be 12 three-storey stacked dwellings and back-to-to back townhouse blocks, with a total of 200 units and a total floor area of 20,653 square metres.
Status
File Pending (Application File Pending)
Building Scale (Max.)
Based on elevation drawings. Values may be approximate. See sources for exact figures.
Low-rise · 3 storeys
· 12.1 m
Data Quality Note
Height was partially estimated using visual scale. This may be approximate.
Renders#
Location#
Select a marker to view the address.
Site Plans, Elevations and Floor Plans#
Additional Information#
| Date Initiated | 2024-12-10 |
| Ward | Ward 19 - Catherine Kitts |









