Ottawa Development Projects

3610 Innes Rd.#

Last updated: 2026-01-24 ยท ID: D07-12-24-0141

Summary#

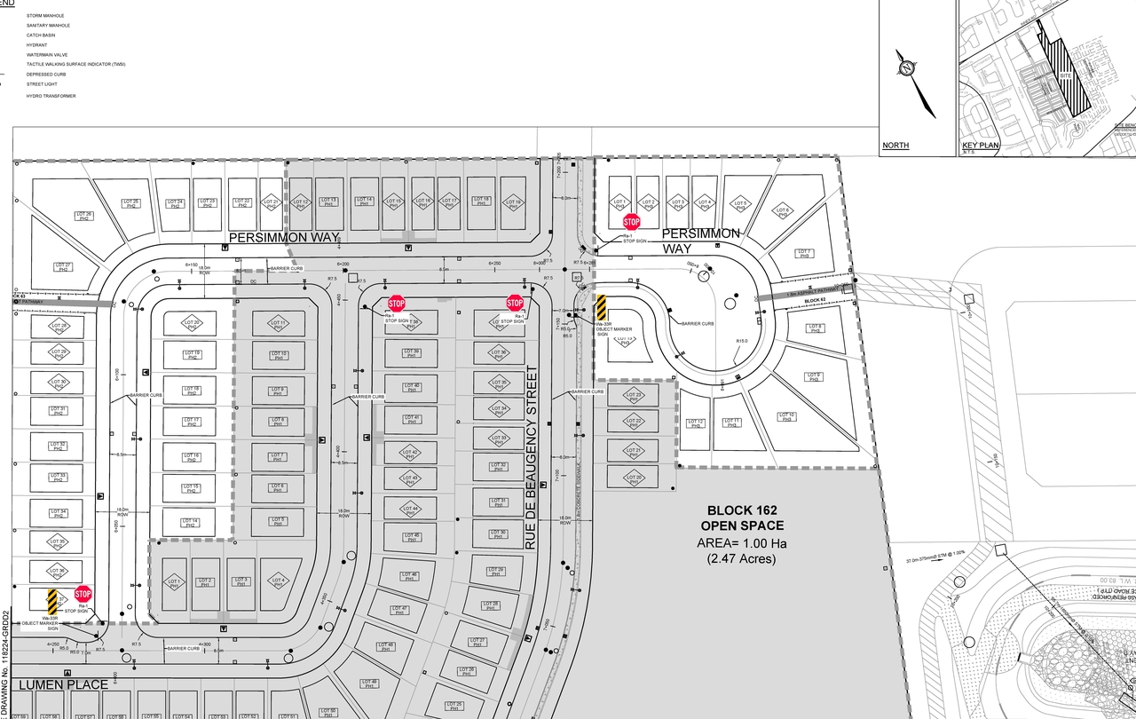
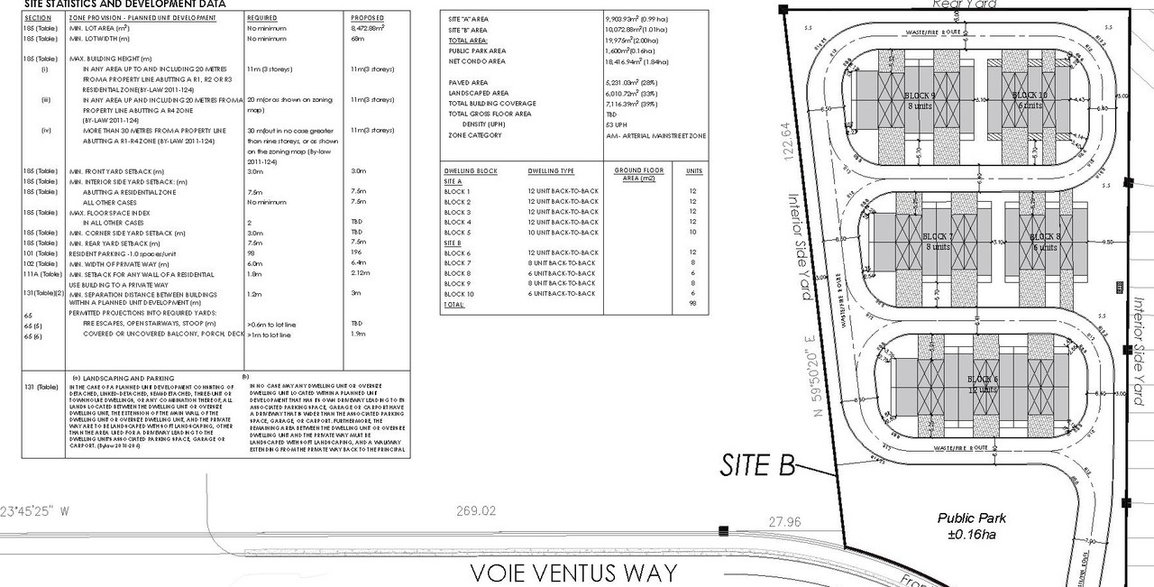
98 townhouse dwellings (back to back) and 0.16 ha park.

Status
Inactive (Notice of Decision Sent)

Renders#

Location#

Select a marker to view the address.

Site Plans, Elevations and Floor Plans#

Additional Information#

Date Initiated2024-11-04
WardWard 19 - Catherine Kitts

Documents#

TypeDocument
Application Summary2024-12-10 - Application Summary - D07-12-24-0141
Archaelogical Assessment2024-11-04 - Stage 1 & 2 Archaeological Assessment - D07-12-24-0141
Architectural Plans2024-11-13 - Construction Management Plan - D07-12-24-0141
Architectural Plans2024-11-04 - Site Plan - D07-12-24-0141
Architectural Plans2024-11-04 - Plan 4M - D07-12-24-0141
Architectural Plans2024-11-04 - Fit Plan - D07-12-24-0141
Architectural Plans2024-11-04 - Elevations - D07-12-24-0141
Architectural Plans2025-04-10 - The Commons Site Plan Base - D07-12-24-0141
Architectural Plans2025-04-17 - The Commons Site Plan - D07-12-24-0141
Architectural Plans2025-09-02 - Site Plan Base - D07-12-24-0141
Architectural Plans2025-09-02 - Plan and Profile Street 6 - D07-12-24-0141
Architectural Plans2025-09-02 - Plan and Profile Street 5 - D07-12-24-0141
Architectural Plans2025-09-02 - Plan and Profile Street 4 - D07-12-24-0141
Architectural Plans2025-09-02 - Plan and Profile Street 3 - D07-12-24-0141
Architectural Plans2025-09-02 - Plan and Profile Street 2 - D07-12-24-0141
Architectural Plans2025-09-02 - Plan and Profile Street 1 - D07-12-24-0141
Architectural Plans2025-09-02 - Notes and Details - D07-12-24-0141
Architectural Plans2025-09-02 - General Plan of Service - D07-12-24-0141
Architectural Plans2025-09-02 - Construction Management Plan - D07-12-24-0141
Architectural Plans2026-01-22 - APPROVED Site Plan Approval Report - D07-12-24-0141
Architectural Plans2026-01-22 - APPROVED Site Plan - D07-12-24-0141
Architectural Plans2026-01-22 - APPROVED Park Fit Plan - D07-12-24-0141
Architectural Plans2026-01-22 - APPROVED Landscape Plan & Details - D07-12-24-0141
Architectural Plans2026-01-22 - APPROVED Grading Plan - D07-12-24-0141
Architectural Plans2026-01-22 - APPROVED Gneral Plan of Service - D07-12-24-0141
Architectural Plans2026-01-22 - APPROVED Erosion & Sediment Control Plan - D07-12-24-0141
Civil Engineering Report2024-11-04 - Civil Plans - D07-12-24-0141
Design Brief2024-11-04 - Urban Design Brief - D07-12-24-0141
Design Brief2025-09-02 - Geometric Road Design Drawings - D07-12-24-0141
Environmental2024-11-04 - Phase I-ESA Update - D07-12-24-0141
Environmental2024-11-04 - Environmental Noise Assessment - D07-12-24-0141
Environmental2025-04-10 - Environmental Site Assessment Phase 2 - D07-12-24-0141
Environmental2025-04-10 - Environmental Site Assessment Phase 1 - D07-12-24-0141
Erosion And Sediment Control Plan2025-09-02 - Erosion and Sediment Control - D07-12-24-0141
Geotechnical Report2024-11-04 - Geotechnical Investigation - D07-12-24-0141
Geotechnical Report2025-09-02 - Grading Plan - D07-12-24-0141
Landscape Plan2024-11-04 - Landscape Plans - D07-12-24-0141
Landscape Plan2025-04-10 - Landscape Plan - D07-12-24-0141
Planning2024-11-04 - Zoning Confirmation Report - D07-12-24-0141
Site Servicing2024-11-04 - Servicing & SWM Report - D07-12-24-0141
Site Servicing2025-04-10 - Servicing and Stormwater Management Report - D07-12-24-0141
Stormwater Management2025-09-02 - Storm Drainage Area Plan - D07-12-24-0141
Stormwater Management2026-01-22 - APPROVED Storm Drainage Area Plan - D07-12-24-0141
Transportation Analysis2024-11-04 - TIA Addendum - D07-12-24-0141
Transportation Analysis2025-04-10 - Transportation Impact Assessment - D07-12-24-0141
Tree Information and Conservation2024-11-04 - TCR Technical Memo - D07-12-24-0141
Tree Information and Conservation2025-04-17 - Tree Root Barrier UB-36-2-48-2 - D07-12-24-0141
2024-11-04 - Landfill Impact Assessment - D07-12-24-0141
2025-04-10 - WSP Conceptual Site Model - D07-12-24-0141
2025-04-10 - CIVIL-Set - D07-12-24-0141
2025-04-17 - UB 24-2 TECH SHEET - D07-12-24-0141
2025-09-02 - Standard Details D5- D07-12-24-0141
2025-09-02 - Standard Details D4 - D07-12-24-0141
2025-09-02 - Standard Details D3 - D07-12-24-0141
2025-09-02 - Standard Details D2 - D07-12-24-0141
2025-09-02 - Standard Details D1 - D07-12-24-0141
2025-09-02 - SPA Landscape - D07-12-24-0141
2025-09-02 - Sanitary Service Areas - D07-12-24-0141
2025-09-02 - Engineering Cover Page - D07-12-24-0141
2025-09-02 - Cross Sections Streets 3 4 and 6 - D07-12-24-0141
2025-09-02 - Cross Sections Streets 1 2 and 3 - D07-12-24-0141
2026-01-22 - APPROVED Sanitary Service Areas - D07-12-24-0141