150 Dun Skipper Dr.#
Last updated: 2025-11-18 · ID: D07-12-24-0134
Summary#
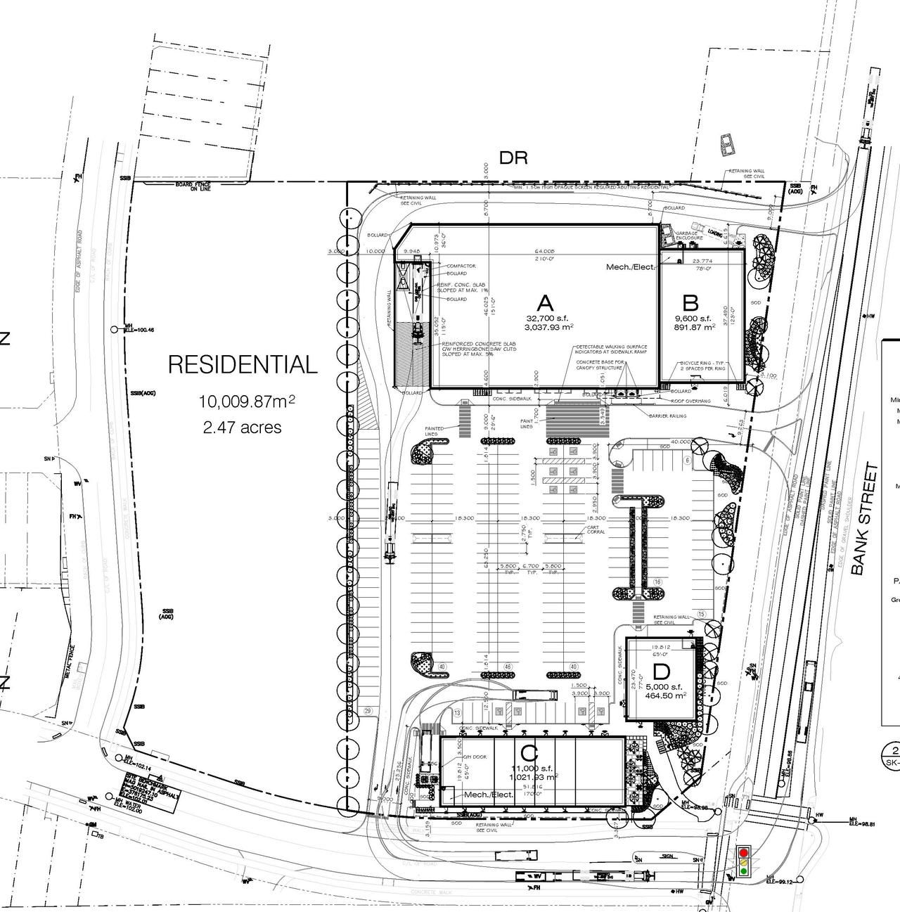
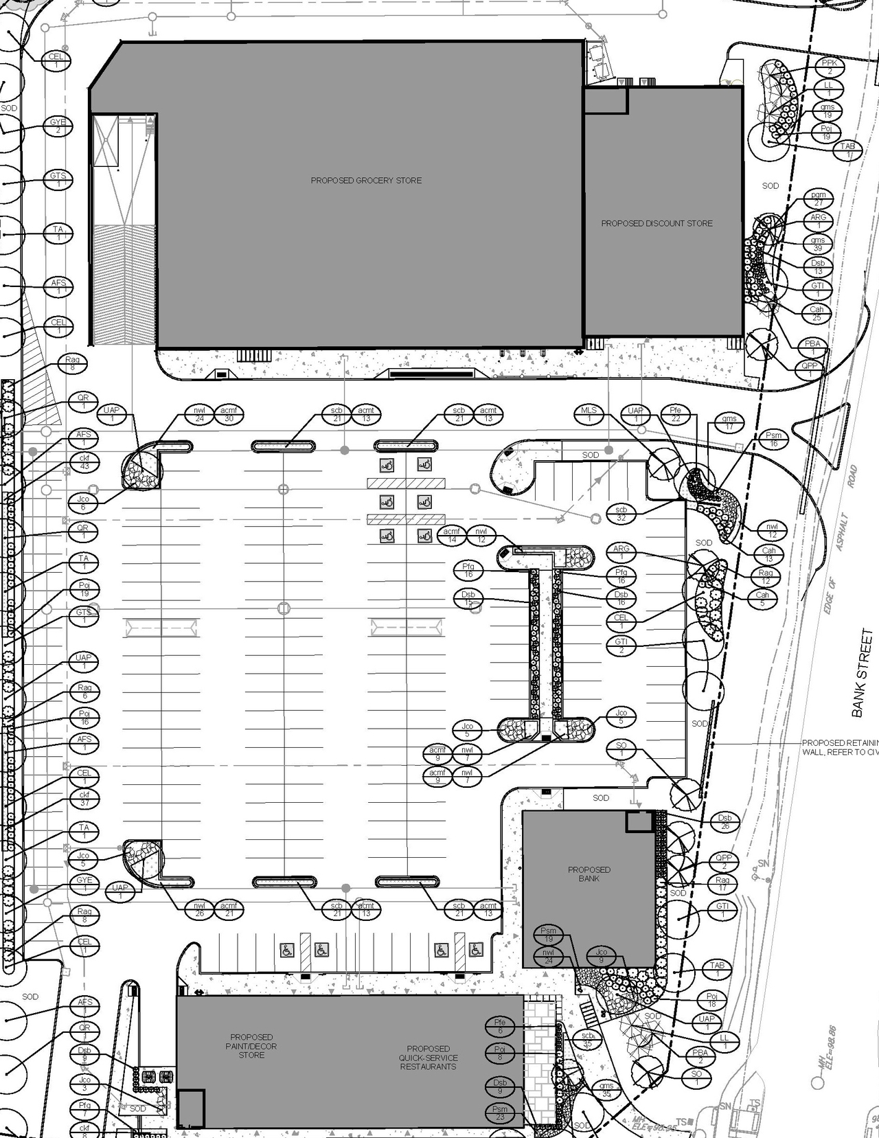
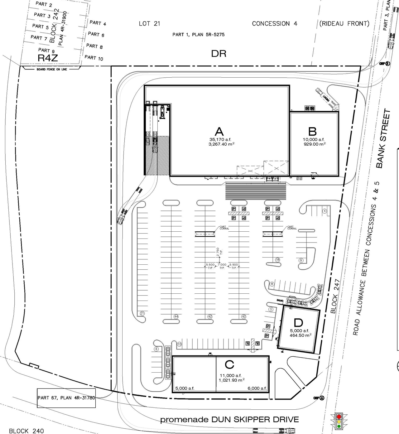
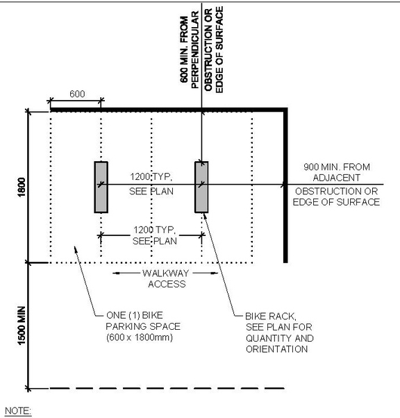
A Site Plan Control application to construct a shopping centre with a total Gross Floor Area of 5,145 square metres divided among four buildings. The proposal also includes a surface parking lot with 205 vehicle spaces and 24 bicycle spaces.
Status
Inactive (Agreement Registered - Final Legal Clearance Given)
Building Scale (Max.)
Based on elevation drawings. Values may be approximate. See sources for exact figures.
Low-rise · 3 storeys
· 7.7 m
Data Quality Note
Height was partially estimated using visual scale. This may be approximate.
Renders#
Location#
Select a marker to view the address.
Site Plans, Elevations and Floor Plans#
Additional Information#
| Date Initiated | 2024-10-28 |
| Ward | Ward 22 - Steve Desroches |



























