1015-1045 Dairy Dr.#
Last updated: 2026-02-28 · ID: D07-12-24-0122
Summary#
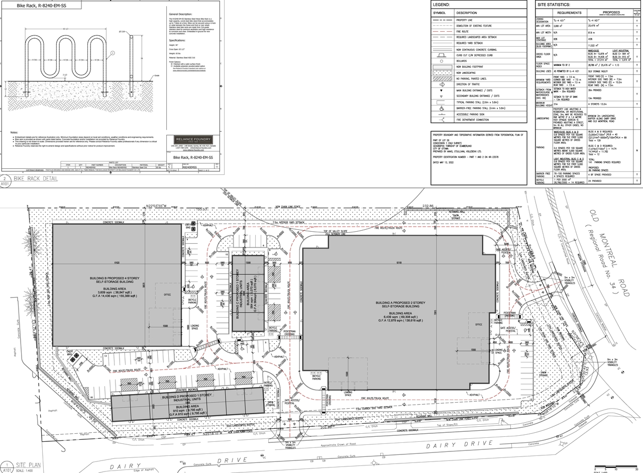
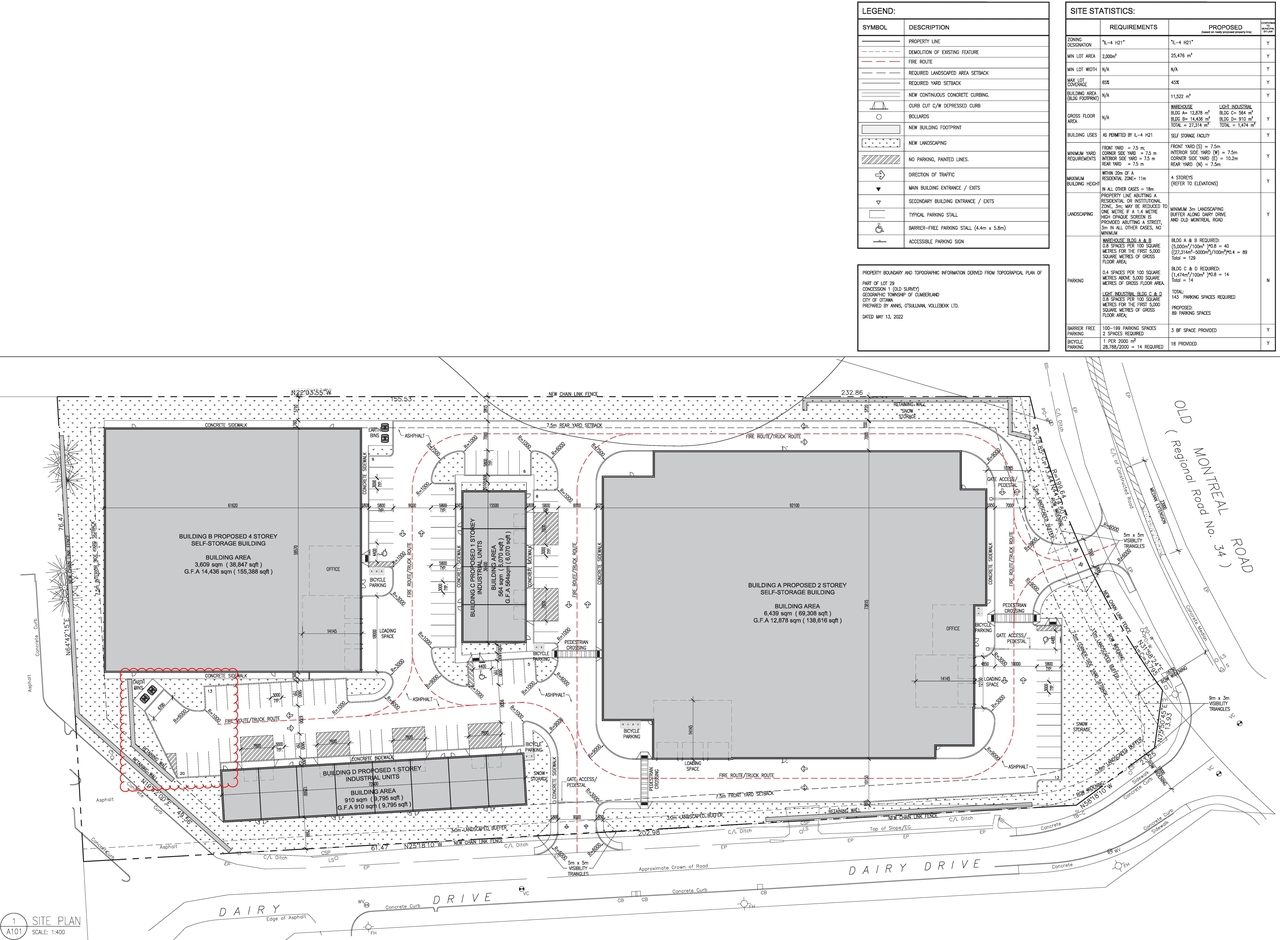
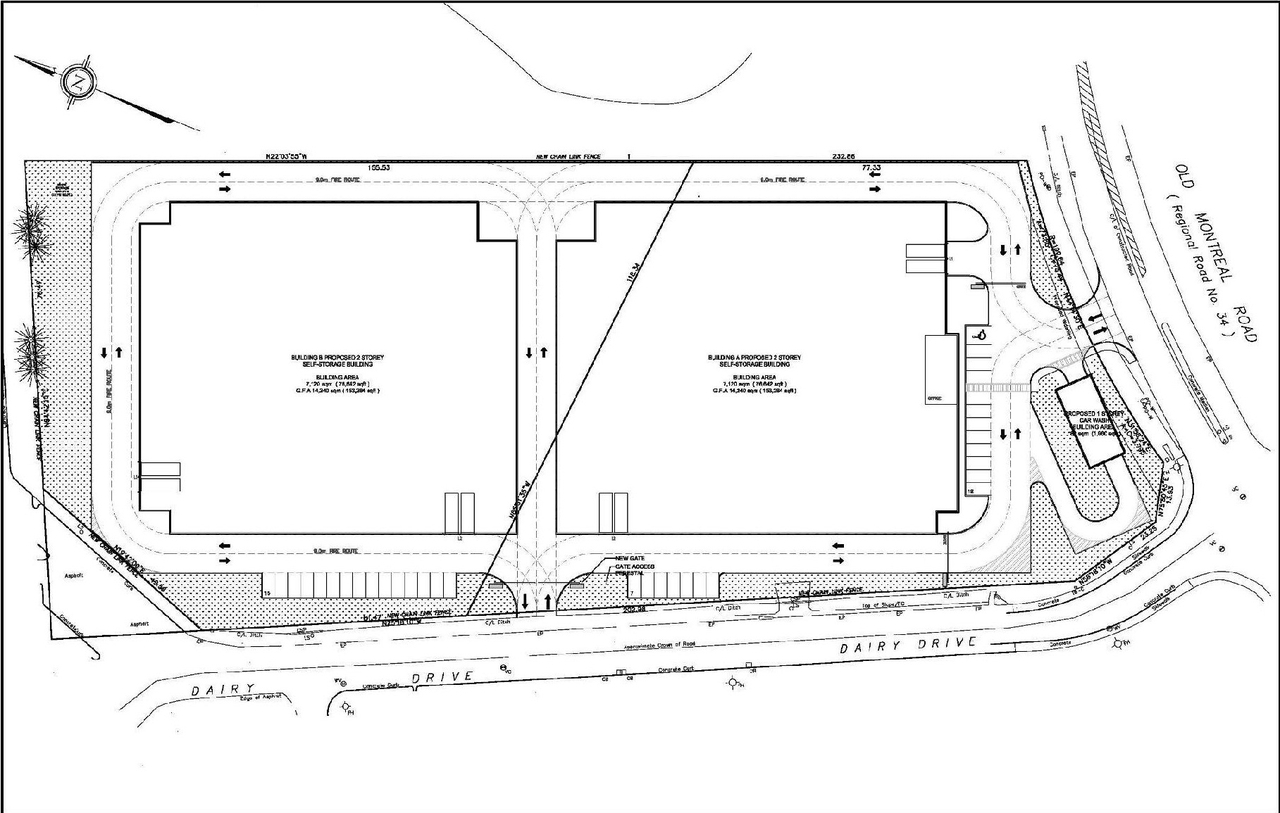
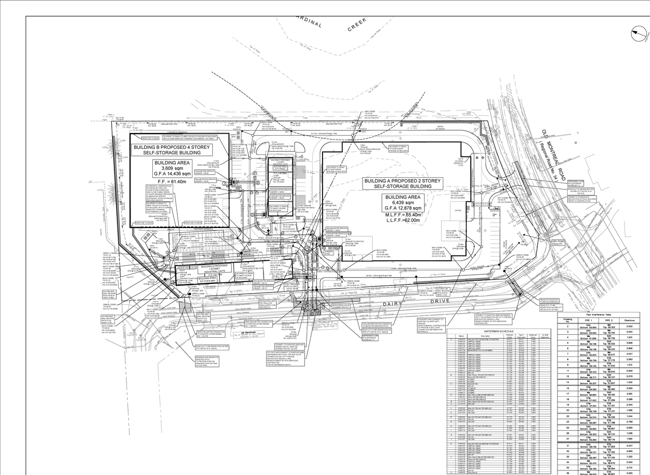
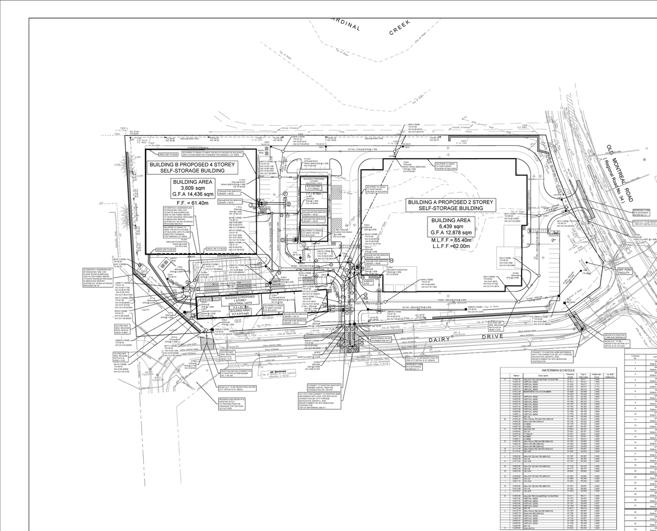
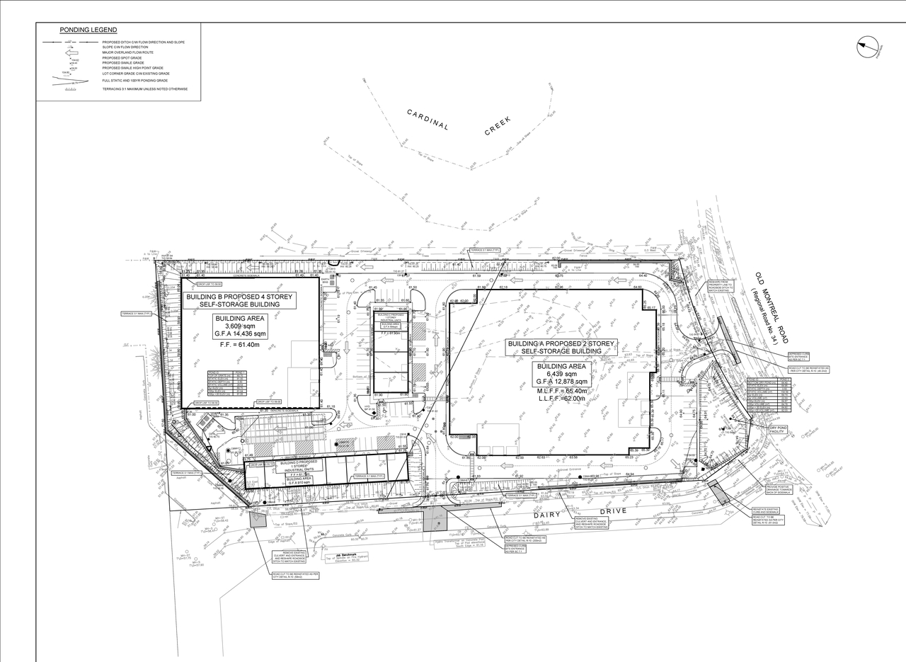
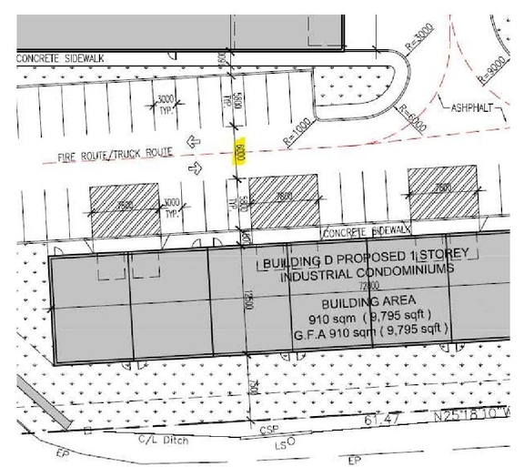
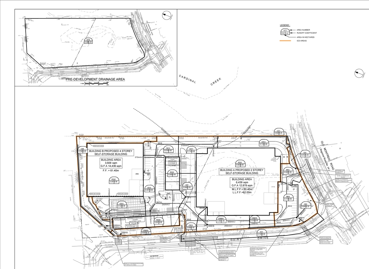
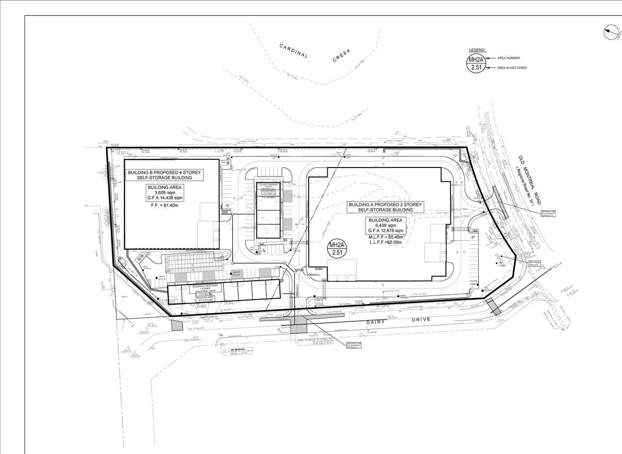
A Site Plan Control application to construct a group of occupancies consisting of four low-rise buildings, two self-storage buildings (A and B) and two industrial buildings (C and D). The total proposed GFA is 27,314 square metres for the self-storage buildings and 1,474 square meters for the industrial buildings.
Status
Inactive (Application Approved)
Building Scale (Max.)
Based on elevation drawings. Values may be approximate. See sources for exact figures.
Mid-rise · 4 storeys
Data Quality Note
Text was extracted using optical character recognition. This may introduce artifacts or misreads.
· 9.04 m
Data Quality Note
Text was extracted using optical character recognition. This may introduce artifacts or misreads.
Location#
Select a marker to view the address.
Site Plans, Elevations and Floor Plans#
Additional Information#
| Date Initiated | 2024-10-09 |
| Ward | Ward 1 - Matthew Luloff |
| All Addresses | 1015 Dairy Dr. 1045 Dairy Dr. |

























