Ottawa Development Projects

245-275 Lamarche Ave.#

Last updated: 2026-03-26 · ID: D07-12-24-0103

Summary#

Standard condominium comprised of amenity area, private ROW, and 476 stacked townhome units.

Status
Post Approval (Agreement Signed)

Building Scale (Max.) Based on elevation drawings. Values may be approximate. See sources for exact figures.
Low-rise · 3 storeys · 10.3 m Data Quality Note Height was partially estimated using visual scale. This may be approximate.

Renders#

Location#

Select a marker to view the address.

Site Plans, Elevations and Floor Plans#

  • Image from page 137 of the file '2024-09-10 - Design Brief - D07-12-24-0103'
  • Image from page 138 of the file '2024-09-10 - Design Brief - D07-12-24-0103'
  • Image from page 37 of the file '2024-11-15 - Urban Design Brief Planning Rationale - D07-12-24-0103'
  • Image from page 139 of the file '2024-09-10 - Design Brief - D07-12-24-0103'
  • Image from page 138 of the file '2024-09-10 - Design Brief - D07-12-24-0103'
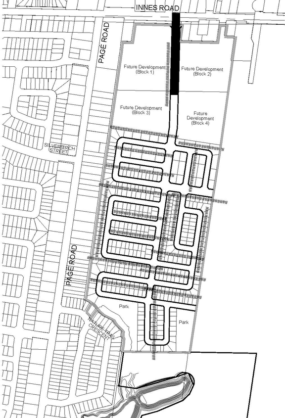
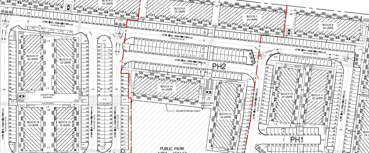
  • Construction site plan for project from page 24 of the file '2025-04-07 - Design Brief Sub2 - D07-12-24-0103'
  • Construction site plan for project from page 23 of the file '2024-09-10 - Design Brief - D07-12-24-0103'
  • Construction site plan for project from page 17 of the file '2025-04-07 - Urban Design Brief - D07-12-24-0103'
  • Construction site plan for project from page 35 of the file '2024-11-15 - Urban Design Brief Planning Rationale - D07-12-24-0103'
  • Construction site plan for project from page 32 of the file '2024-11-15 - Urban Design Brief Planning Rationale - D07-12-24-0103'
  • Construction site plan for project from page 32 of the file '2025-04-07 - Urban Design Brief - D07-12-24-0103'
  • Construction site plan for project from page 13 of the file '2024-11-15 - Urban Design Brief Planning Rationale - D07-12-24-0103'
  • Construction site plan for project from page 41 of the file '2025-04-07 - Urban Design Brief - D07-12-24-0103'
  • Construction site plan for project from page 21 of the file '2024-09-10 - Design Brief - D07-12-24-0103'
  • Construction site plan for project from page 30 of the file '2024-09-10 - Design Brief - D07-12-24-0103'
  • Construction site plan for project from page 25 of the file '2024-09-10 - Design Brief - D07-12-24-0103'
  • Construction site plan for project from page 22 of the file '2024-09-10 - Design Brief - D07-12-24-0103'
  • Construction site plan for project from page 72 of the file '2024-09-10 - Design Brief - D07-12-24-0103'
  • Construction site plan for project from page 25 of the file '2024-11-15 - Urban Design Brief Planning Rationale - D07-12-24-0103'
  • Construction site plan for project from page 6 of the file '2024-11-15 - Urban Design Brief Planning Rationale - D07-12-24-0103'
  • Construction site plan for project from page 10 of the file '2024-11-15 - Urban Design Brief Planning Rationale - D07-12-24-0103'
  • Construction site plan for project from page 21 of the file '2024-12-17 - Engineering Design Brief - D07-12-24-0103'
  • Construction site plan for project from page 21 of the file '2024-09-10 - Design Brief - D07-12-24-0103'
  • Construction site plan for project from page 36 of the file '2024-11-15 - Urban Design Brief Planning Rationale - D07-12-24-0103'
  • Construction site plan for project from page 36 of the file '2024-11-15 - Urban Design Brief Planning Rationale - D07-12-24-0103'
  • Construction site plan for project from page 2 of the file '2024-11-15 - Urban Design Brief Planning Rationale - D07-12-24-0103'
  • Image from page 137 of the file '2024-09-10 - Design Brief - D07-12-24-0103'
  • Image from page 138 of the file '2024-09-10 - Design Brief - D07-12-24-0103'
  • Image from page 37 of the file '2024-11-15 - Urban Design Brief Planning Rationale - D07-12-24-0103'
  • Image from page 139 of the file '2024-09-10 - Design Brief - D07-12-24-0103'
  • Image from page 138 of the file '2024-09-10 - Design Brief - D07-12-24-0103'
  • Construction site plan for project from page 24 of the file '2025-04-07 - Design Brief Sub2 - D07-12-24-0103'
  • Construction site plan for project from page 23 of the file '2024-09-10 - Design Brief - D07-12-24-0103'
  • Construction site plan for project from page 17 of the file '2025-04-07 - Urban Design Brief - D07-12-24-0103'
  • Construction site plan for project from page 35 of the file '2024-11-15 - Urban Design Brief Planning Rationale - D07-12-24-0103'
  • Construction site plan for project from page 32 of the file '2024-11-15 - Urban Design Brief Planning Rationale - D07-12-24-0103'
  • Construction site plan for project from page 32 of the file '2025-04-07 - Urban Design Brief - D07-12-24-0103'
  • Construction site plan for project from page 13 of the file '2024-11-15 - Urban Design Brief Planning Rationale - D07-12-24-0103'
  • Construction site plan for project from page 41 of the file '2025-04-07 - Urban Design Brief - D07-12-24-0103'
  • Construction site plan for project from page 21 of the file '2024-09-10 - Design Brief - D07-12-24-0103'
  • Construction site plan for project from page 30 of the file '2024-09-10 - Design Brief - D07-12-24-0103'
  • Construction site plan for project from page 25 of the file '2024-09-10 - Design Brief - D07-12-24-0103'
  • Construction site plan for project from page 22 of the file '2024-09-10 - Design Brief - D07-12-24-0103'
  • Construction site plan for project from page 72 of the file '2024-09-10 - Design Brief - D07-12-24-0103'
  • Construction site plan for project from page 25 of the file '2024-11-15 - Urban Design Brief Planning Rationale - D07-12-24-0103'
  • Construction site plan for project from page 6 of the file '2024-11-15 - Urban Design Brief Planning Rationale - D07-12-24-0103'
  • Construction site plan for project from page 10 of the file '2024-11-15 - Urban Design Brief Planning Rationale - D07-12-24-0103'
  • Construction site plan for project from page 21 of the file '2024-12-17 - Engineering Design Brief - D07-12-24-0103'
  • Construction site plan for project from page 21 of the file '2024-09-10 - Design Brief - D07-12-24-0103'
  • Construction site plan for project from page 36 of the file '2024-11-15 - Urban Design Brief Planning Rationale - D07-12-24-0103'
  • Construction site plan for project from page 36 of the file '2024-11-15 - Urban Design Brief Planning Rationale - D07-12-24-0103'
  • Construction site plan for project from page 2 of the file '2024-11-15 - Urban Design Brief Planning Rationale - D07-12-24-0103'

Additional Information#

Date Initiated2024-09-06
WardWard 19 - Catherine Kitts
All Addresses245 Lamarche Ave.
275 Lamarche Ave.

Documents#

TypeDocument
Application Summary2025-01-07 - Application Summary - D07-12-24-0103
Architectural Plans2024-09-23 - FACILITY FIT PLAN - D07-12-24-0103
Architectural Plans2024-09-10 - Site Plan - D07-12-24-0103
Architectural Plans2024-09-10 - SANITARY DRAINAGE PLAN - D07-12-24-0103
Architectural Plans2024-09-10 - Private Street Plan - D07-12-24-0103 (5)
Architectural Plans2024-09-10 - Private Street Plan - D07-12-24-0103 (4)
Architectural Plans2024-09-10 - Private Street Plan - D07-12-24-0103 (3)
Architectural Plans2024-09-10 - Private Street Plan - D07-12-24-0103 (2)
Architectural Plans2024-09-10 - Private Street Plan - D07-12-24-0103
Architectural Plans2024-09-10 - PONDING PLAN - D07-12-24-0103
Architectural Plans2024-09-10 - Plan - Private Street - D07-12-24-0103
Architectural Plans2024-09-10 - GENERAL PLAN - D07-12-24-0103 (2)
Architectural Plans2024-09-10 - GENERAL PLAN - D07-12-24-0103
Architectural Plans2024-09-10 - Elevation A - D07-12-24-0103
Architectural Plans2024-09-10 - Construction Management Plan - D07-12-24-0103
Architectural Plans2024-11-05 - Site Plan - D07-12-24-0103
Architectural Plans2024-11-01 - Elevations B - D07-12-24-0103
Architectural Plans2024-11-01 - Elevations A - D07-12-24-0103
Architectural Plans2024-09-23 - FACILITY FIT PLAN - D07-12-24-01031
Architectural Plans2024-09-10 - Construction Management Plan - D07-12-24-0103
Architectural Plans2024-08-30 - 25 EROSION AND SEDIMENT CONTROL PLAN STAGE 2 - D07-12-24-0103
Architectural Plans2024-08-30 - 24 EROSION AND SEDIMENT CONTROL PLAN STAGE 1 - D07-12-24-0103
Architectural Plans2024-08-30 - 23 PONDING PLAN - D07-12-24-0103
Architectural Plans2024-08-30 - 21 SANITARY DRAINAGE PLAN - D07-12-24-0103
Architectural Plans2024-08-30 - 19 GRADING PLAN - D07-12-24-0103
Architectural Plans2024-08-30 - 18 GRADING PLAN - D07-12-24-0103
Architectural Plans2024-08-30 - 05 GENERAL PLAN - D07-12-24-0103
Architectural Plans2025-04-07 -25 EROSION AND SEDIMENT CONTROL PLAN STAGE 2 - D07-12-24-0103
Architectural Plans2025-04-07 -24 EROSION AND SEDIMENT CONTROL PLAN STAGE 1 - D07-12-24-0103
Architectural Plans2025-04-07 -23 PONDING PLAN - D07-12-24-0103
Architectural Plans2025-04-07 -21 SANITARY DRAINAGE PLAN - D07-12-24-0103
Architectural Plans2025-04-07 -19 GRADING PLAN - D07-12-24-0103
Architectural Plans2025-04-07 -18 GRADING PLAN - D07-12-24-0103
Architectural Plans2025-04-07 - Site Plan - D07-12-24-0103
Architectural Plans2025-04-07 - 5 GENERAL PLAN - D07-12-24-0103
Architectural Plans2025-04-07 - 4 GENERAL PLAN - D07-12-24-0103
Architectural Plans2025-09-15 - APPROVED Site Plan Approval Report - D07-12-24-0103
Architectural Plans2025-09-15 - APPROVED Sanitary Drainage Plan - D07-12-24-0103
Architectural Plans2025-09-15 - APPROVED Ponding Plan 01 - D07-12-24-0103
Architectural Plans2025-09-15 - APPROVED Ponding Plan - D07-12-24-0103
Architectural Plans2025-09-15 - APPROVED Overrall Site Plan - D07-12-24-0103
Architectural Plans2025-09-15 - APPROVED General Plan 01 - D07-12-24-0103
Architectural Plans2025-09-15 - APPROVED General Plan 00 - D07-12-24-0103
Architectural Plans2025-09-15 - APPROVED Elevations B - D07-12-24-0103
Architectural Plans2025-09-15 - APPROVED Elevations A - D07-12-24-0103
Architectural Plans2025-09-15 - APPROVED Construction Management Plan - D07-12-24-0103
Design Brief2024-09-10 - Design Brief - D07-12-24-0103
Design Brief2024-12-17 - Engineering Design Brief - D07-12-24-0103
Design Brief2024-11-15 - Urban Design Brief Planning Rationale - D07-12-24-0103
Design Brief2025-04-07 - Urban Design Brief - D07-12-24-0103
Design Brief2025-04-07 - Design Brief Sub2 - D07-12-24-0103
Environmental2024-09-10 - Phase 1 Environmental Site Assessment Update Letter - D07-12-24-0103
Environmental2024-09-10 - Environmental Noise Assessment - D07-12-24-0103
Environmental2024-10-15 - Phase 1 Environmental Site Assessment Update - D07-12-24-01031
Environmental2024-10-15 - Phase 1 Environmental Site Assessment Update - D07-12-24-0103
Environmental2024-09-10 - Environmental Noise Assessment - D07-12-24-0103
Environmental2025-04-07 - Environmental Noise - D07-12-24-0103
Erosion And Sediment Control Plan2024-09-10 - EROSION AND SEDIMENT CONTROL PLAN STAGE 2 - D07-12-24-0103
Erosion And Sediment Control Plan2024-09-10 - EROSION AND SEDIMENT CONTROL PLAN STAGE 1 - D07-12-24-0103
Erosion And Sediment Control Plan2025-09-15 - APPROVED Erosion Sediment & Control Plan 01 - D07-12-24-0103
Erosion And Sediment Control Plan2025-09-15 - APPROVED Erosion Sediment & Control Plan - D07-12-24-0103
Geotechnical Report2024-09-10 - GRADING PLAN - D07-12-24-0103 (2)
Geotechnical Report2024-09-10 - GRADING PLAN - D07-12-24-0103
Geotechnical Report2024-09-10 - Geotechnical Investigation - D07-12-24-0103
Geotechnical Report2024-09-10 - Geotechnical Investigation - D07-12-24-0103
Geotechnical Report2025-09-15 - APPROVED Grading Plan 01 - D07-12-24-0103
Geotechnical Report2025-09-15 - APPROVED Grading Plan 00 - D07-12-24-0103
Landscape Plan2024-09-10 - Landscape Plan - D07-12-24-0103
Landscape Plan2024-12-17 - Landscape Plans - D07-12-24-0103
Landscape Plan2025-04-07 - Landscape Plan_2nd Submission - D07-12-24-0103
Landscape Plan2025-09-15 - APPROVED Landscape Plan L05 - D07-12-24-0103
Landscape Plan2025-09-15 - APPROVED Landscape Plan L04 - D07-12-24-0103
Landscape Plan2025-09-15 - APPROVED Landscape Plan L03 - D07-12-24-0103
Landscape Plan2025-09-15 - APPROVED Landscape Plan L02 - D07-12-24-0103
Landscape Plan2025-09-15 - APPROVED Landscape Plan L01 - D07-12-24-0103
Landscape Plan2025-09-15 - APPROVED Landscape Details L07 - D07-12-24-0103
Landscape Plan2025-09-15 - APPROVED Landscape Details L06 - D07-12-24-0103
Planning2024-09-24 - ZONING CONFIRMATION REPORT - D07-12-24-0103
Planning2024-09-10 - Planning Rationale and Urban Design Brief - D07-12-24-0103
Planning2024-12-17 - Zoning Confirmation Report - D07-12-24-0103
Planning2025-04-07 - Zoning Confirmation Report - D07-12-24-0103
Site Servicing2024-09-10 - SERVICING Plan - D07-12-24-0103
Site Servicing2024-09-10 - SERVICING Plan - D07-12-24-0103
Site Servicing2024-09-10 - SERVICING Plan - D07-12-24-0103
Site Servicing2025-09-15 - APPROVED Servicing E15 - D07-12-24-0103
Site Servicing2025-09-15 - APPROVED Servicing E14 - D07-12-24-0103
Site Servicing2025-09-15 - APPROVED Servicing E13 - D07-12-24-0103
Stormwater Management2024-09-10 - Storm Sewer Calculation Sheet - D07-12-24-0103
Stormwater Management2024-09-10 - STORM DRAINAGE PLAN - D07-12-24-0103
Stormwater Management2024-09-10 - Storm Sewer Calculation Sheet - D07-12-24-0103
Stormwater Management2024-08-30 - 22 STORM DRAINAGE PLAN - D07-12-24-0103
Stormwater Management2025-04-07 -22 STORM DRAINAGE PLAN - D07-12-24-0103
Stormwater Management2025-09-15 - APPROVED Storm Drainage Plan - D07-12-24-0103
Surveying2024-09-10 - Survey Plan - 4M-1629 - D07-12-24-0103
Surveying2024-09-10 - Survey Plan - 4M1629 - D07-12-24-0103
Transportation Analysis2024-09-10 - Transportation Impact Assessment - D07-12-24-0103
Transportation Analysis2024-09-10 - Transportation Impact Assessment - D07-12-24-0103
Tree Information and Conservation2024-09-10 - Tree Conservation Report - D07-12-24-0103
Tree Information and Conservation2024-09-10 - Tree Conservation Report - D07-12-24-01031
Tree Information and Conservation2025-04-07 - Fit Plan Tree Canopy Projection REV 5 - D07-12-24-0103
2024-09-10 - TWSI DETAILS - D07-12-24-0103
2024-09-10 - TITLE PAGE - D07-12-24-0103
2024-09-10 - Sanitary Sewer Calculations Sheet - D07-12-24-0103
2024-09-10 - Private Street - D07-12-24-0103
2024-09-10 - OVPH4 Stormtech Chamber Specifications - D07-12-24-0103
2024-09-10 - OV Phase 4 Inlet Grate Calulation - D07-12-24-0103
2024-09-10 - Letter - Landfill Impact Assessment - D07-12-24-0103
2024-09-10 - LAMARCHE AVENUE - D07-12-24-0103
2024-09-10 - GENERAL NOTES - D07-12-24-0103
2024-09-10 - DETAILS AND TABLE - D07-12-24-0103
2024-09-10 - DETAILS - D07-12-24-0103
2024-09-10 - CROSS SECTIONS - D07-12-24-0103
2024-09-10 - Sanitary Sewer Calculations Sheet - D07-12-24-0103
2024-09-10 - OVPH4 Stormtech Chamber Specifications - D07-12-24-0103
2024-09-10 - OV Phase 4 Inlet Grate Calulation - D07-12-24-0103
2024-08-30 - 20 CROSS SECTIONS - D07-12-24-0103
2024-08-30 - 17 LAMARCHE AVENUE - D07-12-24-0103
2024-08-30 - 16 SERVICING 3 - D07-12-24-0103
2024-08-30 - 15 SERVICING 2 - D07-12-24-0103
2024-08-30 - 14 SERVICING - D07-12-24-0103
2024-08-30 - 13 Private Street 5 - D07-12-24-0103
2024-08-30 - 12 Private Street 4 - D07-12-24-0103
2024-08-30 - 11 Private Street 3 - D07-12-24-0103
2024-08-30 - 10 Private Street 2 - D07-12-24-0103
2024-08-30 - 09 Private Street - D07-12-24-0103
2024-08-30 - 08 Private Street 1 - D07-12-24-0103
2024-08-30 - 07 Private Street 1 - D07-12-24-0103
2024-08-30 - 04 TWSI DETAILS - D07-12-24-0103
2024-08-30 - 03 DETAILS - D07-12-24-0103
2024-08-30 - 02 DETAILS AND TABLE - D07-12-24-0103
2024-08-30 - 01 GENERAL NOTES - D07-12-24-0103
2025-04-07 -20 CROSS SECTIONS - D07-12-24-0103
2025-04-07 - Fit Plan_REV 5 - D07-12-24-0103
2025-04-07 - 9 Private Street 2 - D07-12-24-0103
2025-04-07 - 8 Private Street 1 - D07-12-24-0103
2025-04-07 - 7 Private Street 1 - D07-12-24-0103
2025-04-07 - 6 Private Street 1 - D07-12-24-0103
2025-04-07 - 3 DETAILS - D07-12-24-0103
2025-04-07 - 2 DETAILS AND TABLE - D07-12-24-0103
2025-04-07 - 17 Servicing 3 - D07-12-24-0103
2025-04-07 - 16 Servicing 4 - D07-12-24-0103
2025-04-07 - 14 Servicing 1 - D07-12-24-0103
2025-04-07 - 13 Servicing 2 - D07-12-24-0103
2025-04-07 - 12 Private Street 5 - D07-12-24-0103
2025-04-07 - 11 Private Street 4 - D07-12-24-0103
2025-04-07 - 10 Private Street 3 - D07-12-24-0103
2025-04-07 - 1 GENERAL NOTES - D07-12-24-0103
2025-04-07 - 0 TITLE PAGE - D07-12-24-0103
2025-09-15 - APPROVED Private Street E9 - D07-12-24-0103
2025-09-15 - APPROVED Private Street E8 - D07-12-24-0103
2025-09-15 - APPROVED Private Street E7 - D07-12-24-0103
2025-09-15 - APPROVED Private Street E6 - D07-12-24-0103
2025-09-15 - APPROVED Private Street E12 - D07-12-24-0103
2025-09-15 - APPROVED Private Street E11 - D07-12-24-0103
2025-09-15 - APPROVED Private Street E10 - D07-12-24-0103
2025-09-15 - APPROVED General Notes - D07-12-24-0103
2025-09-15 - APPROVED Details & Table - D07-12-24-0103
2025-09-15 - APPROVED Details - D07-12-24-0103
2025-09-15 - APPROVED Cross Sections - D07-12-24-0103