Ottawa Development Projects

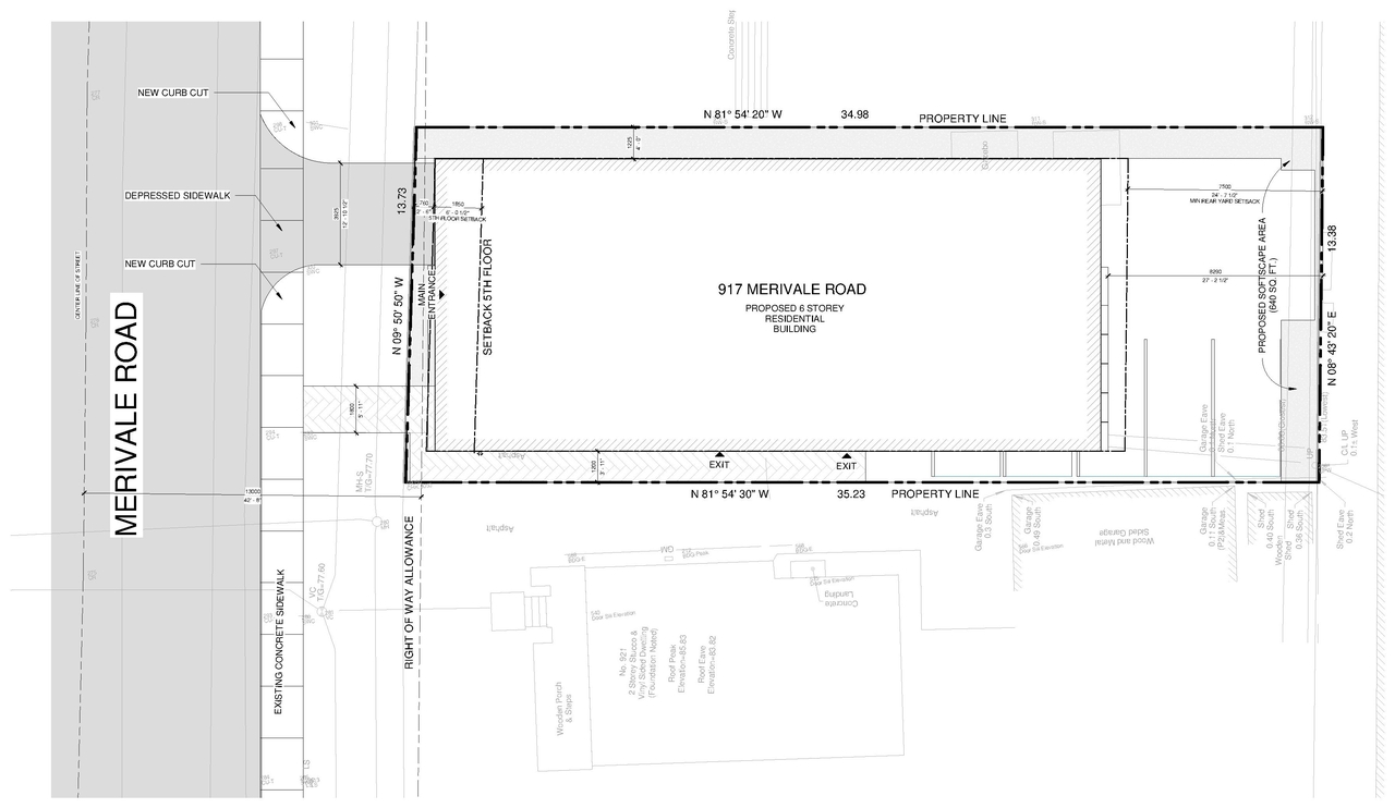
917 Merivale Rd.#

Last updated: 2025-08-26 · ID: D07-12-24-0067

Summary#

A 6-storey, 20 unit apartment building of 1341m2 GFA, with 5 parking spaces.

Status
Inactive (Notice of Decision Sent)

Building Scale (Max.) Based on elevation drawings. Values may be approximate. See sources for exact figures.
Mid-rise · 6 storeys · 21.78 m

Renders#

Location#

Select a marker to view the address.

Site Plans, Elevations and Floor Plans#

Additional Information#

Date Initiated2024-07-24
WardWard 16 - Riley Brockington

Documents#

TypeDocument
Application Summary2024-08-29 - Application Summary - D07-12-24-0067
Architectural Plans2024-08-26 - Proposed Lot Grading and Servicing Plan - D07-12-24-0067
Architectural Plans2024-08-26 - Proposed Erosion and Sediment Control Plan - D07-12-24-0067
Architectural Plans2024-07-23 - Architectural Plans - D07-12-24-0067
Architectural Plans2024-07-23 - Architectural Plans - D07-12-24-0067
Architectural Plans2024-12-18 - SIte Plan - D07-12-24-0067
Architectural Plans2024-12-18 - Architectural Plans - D07-12-24-0067
Architectural Plans2025-02-18 - Lot Grading and Servicing Plan - D07-12-24-0067
Architectural Plans2025-02-18 - Architectural Package - D07-12-24-0067
Architectural Plans2025-05-28 - Approved Site Plan - D07-12-24-0067
Architectural Plans2025-05-28 - Approved Lot Grading and Servicing Plan - D07-12-24-0067
Architectural Plans2025-05-28 - Approved Elevations - D07-12-24-0067
Design Brief2024-07-23 - Urban Design Brief - D07-12-24-0067
Environmental2024-07-23 - Phase II ESA - D07-12-24-0067
Environmental2024-07-23 - Phase I ESA - D07-12-24-0067
Environmental2025-05-28 - Approved Phase II ESA - D07-12-24-0067
Environmental2025-05-28 - Approved Phase I ESA - D07-12-24-0067
Erosion And Sediment Control Plan2024-12-18 - Erosion and Sediment Control Plan - D07-12-24-0067
Erosion And Sediment Control Plan2025-02-18 - Erosion and Sediment Control Plan - D07-12-24-0067
Erosion And Sediment Control Plan2025-05-28 - Approved Erosion and Sediment Control Plan - D07-12-24-0067
Geotechnical Report2024-07-23 - Geotechnical - D07-12-24-0067
Geotechnical Report2024-12-18 - Grading and Servicing Plan - D07-12-24-0067
Geotechnical Report2025-05-28 - Approved Geotechnical Report - D07-12-24-0067
Landscape Plan2024-07-23 - Landscape Plan - D07-12-24-0067
Landscape Plan2024-12-18 - Landscape Drawing - D07-12-24-0067
Landscape Plan2025-02-18 - Landscape Plan Package - D07-12-24-0067
Landscape Plan2025-05-28 - Approved Landscape Plan & Details - D07-12-24-0067
Noise Study2024-07-23 - Noise Impact Assessment Study - D07-12-24-0067
Noise Study2025-05-28 - Approved Noise Impact Assessment Study - D07-12-24-0067
Planning2024-07-23 - Zoning Confirmation Report - D07-12-24-0067
Site Servicing2024-07-23 - Site Servicing Report - D07-12-24-0067
Site Servicing2025-05-28 - Approved Site Servicing Report - D07-12-24-0067
Stormwater Management2024-08-26 - Storm Drainage Area Plan - D07-12-24-0067
Stormwater Management2024-08-26 - Proposed Stormwater Management Plan - D07-12-24-0067
Stormwater Management2024-07-23 - Storm Drainage Report - D07-12-24-0067
Stormwater Management2024-12-18 - Stormwater Management Plan - D07-12-24-0067)
Stormwater Management2024-12-18 - Storm Drainage Area Plan - D07-12-24-0067
Stormwater Management2025-02-18 - Stormwater Management Plan - D07-12-24-0067
Stormwater Management2025-02-18 - Storm Drainage Area Plan - D07-12-24-0067
Stormwater Management2025-05-28 - Approved Stormwater Management Plan - D07-12-24-0067
Stormwater Management2025-05-28 - Approved Storm Drainage Report - D07-12-24-0067
Stormwater Management2025-05-28 - Approved Storm Drainage Area Plan - D07-12-24-0067
Surveying2024-07-23 - Surveyor’s Real Property Report (Part 2) - D07-12-24-0067
Surveying2024-07-23 - Surveyor’s Real Property Report - D07-12-24-0067
Transportation Analysis2024-07-23 - TDM Measures Checklist - D07-12-24-0067
Tree Information and Conservation2024-07-23 - TCR - D07-12-24-0067
Tree Information and Conservation2025-02-18 - Tree Conservation Report - D07-12-24-0067
Tree Information and Conservation2025-05-28 - Approved Tree Conservation Plan and Report - D07-12-24-0067
2024-07-23 - Energy Performance Assessment Report - D07-12-24-0067
2024-12-18 - Roof Drain Control Letter - D07-12-24-0067
2025-05-28 - Signed SPAR - D07-12-24-0067