1360 Ogilvie Rd.#
Summary#
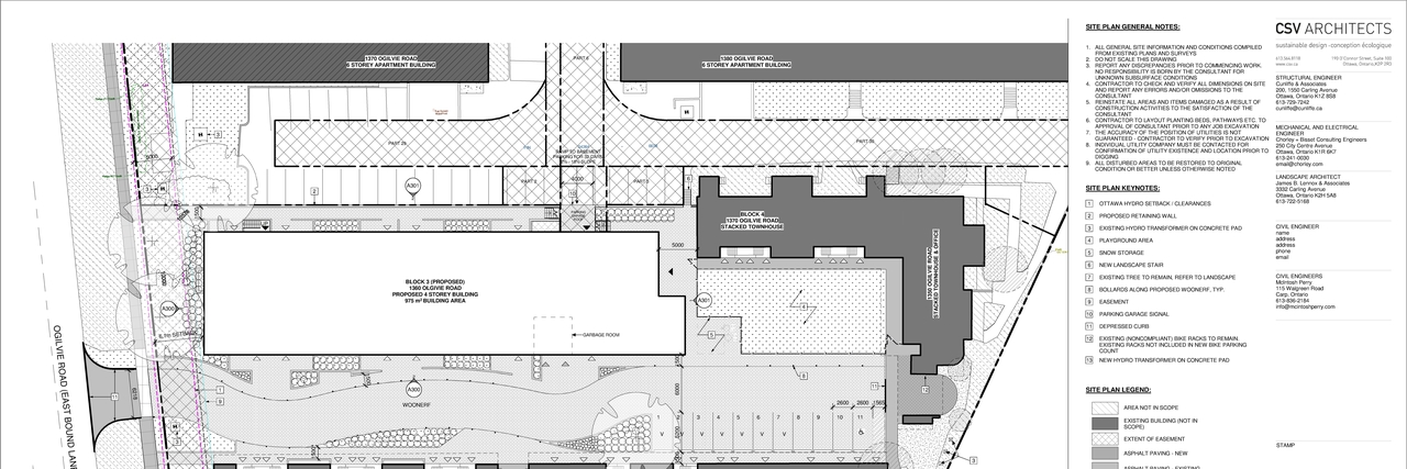
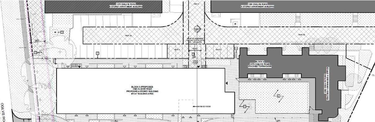
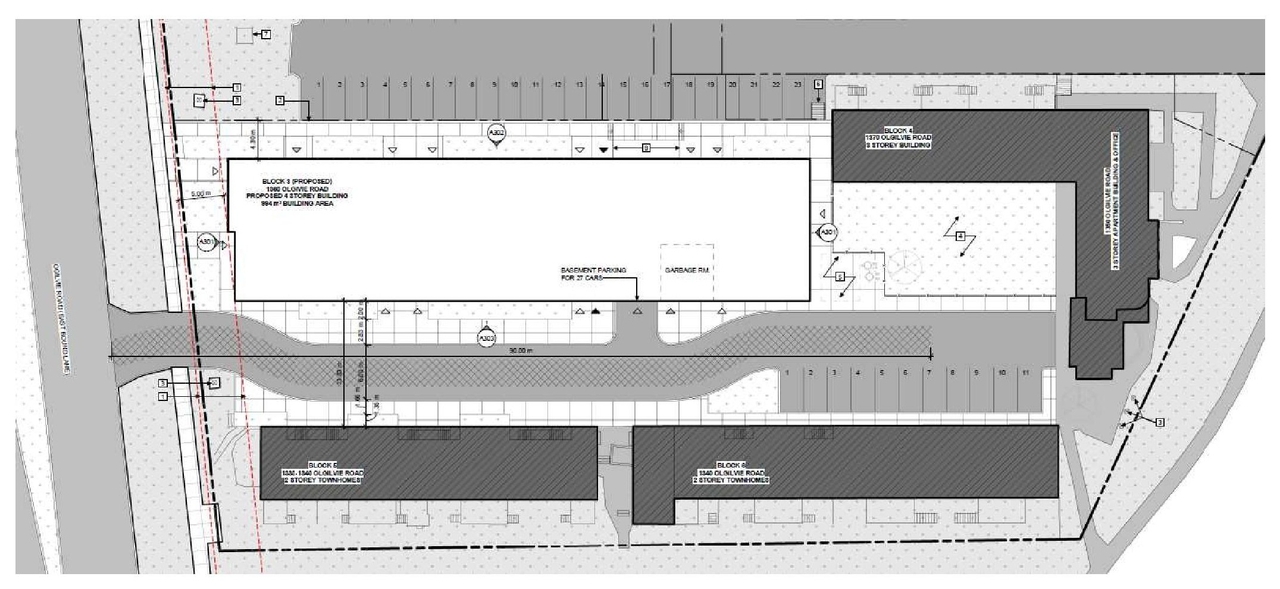
A four (4) storey, 39-unit apartment building is proposed to replace the building part of the Better Living Co-Op that burned down. An underground parking garage will accommodate vehicular and bicycle parking and required bicycle parking and an 11-space surface parking lot is also proposed. As part of the work, an underutilized office with Block 4 will be redeveloped as two residential units, the surface parking lot will be reconfigured and reduced in size, and landscaping will be improved. A minor variance is required to amend certain provisions of the AM10 subzone and minimum parking requirements and will be submitted at a future date.
Status
File Pending (Application File Pending)
Building Scale (Max.)
Based on elevation drawings. Values may be approximate. See sources for exact figures.
Mid-rise · 4 storeys
· 15.68 m
Renders#
Location#
Site Plans, Elevations and Floor Plans#
Additional Information#
| Date Initiated | 2024-07-18 |
| Ward | Ward 11 - Tim Tierney |









