1166 Bank St.#
Last updated: 2025-09-09 · ID: D07-12-23-0035
Summary#
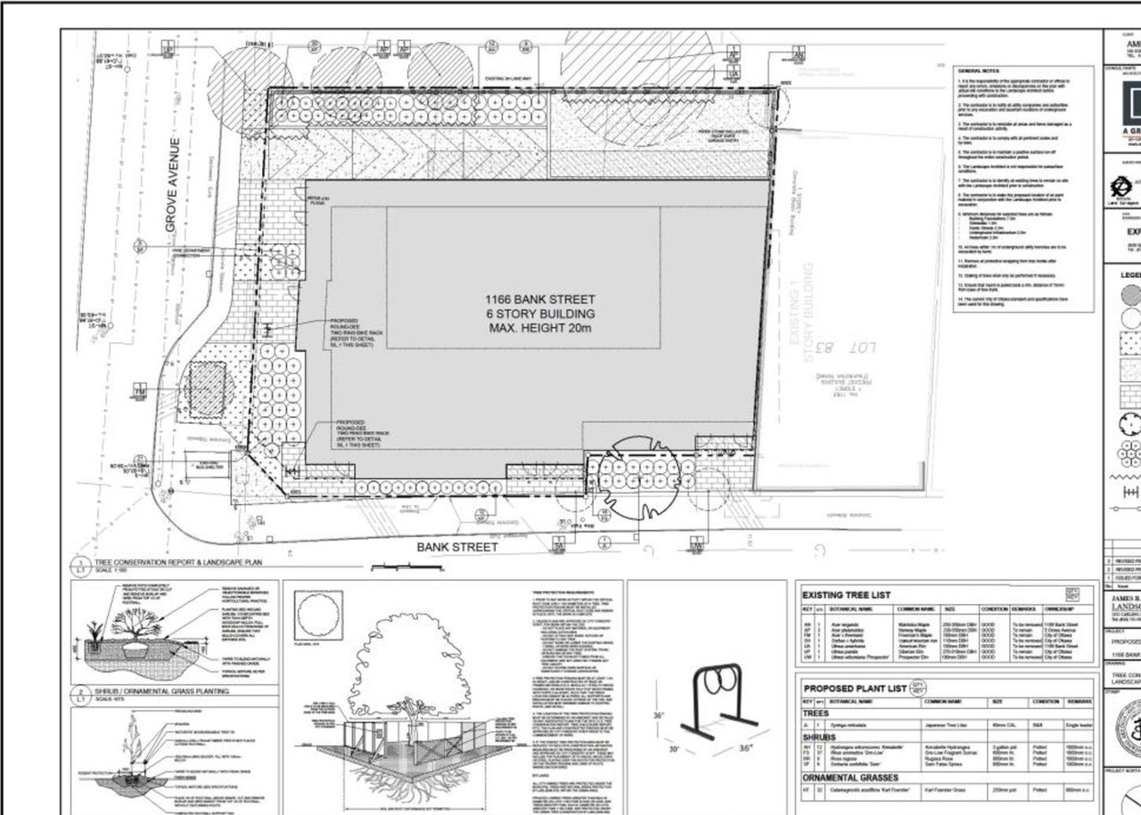
The City of Ottawa has received a Zoning By-law Amendment and Site Plan Control application to permit the construction of six-storey, mixed-use building with four ground floor commercial units, 37 residential units, and 14 parking spaces.
Status
Post Approval (Receipt of Agreement from Owner Pending)
Building Scale (Max.)
Based on elevation drawings. Values may be approximate. See sources for exact figures.
Mid-rise · 6 storeys
· 22.14 m
Renders#
Location#
Select a marker to view the address.
Site Plans, Elevations and Floor Plans#
Additional Information#
| Date Initiated | 2023-03-29 |
| Ward | Ward 17 - Shawn Menard |










