Ottawa Development Projects

2040 Arrowsmith Dr.#

Last updated: 2026-03-17 · ID: D07-12-23-0014

Summary#

The City of Ottawa has received a Zoning By-law Amendment application to rezone the site from Minor Institutional Subzone E (I1E) to Residential Fifth Density Subzone AA, Urban Exception XXXX (R5AA [XXXX]) to permit a 6-storey mixed use building. A concurrent Site Plan Control application was also received.

Status
File Pending (Application File Pending)

Building Scale (Max.) Based on elevation drawings. Values may be approximate. See sources for exact figures.
Mid-rise · 6 storeys · 20.6 m Data Quality Note Height was partially estimated using visual scale. This may be approximate. Data Quality Note Text was extracted using optical character recognition. This may introduce artifacts or misreads.

Renders#

Location#

Select a marker to view the address.

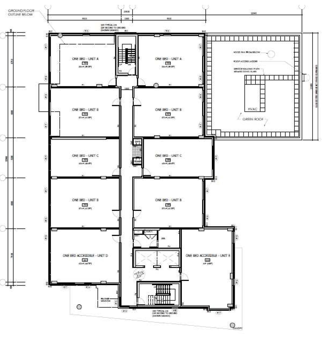
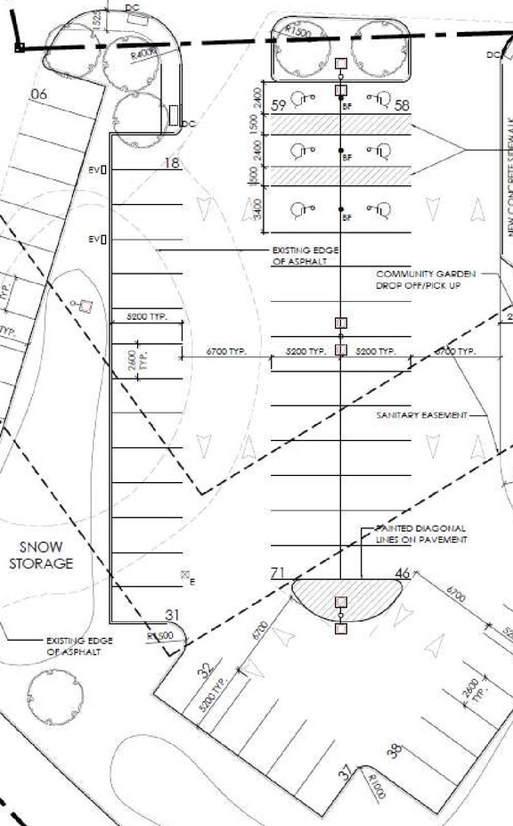
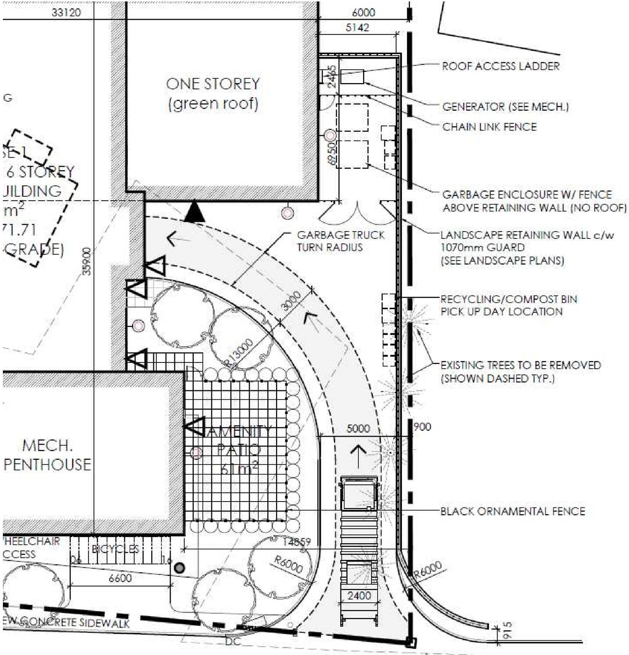
Site Plans, Elevations and Floor Plans#

Additional Information#

Date Initiated2023-02-08
WardWard 11 - Tim Tierney

Documents#

TypeDocument
Application Summary2023-03-10 - Application Summary - D07-12-23-0014
Architectural Plans2023-02-08 - Site Plan - D07-12-23-0014
Architectural Plans2023-02-08 - Post Development Drainage Plan - D07-12-23-0014 (3)
Architectural Plans2023-02-08 - Post Development Drainage Plan - D07-12-23-0014 (2)
Architectural Plans2023-02-08 - Post Development Drainage Plan - D07-12-23-0014
Architectural Plans2023-02-08 - Notes & Details - D07-12-23-0014
Architectural Plans2023-02-08 - Details Plan - D07-12-23-0014
Architectural Plans2023-02-08 - Architectural Drawings Plans - D07-12-23-0014
Architectural Plans2025-12-31 - Site Plan - D07-12-23-0014
Architectural Plans2025-12-31 - Pre-Development Drainage Plan - D07-12-23-0014
Architectural Plans2025-12-31 - Post Development Drainage Plan - SWM - D07-12-23-0014
Architectural Plans2025-12-31 - Post Development Drainage Plan - Sub-Catchments Areas - D07-12-23-0014
Architectural Plans2025-12-31 - Plan and Profiles 1-3 - D07-12-23-0014
Architectural Plans2026-03-13 - Site Plan - D07-12-23-0014
Architectural Plans2026-03-13 - Servicing Plans - D07-12-23-0014
Architectural Plans2026-03-13 - Pre-Development Drainage Plan - D07-12-23-0014
Architectural Plans2026-03-13 - Post Development Drainage Plan - Sub-Catchments Areas - D07-12-23-0014
Architectural Plans2026-03-13 - Landscape Plan - D07-12-23-0014
Architectural Plans2026-03-13 - Grading Plan and Erosion & Sediment Control Plans - D07-12-23-0014
Architectural Plans2026-03-13 - Existing Conditions, Removals & Abandonment Plans - D07-12-23-0014
Architectural Plans2026-03-13 - Civil Plan and Profile C-16 to C-18 - D07-12-23-0014
Design Brief2023-02-08 - Design Brief - D07-12-23-0014
Electrical Plan2023-02-08 - Site Lighting Letter - D07-12-23-0014
Electrical Plan2023-02-08 - Electrical Site Plan - D07-12-23-0014
Electrical Plan2025-12-31 - Electrical Plan - D07-12-23-0014
Environmental2023-02-08 - Phase I Environmental Site Assessment Reliance Letter - D07-12-23-0014
Environmental2023-02-08 - Phase I Environmental Site Assessment - D07-12-23-0014
Existing Conditions2023-02-08 - Existing, Conditions, Removals & Decomissioning Plan - D07-12-23-0014 (2)
Existing Conditions2023-02-08 - Existing, Conditions, Removals & Decomissioning Plan - D07-12-23-0014
Existing Conditions2025-12-31 - Existing Conditions, Removals & Abandonment Plans - D07-12-23-0014
Geotechnical Report2023-02-08 - Grading Plan & Erosion & Sediment Control Plan - D07-12-23-0014
Geotechnical Report2023-02-08 - Grading Plan - D07-12-23-0014
Geotechnical Report2023-02-08 - Geotechnical Investigation D07-12-23-0014
Geotechnical Report2025-12-31 - Grading and Erosion & Sediment Control Plans - D07-12-23-0014
Landscape Plan2025-12-31 - Landscape Plan - D07-12-23-0014
Noise Study2023-02-08 - Transportation Noise & Vibration Assessment D07-12-23-0014
Planning2023-03-03 - Planning Rationale - D07-12-23-0014
Shadow Study2023-02-08 - Shadow Analysis - D07-12-23-0014
Shadow Study2025-12-31 - FUS Classification - D07-12-23-0014
Site Servicing2023-02-08 - Site Servicing Study & Stormwater Management Report - D07-12-23-0014
Site Servicing2023-02-08 - Site Servicing Plan - D07-12-23-0014 (3)
Site Servicing2023-02-08 - Site Servicing Plan - D07-12-23-0014 (2)
Site Servicing2023-02-08 - Site Servicing Plan - D07-12-23-0014
Site Servicing2025-12-31 - Site Servicing Plans - D07-12-23-0014
Stormwater Management2026-03-13 - Site Servicing & SWM Report - D07-12-23-0014
Stormwater Management2026-03-13 - Post Development Drainage Plan - SWM - D07-12-23-0014
Surveying2023-02-08 - Topographic Survey - D07-12-23-0014
Transportation Analysis2023-02-08 - Transportation Impact Assessment Screening and TDM Memo -D07-12-23-0014
Tree Information and Conservation2023-02-08 - Tree Conservation Report & Landscape Site Plan - D07-12-23-0014
Tree Information and Conservation2026-03-13 - Tree Protection Plan - D07-12-23-0014
2023-02-08 - Wigwamen Incorporated Letters Patent - D07-12-23-0014
2025-12-31 - Notes & Schedules - D07-12-23-0014
2025-12-31 - Details - D07-12-23-0014
2026-03-13 - Civil Schedules - D07-12-23-0014
2026-03-13 - Civil Notes - D07-12-23-0014
2026-03-13 - Civil Details - D07-12-23-0014