Ottawa Development Projects

1345 Hemlock Rd./375 Codd’s Rd.#

Last updated: 2026-03-27 · ID: D07-12-22-0127

Summary#

A phased Site Plan Control application to construct a nine-storey mixed-use building and a six-storey residnetial building.

Status
Post Approval (Receipt of Agreement from Owner Pending)

Building Scale (Max.) Based on elevation drawings. Values may be approximate. See sources for exact figures.
Mid-rise · 9 storeys · 32.25 m

Renders#

Location#

Select a marker to view the address.

Site Plans, Elevations and Floor Plans#

  • Image from page 12 of the file '2022-08-30 - Design Brief - D07-12-22-0127 (2)'
  • Image from page 11 of the file '2022-08-30 - Design Brief - D07-12-22-0127 (2)'
  • Image from page 67 of the file '2022-08-30 - Design Brief - D07-12-22-0127'
  • Image from page 11 of the file '2022-08-30 - Design Brief - D07-12-22-0127 (2)'
  • Image from page 11 of the file '2022-08-30 - Design Brief - D07-12-22-0127 (2)'
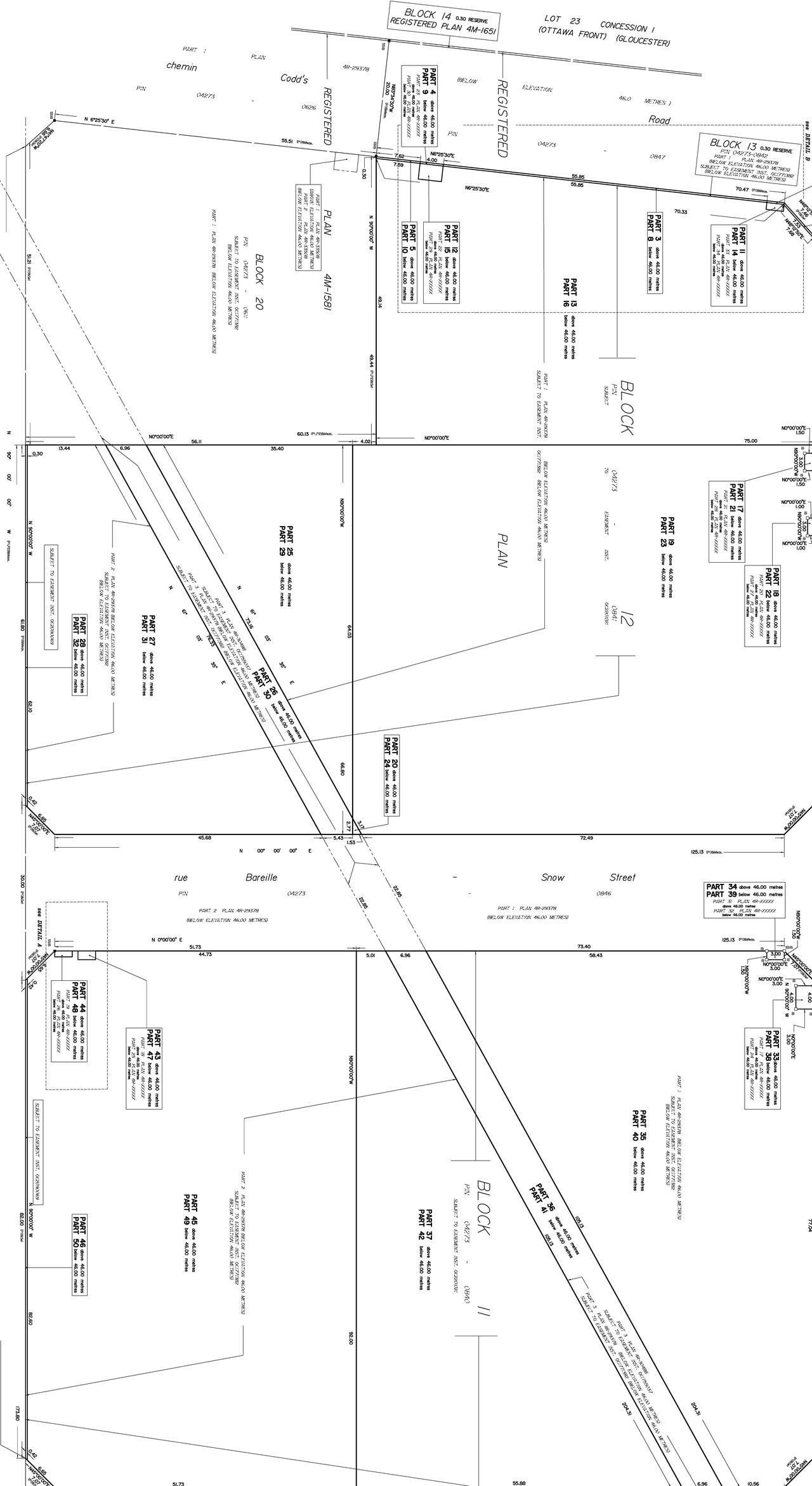
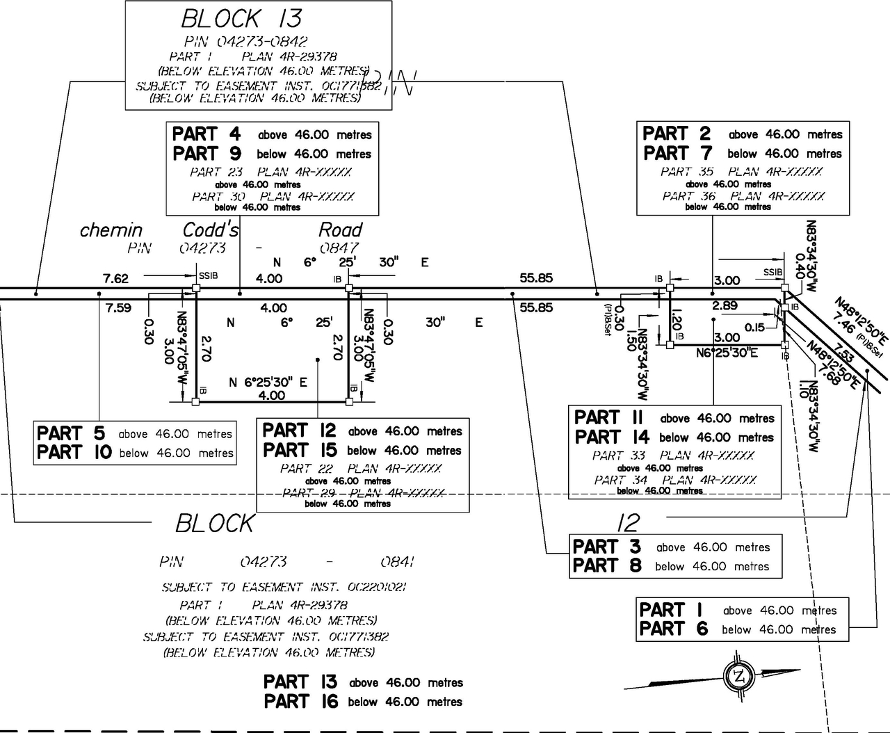
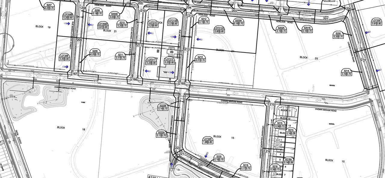
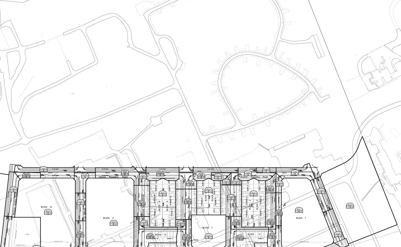
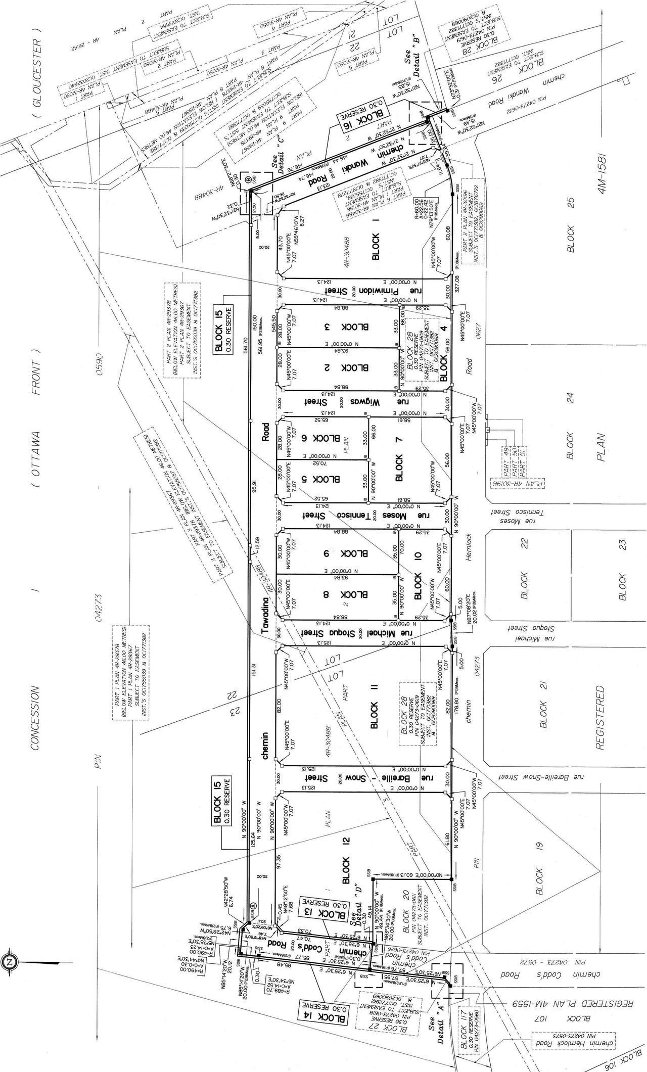
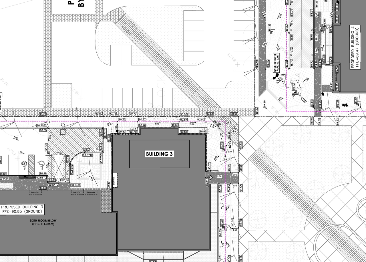
  • Construction site plan for project from page 113 of the file '2022-08-30 - Design Brief - D07-12-22-0127'
  • Construction site plan for project from page 116 of the file '2022-08-30 - Design Brief - D07-12-22-0127'
  • Construction site plan for project from page 112 of the file '2022-08-30 - Design Brief - D07-12-22-0127'
  • Construction site plan for project from page 110 of the file '2022-08-30 - Design Brief - D07-12-22-0127'
  • Construction site plan for project from page 118 of the file '2022-08-30 - Design Brief - D07-12-22-0127'
  • Construction site plan for project from page 109 of the file '2022-08-30 - Design Brief - D07-12-22-0127'
  • Construction site plan for project from page 34 of the file '2022-08-30 - Design Brief - D07-12-22-0127'
  • Construction site plan for project from page 117 of the file '2022-08-30 - Design Brief - D07-12-22-0127'
  • Construction site plan for project from page 54 of the file '2022-08-30 - Design Brief - D07-12-22-0127'
  • Construction site plan for project from page 7 of the file '2022-08-30 - Design Brief - D07-12-22-0127 (2)'
  • Construction site plan for project from page 5 of the file '2022-08-30 - Design Brief - D07-12-22-0127 (2)'
  • Construction site plan for project from page 8 of the file '2022-08-30 - Design Brief - D07-12-22-0127 (2)'
  • Construction site plan for project from page 35 of the file '2022-08-30 - Design Brief - D07-12-22-0127'
  • Construction site plan for project from page 69 of the file '2022-08-30 - Design Brief - D07-12-22-0127'
  • Construction site plan for project from page 35 of the file '2022-08-30 - Design Brief - D07-12-22-0127'
  • Construction site plan for project from page 13 of the file '2022-08-30 - Design Brief - D07-12-22-0127'
  • Construction site plan for project from page 67 of the file '2022-08-30 - Design Brief - D07-12-22-0127'
  • Construction site plan for project from page 51 of the file '2022-08-30 - Design Brief - D07-12-22-0127'
  • Construction site plan for project from page 8 of the file '2022-08-30 - Design Brief - D07-12-22-0127 (2)'
  • Construction site plan for project from page 87 of the file '2022-08-30 - Design Brief - D07-12-22-0127'
  • Floor plan for project from page 35 of the file '2022-08-30 - Design Brief - D07-12-22-0127'
  • Image from page 12 of the file '2022-08-30 - Design Brief - D07-12-22-0127 (2)'
  • Image from page 11 of the file '2022-08-30 - Design Brief - D07-12-22-0127 (2)'
  • Image from page 67 of the file '2022-08-30 - Design Brief - D07-12-22-0127'
  • Image from page 11 of the file '2022-08-30 - Design Brief - D07-12-22-0127 (2)'
  • Image from page 11 of the file '2022-08-30 - Design Brief - D07-12-22-0127 (2)'
  • Construction site plan for project from page 113 of the file '2022-08-30 - Design Brief - D07-12-22-0127'
  • Construction site plan for project from page 116 of the file '2022-08-30 - Design Brief - D07-12-22-0127'
  • Construction site plan for project from page 112 of the file '2022-08-30 - Design Brief - D07-12-22-0127'
  • Construction site plan for project from page 110 of the file '2022-08-30 - Design Brief - D07-12-22-0127'
  • Construction site plan for project from page 118 of the file '2022-08-30 - Design Brief - D07-12-22-0127'
  • Construction site plan for project from page 109 of the file '2022-08-30 - Design Brief - D07-12-22-0127'
  • Construction site plan for project from page 34 of the file '2022-08-30 - Design Brief - D07-12-22-0127'
  • Construction site plan for project from page 117 of the file '2022-08-30 - Design Brief - D07-12-22-0127'
  • Construction site plan for project from page 54 of the file '2022-08-30 - Design Brief - D07-12-22-0127'
  • Construction site plan for project from page 7 of the file '2022-08-30 - Design Brief - D07-12-22-0127 (2)'
  • Construction site plan for project from page 5 of the file '2022-08-30 - Design Brief - D07-12-22-0127 (2)'
  • Construction site plan for project from page 8 of the file '2022-08-30 - Design Brief - D07-12-22-0127 (2)'
  • Construction site plan for project from page 35 of the file '2022-08-30 - Design Brief - D07-12-22-0127'
  • Construction site plan for project from page 69 of the file '2022-08-30 - Design Brief - D07-12-22-0127'
  • Construction site plan for project from page 35 of the file '2022-08-30 - Design Brief - D07-12-22-0127'
  • Construction site plan for project from page 13 of the file '2022-08-30 - Design Brief - D07-12-22-0127'
  • Construction site plan for project from page 67 of the file '2022-08-30 - Design Brief - D07-12-22-0127'
  • Construction site plan for project from page 51 of the file '2022-08-30 - Design Brief - D07-12-22-0127'
  • Construction site plan for project from page 8 of the file '2022-08-30 - Design Brief - D07-12-22-0127 (2)'
  • Construction site plan for project from page 87 of the file '2022-08-30 - Design Brief - D07-12-22-0127'
  • Floor plan for project from page 35 of the file '2022-08-30 - Design Brief - D07-12-22-0127'

Additional Information#

Date Initiated2022-08-29
WardWard 13 - Rawlson King

Documents#

TypeDocument
Application Summary2022-09-15 - Application Summary - D07-12-22-0127
Architectural Plans2024-03-20 - Approved Site Plans & Elevations - D07-12-22-0127
Architectural Plans2024-02-06 - Notes and Details Plan - D07-12-22-0127
Architectural Plans2023-12-22 - Park Plans - D07-12-22-0127
Architectural Plans2023-12-22 - Architectural Drawing Package - D07-12-22-0127
Architectural Plans2023-06-09 - Site, Floor Elevation Plans - D07-12-22-0127
Architectural Plans2023-06-09 - Site Plan - D07-12-22-0127
Architectural Plans2022-08-30 - Site Plan Drawings - D07-12-22-0127
Architectural Plans2022-08-30 - Plan 4R - D07-12-22-0127
Architectural Plans2024-08-27 - Architectural Drawings - D07-12-22-0127
Architectural Plans2024-12-10 - Architectural Plans - D07-12-22-0127
Architectural Plans2025-01-15 - Conceptual Site Plan - D07-12-22-0127
Architectural Plans2025-06-17 - APPROVED Landscape Plan - D07-12-22-0127
Architectural Plans2025-06-17 - APPROVED Architectural Plans - D07-12-22-0127
Civil Engineering Report2024-03-20 - Approved Civil Plans - D07-12-22-0127
Civil Engineering Report2023-12-22 - Civil Plans - D07-12-22-0127
Civil Engineering Report2023-06-09 - Civil Drawings - D07-12-22-0127 (2)
Civil Engineering Report2023-06-09 - Civil Drawings - D07-12-22-0127
Civil Engineering Report2022-08-30 - Civil drawings - D07-12-22-0127
Civil Engineering Report2024-08-27 - Civil Drawings - D07-12-22-0127
Civil Engineering Report2024-12-10 - Civil Drawings - D07-12-22-0127
Design Brief2022-08-30 - Design Brief - D07-12-22-0127 (2)
Design Brief2022-08-30 - Design Brief - D07-12-22-0127
Drainage Plan2025-01-15 - Drainage System Details - D07-12-22-0127
Environmental2022-08-30 - Phase One Environmental Site Assessment Letter - D07-12-22-0127
Geotechnical Report2024-02-06 - Subsurface Investigation Report - D07-12-22-0122
Geotechnical Report2023-12-22 - Grading Plans - D07-12-22-0127
Geotechnical Report2023-12-22 - Geotechnical Report - D07-12-22-0127
Geotechnical Report2023-06-09 - Geotechnical Deep Sewer memo - D07-12-22-0127
Geotechnical Report2022-08-30 - Grading Plus Plan Reviews - D07-12-22-0127
Geotechnical Report2022-08-30 - Geotechnical Report - D07-12-22-0127
Geotechnical Report2025-01-15 - Geotechnical Report - D07-12-22-0127
Landscape Plan2024-03-20 - Approved Landscape Plan & Details - D07-12-22-0127
Landscape Plan2023-12-22 - Landscape Plans - D07-12-22-0127
Landscape Plan2023-06-09 - Landscape Plan - D07-12-22-0127
Landscape Plan2022-08-30 - Landscape Plan - D07-12-22-0127
Landscape Plan2024-08-27 - Landscape Plan and Details - D07-12-22-0127
Landscape Plan2024-12-10 - Landscape Plan - D07-12-22-0127
Noise Study2023-12-22 - Roadway Traffic Noise Assessment - D07-12-22-0127
Noise Study2023-06-09 - Noise Addendum Letter - D07-12-22-0127
Noise Study2022-08-30 - Roadway Traffic Noise - D07-12-22-0127
Noise Study2025-06-17 - APPROVED Roadway Traffic Noise Assessment - D07-12-22-0127
Planning2022-08-30 - Planning Rationale - D07-12-22-0127
Shadow Study2022-08-30 - Shadow Study - D07-12-22-0127
Site Servicing2023-06-09 - Servicing Report - D07-12-22-0127
Site Servicing2022-08-30 - Servicing Drawings - D07-12-22-0127
Site Servicing2024-08-27 - Servicing Report - D07-12-22-0127
Site Servicing2024-12-10 - Servicing Report - D07-12-22-0127
Stormwater Management2024-02-06 - Stormwater Chamber Specifications - D07-12-22-0127
Stormwater Management2023-12-22 - SWM Report - D07-12-22-0127
Stormwater Management2023-06-09 - STORMWATER MANAGEMENT REPORT - D07-12-22-0127 (2)
Stormwater Management2023-06-09 - STORMWATER MANAGEMENT REPORT - D07-12-22-0127
Stormwater Management2024-08-27 - SWM Report - D07-12-22-0127
Stormwater Management2024-12-10 - Stormwater Management Report - D07-12-22-0127
Stormwater Management2025-06-17 - APPROVED Stormwater Management Report - D07-12-22-0127
Transportation Analysis2024-02-06 - Transportation Impact Assessment - D07-12-22-0127
Transportation Analysis2023-12-22 - Transportation Impact Assessment-Step 3 & 4 Forecasting & Analysis - D07-12-22-0127
Transportation Analysis2022-08-30 - Transportation Impact Assessment - D07-12-22-0127
Transportation Analysis2024-10-07 - Transportation Impact Assessment - D07-12-22-0127
2024-03-20 - Signed Delegated Authority Report - D07-12-22-0127
2023-12-22 - Sewer Vibrat Load Effects - D07-12-22-0127
2023-12-22 - Mataj Memo-confirmation of non combustible - D07-12-22-0127
2023-12-22 - Impact Resistance Comparison Chart - D07-12-22-0127
2023-06-09 - Memo - Confirmation of Project Requirements - D07-12-22-0127
2023-06-09 - Implementation and Planning - D07-12-22-0127
2023-06-09 - Assessment of Revised Block 11 and 12 Storm and Sanitary - D07-12-22-0127
2024-12-10 - Letter - Re-examination of waterproffing requirments - D07-12-22-0127
2024-12-10 - Letter - Infiltration Chamber - D07-12-22-0127
2024-12-10 - Engineering - Geotechnical Report - D07-12-22-0127
2025-06-17 - APPROVED Transportation Impact Assessment - D07-12-22-0127
2025-06-17 - APPROVED Servicing Report - D07-12-22-0127
2025-06-17 - APPROVED Delegated Authority Report - D07-12-22-0127
2025-06-17 - APPROVED Civil Drawings - D07-12-22-0127