Ottawa Development Projects

3265 Jockvale Rd.#

Last updated: 2025-04-30 · ID: D07-12-22-0104

Summary#

A total of 604 residential units are proposed in stacked townhouse units on two development blocks. North of Glenroy Gilbert: 60 stacked townhouse units with 66 surface parking spaces for residents and visitors. South of Glenroy Gilbert: 544 stacked townhouses units with 544 underground parking spaces for residents and 51 surface parking for visitors. Approximately 10,435 total square metres of amenity area is provided. The development also includes the extension of RioCan Avenue to the south and Glenroy Gilbert Drive to the west (to intersect with RioCan).

Status
Post Approval (Receipt of Agreement from Owner Pending)

Building Scale (Max.) Based on elevation drawings. Values may be approximate. See sources for exact figures.
Low-rise · 3 storeys · 17.7 m Data Quality Note Height was partially estimated using visual scale. This may be approximate. Data Quality Note Text was extracted using optical character recognition. This may introduce artifacts or misreads.

Renders#

Location#

Select a marker to view the address.

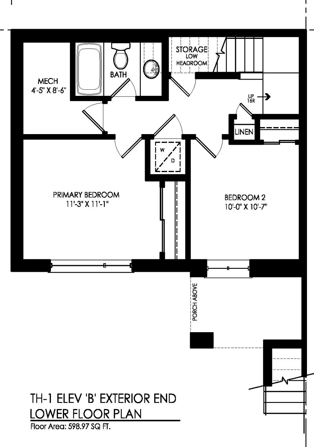
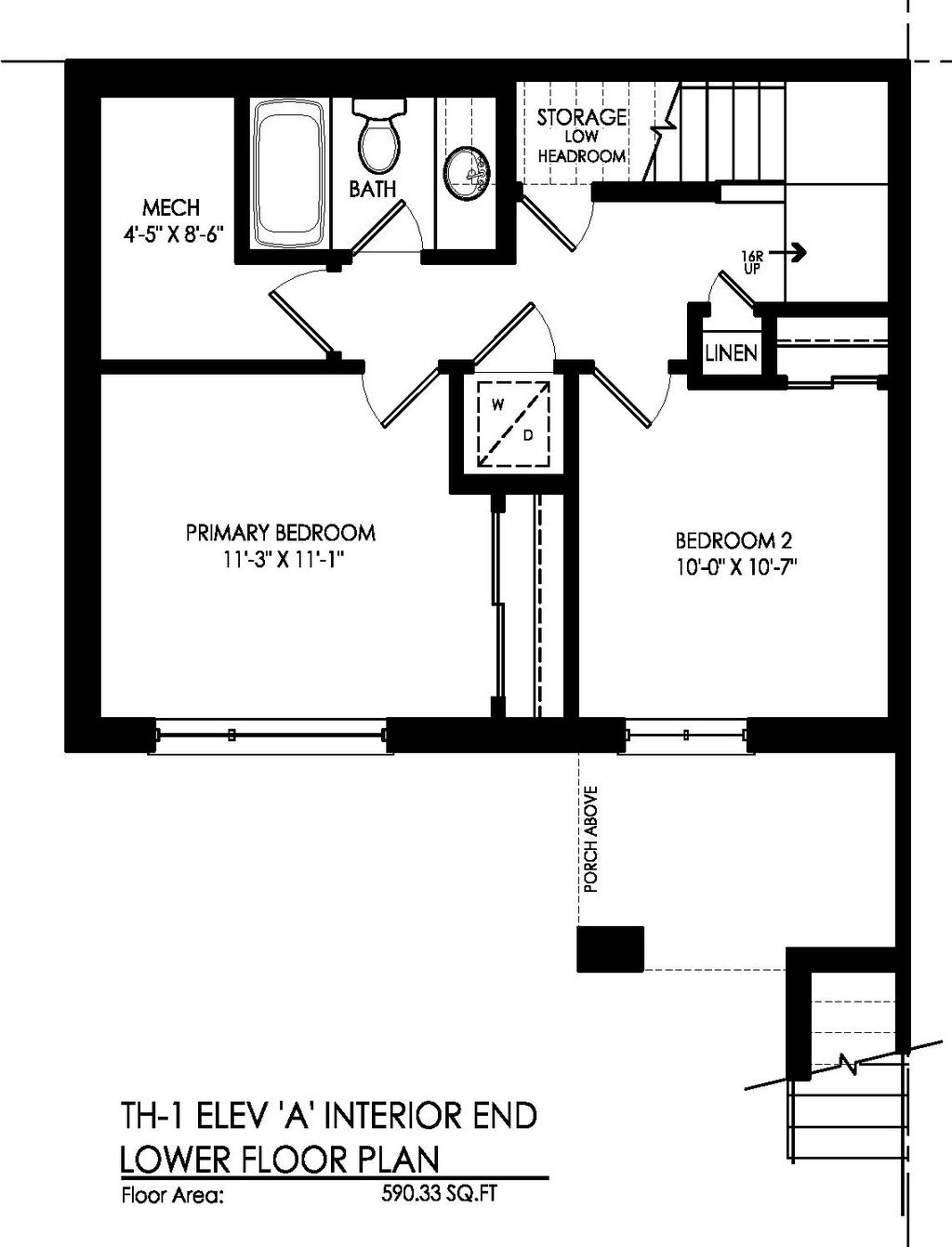
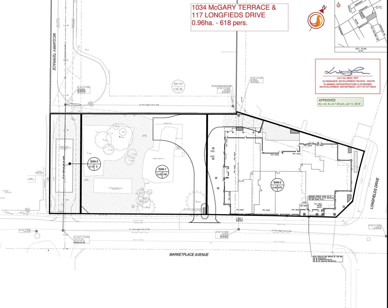
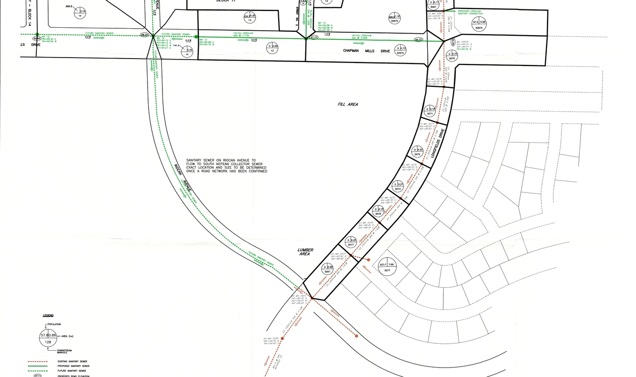
Site Plans, Elevations and Floor Plans#

Additional Information#

Date Initiated2022-07-04
WardWard 3 - David Hill

Documents#

TypeDocument
Application Summary2022-08-10 - Application Summary - D07-12-22-0104
Architectural Plans2024-04-11 - Approved Site Plan - D07-12-22-0104
Architectural Plans2024-04-11 - Approved Sanitary Drainage Plan West - D07-12-22-0104
Architectural Plans2024-04-11 - Approved Sanitary Drainage Plan East - D07-12-22-0104
Architectural Plans2024-04-11 - Approved General Plan West - D07-12-22-0104
Architectural Plans2024-04-11 - Approved General Plan East - D07-12-22-0104
Architectural Plans2024-04-11 - Approved Elevations - D07-12-22-0104
Architectural Plans2024-02-23 - Site Plan - D07-12-22-0104
Architectural Plans2024-02-23 - SANITARY DRAINAGE PLAN WEST - D07-12-22-0104
Architectural Plans2024-02-23 - SANITARY DRAINAGE PLAN EAST - D07-12-22-0104
Architectural Plans2024-02-23 - SANITARY DRAINAGE PLAN - D07-12-22-0104
Architectural Plans2024-02-23 - Plan - RIOCAN AVENUE - D07-12-22-0104
Architectural Plans2024-02-23 - Plan - CHAPMAN MILLS DRIVE - D07-12-22-0104
Architectural Plans2024-02-23 - Plan - GLENROY GILBERT DRIVE - D07-12-22-0104
Architectural Plans2024-02-23 - Plan - CHAPMAN MILLS DRIVE - D07-12-22-0104
Architectural Plans2024-02-23 - GENERAL PLAN EAST - D07-12-22-0104
Architectural Plans2024-02-23 - GENERAL PLAN WEST - D07-12-22-0104
Architectural Plans2023-10-17 - Site Plan - D07-12-22-0104
Architectural Plans2023-10-17 - SANITARY DRAINAGE PLAN WEST - D07-12-22-0104
Architectural Plans2023-10-17 - SANITARY DRAINAGE PLAN EAST - D07-12-22-0104
Architectural Plans2023-10-17 - SANITARY DRAINAGE PLAN - D07-12-22-0104
Architectural Plans2023-10-17 - Plan and Profile - D07-12-22-0104 (2)
Architectural Plans2023-10-17 - Plan and Profile - D07-12-22-0104
Architectural Plans2023-10-17 - Plan and Profile - D07-12-22-0104
Architectural Plans2023-10-17 - GENERAL PLAN WEST - D07-12-22-0104
Architectural Plans2023-10-17 - GENERAL PLAN EAST - D07-12-22-0104
Architectural Plans2023-10-17 - GENERAL PLAN EAST - D07-12-22-0104
Architectural Plans2023-10-17 - CITY ROW GRADING PLAN WEST - D07-12-22-0104
Architectural Plans2023-10-17 - CITY ROW GENERAL PLAN EAST - D07-12-22-0104
Architectural Plans2023-07-05 -SANITARY DRAINAGE PLAN WEST - D07-12-22-0104
Architectural Plans2023-07-05 - Site Plan - D07-12-22-0104
Architectural Plans2023-07-05 - SANITARY DRAINAGE PLAN EAST - D07-12-22-0104
Architectural Plans2023-07-05 - Sanitary Drainage Plan - D07-12-22-0104
Architectural Plans2023-07-05 - Plan and Profile - D07-12-22-0104 (2)
Architectural Plans2023-07-05 - Plan and Profile - D07-12-22-0104
Architectural Plans2023-07-05 - Plan and Profiile - D07-12-22-0104
Architectural Plans2023-07-05 - Geometric Road Design Plan - D07-12-22-0104
Architectural Plans2023-07-05 - Garage Plan - D07-12-22-0104
Architectural Plans2023-07-05 - Elevations - D07-12-22-0104
Architectural Plans2023-07-04 - PLAN AND PROFILE - D07-12-22-0104
Architectural Plans2023-07-04 - GENERAL PLAN WEST - D07-12-22-0104
Architectural Plans2023-07-04 - GENERAL PLAN EAST - D07-12-22-0104
Architectural Plans2023-07-04 - GENERAL PLAN EAST
Architectural Plans2023-07-04 - CITY ROW GENERAL PLAN WEST - D07-12-22-0104
Architectural Plans2022-06-30 - Site Plan - D07-12-22-0104
Architectural Plans2022-06-30 - Sanitary Drainage Plan (2) - D07-12-22-0104
Architectural Plans2022-06-30 - Sanitary Drainage Plan - D07-12-22-0104
Architectural Plans2022-06-30 - Plan & Profile - D07-12-22-0104
Architectural Plans2022-06-30 - General Plan (2) - D07-12-22-0104
Architectural Plans2022-06-30 - General Plan - D07-12-22-0104
Architectural Plans2022-06-30 - Garage Plan - D07-12-22-0104
Architectural Plans2022-06-30 - Elevations Roof Terrace - D07-12-22-0104
Architectural Plans2022-06-30 - Elevations Block B-HL - D07-12-22-0104
Architectural Plans2022-06-30 - Elevations Block A-HL - D07-12-22-0104
Design Brief2024-04-11 - Design Brief - D07-12-22-0104
Design Brief2023-10-17 - Design Brief - D07-12-22-0104
Design Brief2023-07-05 - Design Brief - D07-12-22-0104
Design Brief2022-06-30 - Design Brief - D07-12-22-0104
Environmental2024-04-11 - Phase I Environmental Site Assessment - D07-12-22-0104
Erosion And Sediment Control Plan2024-04-11 - Approved Erosion & Sediment Control Plan Stage 2 - D07-12-22-0104
Erosion And Sediment Control Plan2024-04-11 - Approved Erosion & Sediment Control Plan Stage 1 - D07-12-22-0104
Erosion And Sediment Control Plan2024-02-23 - EROSION AND SEDIMENT CONTROL PLAN STAGE 2 - D07-12-22-0104
Erosion And Sediment Control Plan2024-02-23 - EROSION AND SEDIMENT CONTROL PLAN STAGE 1 - D07-12-22-0104
Erosion And Sediment Control Plan2023-10-17 - EROSION AND SEDIMENT CONTROL PLAN STAGE 2 - D07-12-22-0104
Erosion And Sediment Control Plan2023-10-17 - EROSION AND SEDIMENT CONTROL PLAN STAGE 2 - D07-12-22-0104
Erosion And Sediment Control Plan2023-07-05 - EROSION AND SEDIMENT CONTROL PLAN STAGE 2 - D07-12-22-0104 (2)
Erosion And Sediment Control Plan2023-07-05 - EROSION AND SEDIMENT CONTROL PLAN STAGE 2 - D07-12-22-0104
Erosion And Sediment Control Plan2023-07-05 - EROSION AND SEDIMENT CONTROL PLAN STAGE 1 - D07-12-22-0104
Erosion And Sediment Control Plan2023-07-05 - EROSION AND SEDIMENT CONTROL PLAN - D07-12-22-0104
Erosion And Sediment Control Plan2022-06-30 - Erosion and Sediment Control Plan Stage 2 (2) - D07-12-22-0104
Erosion And Sediment Control Plan2022-06-30 - Erosion and Sediment Control Plan Stage 2 - D07-12-22-0104
Erosion And Sediment Control Plan2022-06-30 - Erosion and Sediment Control Plan Stage 1 (2) - D07-12-22-0104
Erosion And Sediment Control Plan2022-06-30 - Erosion and Sediment Control Plan Stage 1 - D07-12-22-0104
Floor Plan2022-06-30 - Floor Plans Rooftop Terrace - D07-12-22-0104
Floor Plan2022-06-30 - Floor Plans (2) - D07-12-22-0104
Floor Plan2022-06-30 - Floor Plans - D07-12-22-0104
Geotechnical Report2024-04-11 - Geotechnical Review of Site Servicing Drawings Memo - D07-12-22-0104
Geotechnical Report2024-04-11 - Geotechnical Review - Global Stability Analysis - D07-12-22-0104
Geotechnical Report2024-04-11 - Approved Grading Plan West - D07-12-22-0104
Geotechnical Report2024-04-11 - Approved Grading Plan East - D07-12-22-0104
Geotechnical Report2024-02-23 - GRADING PLAN WEST - D07-12-22-0104 (2)
Geotechnical Report2024-02-23 - GRADING PLAN WEST - D07-12-22-0104
Geotechnical Report2024-02-23 - GRADING PLAN EAST - D07-12-22-0104 (2)
Geotechnical Report2024-02-23 - GRADING PLAN EAST - D07-12-22-0104
Geotechnical Report2023-10-17 - GRADING PLAN WEST - D07-12-22-0104
Geotechnical Report2023-10-17 - GRADING PLAN EAST - D07-12-22-0104 (2)
Geotechnical Report2023-10-17 - GRADING PLAN EAST - D07-12-22-0104
Geotechnical Report2023-07-05 - GRADING PLAN WEST - D07-12-22-0104
Geotechnical Report2023-07-05 - GRADING PLAN EAST - D07-12-22-0104 (2)
Geotechnical Report2023-07-05 - GRADING PLAN EAST - D07-12-22-0104
Geotechnical Report2023-07-05 - Geotechnical - D07-12-22-0104
Geotechnical Report2023-07-04 - GRADING PLAN WEST - D07-12-22-0104
Geotechnical Report2022-06-30 - Grading Plan (3) - D07-12-22-0104
Geotechnical Report2022-06-30 - Grading Plan (2) - D07-12-22-0104
Geotechnical Report2022-06-30 - Grading Plan - D07-12-22-0104
Landscape Plan2024-04-11 - Approved Landscape Plan - D07-12-22-0104
Landscape Plan2024-02-23 - Landscape Plan - D07-12-22-0104
Landscape Plan2023-10-17 - Landscape Plan - D07-12-22-0104
Landscape Plan2023-07-05 - Landscape Plan - D07-12-22-0104
Landscape Plan2022-06-30 - Landscape Plan Staged - D07-12-22-0104
Noise Study2023-07-05 - Roadway Traffic Noise Assessment - D07-12-22-0104
Noise Study2022-06-30 - Noise Addendum Letter - D07-12-22-0104
Planning2022-06-30 - Planning Rationale Addendum - D07-12-22-0104
Stormwater Management2024-04-11 - Approved Storm Drainage Plan West - D07-12-22-0104
Stormwater Management2024-04-11 - Approved Storm Drainage Plan East - D07-12-22-0104
Stormwater Management2024-02-23 - STORM DRAINAGE PLAN WEST - D07-12-22-0104
Stormwater Management2024-02-23 - STORM DRAINAGE PLAN EAST - D07-12-22-0104
Stormwater Management2024-02-23 - STORM DRAINAGE PLAN - D07-12-22-0104
Stormwater Management2023-10-17 - STORM DRAINAGE PLAN WEST - D07-12-22-0104
Stormwater Management2023-10-17 - STORM DRAINAGE PLAN EAST - D07-12-22-0104
Stormwater Management2023-10-17 - CITY ROW STORM DRAINAGE PLAN - D07-12-22-0104
Stormwater Management2023-07-05 - STORM DRAINAGE PLAN WEST - D07-12-22-0104
Stormwater Management2023-07-05 - STORM DRAINAGE PLAN EAST - D07-12-22-0104
Stormwater Management2023-07-05 - STORM DRAINAGE PLAN - D07-12-22-0104
Stormwater Management2022-06-30 - Storm Drainage Plan (2) - D07-12-22-0104
Stormwater Management2022-06-30 - Storm Drainage Plan - D07-12-22-0104
Surveying2023-07-05 - Topographic Plan - 2023-07-05 - D07-12-22-0104
Surveying2022-06-30 - Topographic & Site Plan - D07-12-22-0104
Transportation Analysis2023-07-05 - Transportation Impact Asssessment - D07-12-22-0104
Transportation Analysis2022-06-30 - Transportation Strategy Report - D07-12-22-0104
2024-04-11 - Signed Delegated Authority Report - D07-12-22-0104
2024-04-11 - Approved Redi-Rock Retaining Wall Design (RR7-RR8) - D07-12-22-0104
2024-04-11 - Approved Redi-Rock Retaining Wall Design (RR5-RR6) - D07-12-22-0104
2024-04-11 - Approved Redi-Rock Retaining Wall Design (RR3-RR4) - D07-12-22-0104
2024-04-11 - Approved Redi-Rock Retaining Wall Design (RR25) - D07-12-22-0104
2024-04-11 - Approved Redi-Rock Retaining Wall Design (RR14-RR24, RR26) - D07-12-22-0104
2024-04-11 - Approved Redi-Rock Retaining Wall Design (RR12-RR13) - D07-12-22-0104
2024-04-11 - Approved Redi-Rock Retaining Wall Design (RR10-RR11)- D07-12-22-0104
2024-04-11 - Approved Redi-Rock Retaining Wall Design (RR1-RR2) - D07-12-22-0104
2024-04-11 - Approved General Notes - D07-12-22-0104
2024-04-11 - Approved Details & Table (3) - D07-12-22-0104
2024-04-11 - Approved Details & Table (2) - D07-12-22-0104
2024-02-23 - TITLE PAGE - D07-12-22-0104 (2)
2024-02-23 - TITLE PAGE - D07-12-22-0104
2024-02-23 - STANDARD ROADWAY CROSS SECTIONS - D07-12-22-0104
2024-02-23 - Geometric Road Design - D07-12-22-0104
2024-02-23 - GENERAL NOTES - D07-12-22-0104 (2)
2024-02-23 - GENERAL NOTES - D07-12-22-0104
2024-02-23 - DETAILS AND TABLE - D07-12-22-0104
2024-02-23 - DETAILS AND TABLE - D07-12-22-0104 (2)
2024-02-23 - DETAILS AND TABLE - D07-12-22-0104
2023-10-17 - TITLE PAGE EXTENSION - D07-12-22-0104
2023-10-17 - TITLE PAGE - D07-12-22-0104
2023-10-17 - ROADWAY CROSS SECTIONS - D07-12-22-0104
2023-10-17 - Redi-Rock Retaining Wall Design - D07-12-22-0104 (7)
2023-10-17 - Redi-Rock Retaining Wall Design - D07-12-22-0104 (6)
2023-10-17 - Redi-Rock Retaining Wall Design - D07-12-22-0104 (5)
2023-10-17 - Redi-Rock Retaining Wall Design - D07-12-22-0104 (4)
2023-10-17 - Redi-Rock Retaining Wall Design - D07-12-22-0104 (3)
2023-10-17 - Redi-Rock Retaining Wall Design - D07-12-22-0104 (2)
2023-10-17 - Redi-Rock Retaining Wall Design - D07-12-22-0104
2023-10-17 - GLENROY GILBERT DRIVE - D07-12-22-0104
2023-10-17 - Geometric Road Design - D07-12-22-0104
2023-10-17 - GENERAL NOTES - D07-12-22-0104
2023-10-17 - GENERAL NOTES - D07-12-22-0104
2023-10-17 - DETAILS AND TABLE - D07-12-22-0104 (2)
2023-10-17 - DETAILS AND TABLE - D07-12-22-0104
2023-10-17 - DETAILS AND TABLE - D07-12-22-0104
2023-07-04 - TITLE PAGE - D07-12-22-0104 (2)
2023-07-04 - TITLE PAGE - D07-12-22-0104
2023-07-04 - STANDARD ROADWAY CROSS SECTIONS - D07-12-22-0104
2023-07-04 - GENERAL NOTES - D07-12-22-0104
2023-07-04 - DETAILS AND TABLE - D07-12-22-0104
2023-07-04 - CITY ROW GENERAL NOTES - D07-12-22-0104
2023-07-04 - CITY ROW DETAILS AND TABLE - D07-12-22-0104
2022-06-30 - Standard Roadway Cross Sections - D07-12-22-0104
2022-06-30 - General Notes - D07-12-22-0104
2022-06-30 - Details and Table (2) - D07-12-22-0104
2022-06-30 - Details and Table - D07-12-22-0104
2025-03-21 - SPC Extension of Time Limit - D07-12-22-0104