665 Albert St.#
Last updated: 2025-01-24 · ID: D07-12-22-0069
Summary#
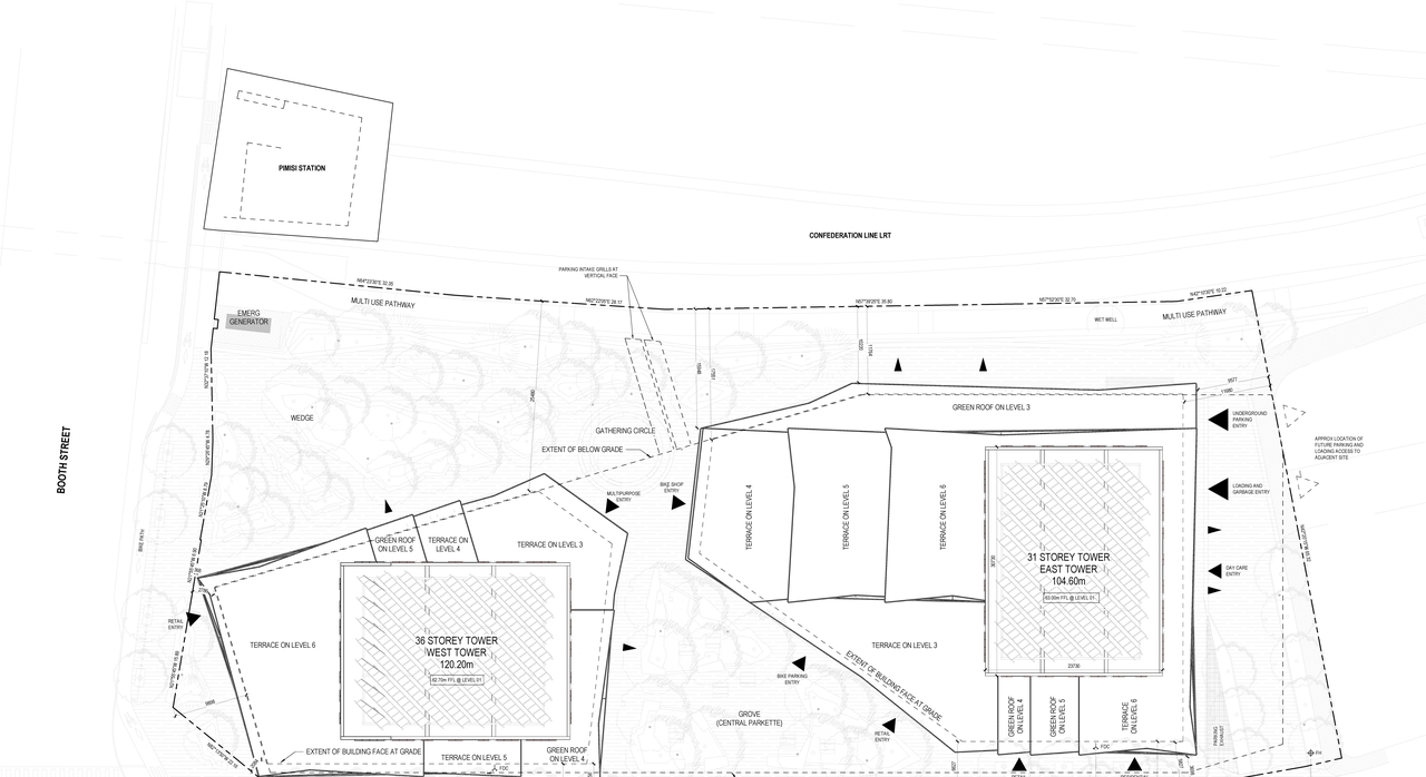
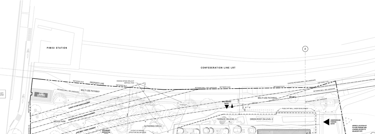
The City of Ottawa has received Official Plan Amendment, Zoning By-law Amendment, and Site Plan Control applications to permit the development of two high-rise buildings (31 and 36 storeys), including amendments to the permitted height, permitted floor area, setbacks and mobility network, and lifting of the holding symbol.
Status
Post Approval (Agreement Signed)
Building Scale (Max.)
Based on elevation drawings. Values may be approximate. See sources for exact figures.
High-rise · 36 storeys
· 124 m
Renders#
Location#
Select a marker to view the address.
Site Plans, Elevations and Floor Plans#
Additional Information#
| Date Initiated | 2022-04-26 |
| Ward | Ward 14 - Ariel Troster |
Documents#
Related Projects#
| Project | Last Updated | Date Initiated |
|---|---|---|
| 2024-04-30 | 2023-11-28 |












