Ottawa Development Projects

1560 Scott St.#

Last updated: 2025-06-26 · ID: D07-12-22-0004

Summary#

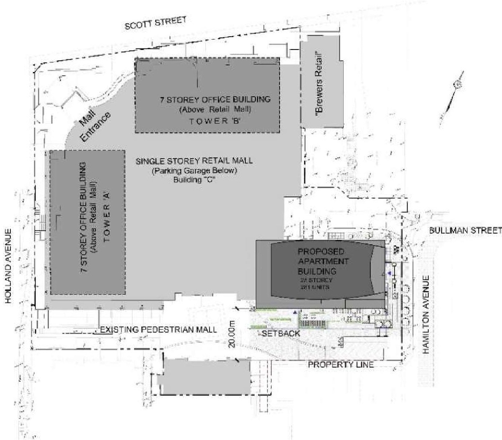
The proposal is for a 25-storey mixed-use (ground floor commercial use with an apartment tower)

Status
Post Approval (Receipt of Agreement from Owner Pending)

Building Scale (Max.) Based on elevation drawings. Values may be approximate. See sources for exact figures.
High-rise · 25 storeys · 77.05 m

Renders#

Location#

Select a marker to view the address.

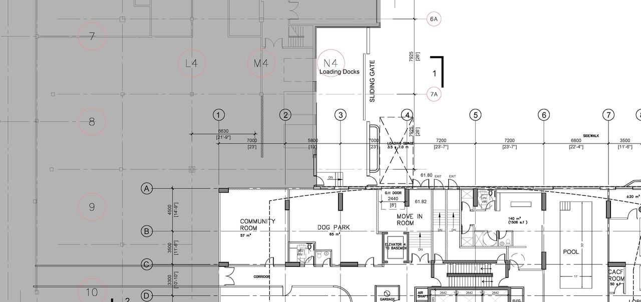
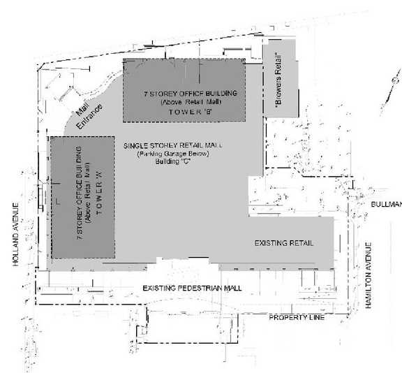
Site Plans, Elevations and Floor Plans#

Additional Information#

Date Initiated2022-01-13
WardWard 15 - Jeff Leiper

Documents#

TypeDocument
Application Summary2022-03-17 - Application Summary - D07-12-22-0004
Architectural Plans2023-09-08 - Approved Site Plan - D07-12-22-0004
Architectural Plans2023-09-08 - Approved Elevations - D07-12-22-0004
Architectural Plans2023-06-13 - West Elevation Plan - D07-12-22-0004
Architectural Plans2023-06-13 - South Elevation Plan - D07-12-22-0004
Architectural Plans2023-06-13 - Site Plan - D07-12-22-0004
Architectural Plans2023-06-13 - North Elevation Plan - D07-12-22-0004
Architectural Plans2023-06-13 - East Elevation Plan - D07-12-22-0004
Architectural Plans2023-03-10 - Roof plan - D07-12-22-0004
Architectural Plans2022-11-28 - West Elevation - D07-12-22-0004
Architectural Plans2022-11-28 - South Elevation - D07-12-22-0004
Architectural Plans2022-11-28 - Site Plan -D07-12-22-0004
Architectural Plans2022-11-28 - East Elevation - D07-12-22-0004
Architectural Plans2022-11-28 - Basement level-2 plan - D07-12-22-0004
Architectural Plans2022-11-28 - Basement level-1 plan - D07-12-22-0004
Architectural Plans2022-11-28 - Roof Plan - D07-12-22-0004
Architectural Plans2022-11-28 - North Elevation - D07-12-22-0004
Architectural Plans2022-01-13 - West Elevation - D07-12-22-0004
Architectural Plans2022-01-13 - South Elevation - D07-12-22-0004
Architectural Plans2022-01-13 - Site Plan Details - D07-12-22-0004
Architectural Plans2022-01-13 - Site Plan - D07-12-22-0004
Architectural Plans2022-01-13 - North Elevation - D07-12-22-0004
Architectural Plans2022-01-13 - East Elevation - D07-12-22-0004
Architectural Plans2022-01-13 - Basement Level-2 Plan - D07-12-22-0004
Architectural Plans2022-01-13 - Basement level-1 Plan - D07-12-22-0004
Design Brief2022-01-13 - Design Brief - D07-12-22-0004
Environmental2022-11-28 - Phase Two Environmental Site Assessment - D07-12-22-0004
Environmental2022-11-28 - Phase One Environmental Site Assessment - D07-12-22-0004
Environmental2022-01-13 - Phase 1 Environmental Site Assessment - D07-12-22-0004
Existing Conditions2023-09-08 - Approved Existing Storm Drainage Plan - D07-12-22-0004
Existing Conditions2023-09-08 - Approved Existing Conditions and Removals Plan - D07-12-22-0004
Existing Conditions2023-04-24 - EXISTING STORM DRAINAGE PLAN - D07-12-22-0004
Existing Conditions2023-04-24 - EXISTING CONDITIONS AND REMOVALS PLAN - D07-12-22-0004
Existing Conditions2023-03-10 - Existing Storm Drainage Plan - D07-12-22-0004
Existing Conditions2023-03-10 - Existing Conditions & Removals Plan - D07-12-22-0004
Existing Conditions2022-11-28 - Existing Conditions & Removals Plan - D07-12-22-0004
Existing Conditions2022-01-31 - Existing Storm Drainage Plan - D07-12-22-0004
Existing Conditions2022-01-31 - Existing Conditions and Removals Plan - D07-12-22-0004
Floor Plan2022-11-28 - Ground Floor Plan -D07-12-22-0004
Floor Plan2022-11-28 - 7th-25th floor plans - D07-12-22-0004
Floor Plan2022-11-28 - 6th floor plans - D07-12-22-0004
Geotechnical Report2022-11-28 - Geotechnical Investigation - D07-12-22-0004
Geotechnical Report2022-01-13 - Geotechnical - D07-12-22-0004
Landscape Plan2023-09-08 - Approved Landscape Plan and Details - D07-12-22-0004
Landscape Plan2023-06-13 - Landscape Plan - D07-12-22-0004
Landscape Plan2023-06-13 - Landscape Notes - D07-12-22-0004
Landscape Plan2023-06-13 - Landscape Details 2 - D07-12-22-0004
Landscape Plan2023-06-13 - Landscape Details 1 - D07-12-22-0004
Landscape Plan2022-11-28 - Landscape Plan - D07-12-22-0004
Landscape Plan2022-11-28 - Landscape Notes - D07-12-22-0004
Landscape Plan2022-11-28 - Landscape Details Plan - D07-12-22-0004 (2)
Landscape Plan2022-11-28 - Landscape Details Plan - D07-12-22-0004
Landscape Plan2022-01-31 - Landscape - D07-12-22-0004
Noise Study2022-01-13 - Transportation Noise - D07-12-22-0004
Planning2022-01-13 - Planning Rationale - D07-12-22-0004
Rendering2022-01-31 - Rendering Landscape - D07-12-22-0004
Site Servicing2023-09-08 - Approved Site Servicing & Grading Plan - D07-12-22-0004
Site Servicing2023-04-24 - SITE SERVICING AND STORMWATER MANAGEMENT REPORT - D07-12-22-0004 (2)
Site Servicing2023-04-24 - Site Servicing and Stormwater Management Report - D07-12-22-0004
Site Servicing2023-04-24 - Site Servicing & Grading Plan - D07-12-22-0004
Site Servicing2023-03-10 - Site Servicing & Stormwater Management Report - D07-12-22-0004
Site Servicing2023-03-10 - Site Servicing & Grading Plan - D07-12-22-0004 (2)
Site Servicing2023-03-10 - Site Servicing & Grading Plan - D07-12-22-0004
Site Servicing2022-11-28 - Site Servicing & Stormwater Management Report - D07-12-22-0004
Site Servicing2022-11-28 - Site Servicing & Grading Plan - D07-12-22-0004 (2)
Site Servicing2022-11-28 - Site Servicing & Grading Plan - D07-12-22-0004
Site Servicing2022-01-31 - Site Servicing and Stormwater - D07-12-22-0004
Site Servicing2022-01-31 - Site Servicing and Grading Plan (2) - D07-12-22-0004
Site Servicing2022-01-31 - Site Servicing and Grading Plan - D07-12-22-0004
Stormwater Management2023-09-08 - Approved Storm Drainage Plan - D07-12-22-0004
Stormwater Management2023-04-24 - Storm Drainage Plan - D07-12-22-0004
Stormwater Management2023-03-10 - Storm Drainage Plan - D07-12-22-0004
Stormwater Management2023-03-10 - Serving & Stormwater Management Declaration - D07-12-22-0004
Stormwater Management2022-11-28 - Storm Drainage Plan D07-12-22-0004
Stormwater Management2022-11-28 - Storm Drainage Plan - D07-12-22-0004
Stormwater Management2022-01-31 - Storm Drainage Plan - D07-12-22-0004
Surveying2022-01-13 - Topographic - D07-12-22-0004
Tree Information and Conservation2023-06-13 - Proposed Development and Tree Preservation Plan - D07-12-22-0004
Tree Information and Conservation2022-11-28 - Development & Tree Preservation Plan - D07-12-22-0004
Wind Study2022-01-13 - Wind Study - D07-12-22-0004
2023-09-08 - Signed Delegated Authority Report - D07-12-22-0004
2023-03-10 - Roof Drain Control Letter - D07-12-22-0004
2022-11-28 - Confederation Line LRT Proximity Study - D07-12-22-0004
2022-11-28 - Accessible Units - D07-12-22-0004
2022-01-13 - Solar Study - D07-12-22-0004