Ottawa Development Projects

1200 Canadian Shield/150 Kanata#

Last updated: 2025-09-11 · ID: D07-12-21-0153

Summary#

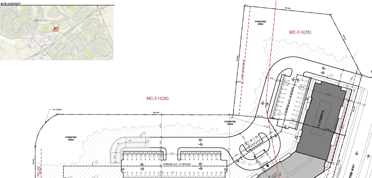
To develop the site for a 7 and 9 story rental apartment building with 351 units, 864 m2 of retail space and 375 underground parking spaces, 70 surface parking spaces and 175 bicycle parking spaces. There will also be amenity space for residents of the building including a gymnasium, a dining room for guests, an indoor pool, lounge, billiards room, resident kitchen, and a golf simulator

Status
Post Approval (Agreement Package Received from Owner)

Building Scale (Max.) Based on elevation drawings. Values may be approximate. See sources for exact figures.
High-rise · 12 storeys · 36.44 m Data Quality Note Text was extracted using optical character recognition. This may introduce artifacts or misreads.

Renders#

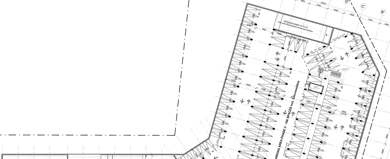
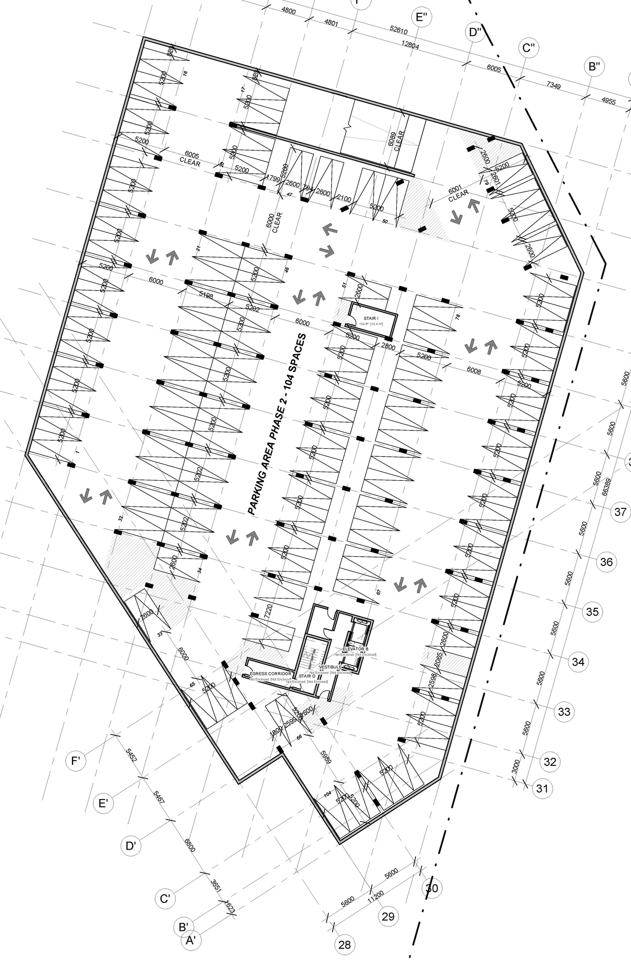
Site Plans, Elevations and Floor Plans#

Additional Information#

Date Initiated2021-09-28
WardWard 4 - Cathy Curry

Documents#

TypeDocument
Application Summary2021-11-12 - Application Summary - D07-12-21-0153
Architectural Plans2024-02-09 - Approved Phase 1 & 2 - Site Plans - D07-12-21-0153
Architectural Plans2024-02-09 - Approved Elevations - D07-12-21-0153
Architectural Plans2023-06-29 - Site Plan Phase 1 and 2 - D07-12-21-0153
Architectural Plans2023-03-14 - West Building Elevations - D07-12-21-0153
Architectural Plans2023-03-14 - Underground Parking Plan Phase 2 - D07-12-21-0153
Architectural Plans2023-03-14 - Underground Parking Plan Phase 1 - D07-12-21-0153
Architectural Plans2023-03-14 - Site Plan Phase 1 - D07-12-21-0153
Architectural Plans2023-03-14 - Site Plan - D07-12-21-0153
Architectural Plans2023-03-14 - Phase 2 Elevations Plan - D07-12-21-0153
Architectural Plans2023-03-14 - Logistics and Traffic Control Plan - D07-12-21-0153
Architectural Plans2022-07-14 - Site Plan - D07-12-21-0153
Architectural Plans2022-07-14 - Elevations - D07-12-21-0153
Architectural Plans2022-07-11 - Building Sections Plan - D07-12-21-0153
Architectural Plans2022-03-25 - Architectural - D07-12-21-0153
Architectural Plans2021-09-28 - West Elevation - D07-12-21-0153
Architectural Plans2021-09-28 - Underground Parking Plan Level 2 - D07-12-21-0153
Architectural Plans2021-09-28 - Underground Parking Plan Level 1 - D07-12-21-0153
Architectural Plans2021-09-28 - Site Plan - D07-12-21-0153
Architectural Plans2021-09-28 - Rooftop Plan - D07-12-21-0153
Architectural Plans2021-09-28 - Elevations Middle Section - D07-12-21-0153
Architectural Plans2021-09-28 - Elevations East Wing - D07-12-21-0153
Architectural Plans2021-09-28 - 4R Plan - D07-12-21-0153
Civil Engineering Report2024-02-09 - Approved Civil Drawings - D07-12-21-0153
Civil Engineering Report2023-06-29 - Civil Drawings - D07-12-21-0153
Civil Engineering Report2023-03 -20 - Civil Engineering Drawings - D07-12-21-0153
Civil Engineering Report2022-07-14 - Civil Drawings - D07-12-21-0153
Civil Engineering Report2022-03-25 - Civil Engineering Drawings - D07-12-21-0153
Civil Engineering Report2021-09-28 - Civil Engimeering Plans - D07-12-21-0153
Design Brief2021-09-28 - Design Brief - D07-12-21-0153
Environmental2021-09-28 - Phase 1 Environmental Site Assessment - D07-12-21-0153
Floor Plan2023-03-14 - Ground Floor Plan Phase 1 - D07-12-21-0153
Floor Plan2022-07-14 - Parking & Ground Floor Plan - D07-12-21-0153
Floor Plan2021-09-28 - Ground Floor Plan - D07-12-21-0153
Floor Plan2021-09-28 - Floor Plan Levels 8-9 - D07-12-21-0153
Floor Plan2021-09-28 - Floor Plan Levels 4-7 - D07-12-21-0153
Floor Plan2021-09-28 - Floor Plan Levels 2-3 - D07-12-21-0153
Floor Plan2021-09-28 - Floor Plan Levels 10-11 - D07-12-21-0153
Geotechnical Report2023-06-29 - Geotechnical Investigation Slope Stability Analysis - D07-12-21-0153
Geotechnical Report2023-06-29 - Geotechnical Investigation - D07-12-21-0153
Geotechnical Report2023-03-14 - Geotechnical Investigation - D07-12-21-0153
Geotechnical Report2023-03-14 - Geotechnical Investigation Slope Stability Analysis - D07-12-21-0153
Geotechnical Report2022-07-11 - Geotechnical Investigation Report - D07-12-21-0153
Geotechnical Report2021-09-28 - Geotechnical Investigation - D07-12-21-0153
Landscape Plan2024-02-09 - Approved Landscape Plan Phase 1 & 2 - D07-12-21-0153
Landscape Plan2023-06-29 - Landscape Plan - D07-12-21-0153
Landscape Plan2023-03-14 - Landscape Plan Phase 2 - D07-12-21-0153
Landscape Plan2023-03-14 - Landscape Plan Phase 1 - D07-12-21-0153
Landscape Plan2022-07-14 - Landscape Plan - D07-12-21-0153
Landscape Plan2022-07-11 - Landscape Details Plan - D07-12-21-0153
Landscape Plan2022-03-25 - Landscape Plan - D07-12-21-0153
Landscape Plan2021-09-28 - Landscape Plan - D07-12-21-0153
Noise Study2021-09-28 - Noise Impact Study - D07-12-21-0153
Planning2021-09-28 - Planning Rationale - D07-12-21-0153
Rendering2022-07-11 - Renderings - D07-12-21-0153
Rendering2021-09-28 - View of West Building Rendering - D07-12-21-0153
Rendering2021-09-28 - View of West Building and Pedestrian Area Rendering - D07-12-21-0153
Rendering2021-09-28 - View of the East Building Rendering - D07-12-21-0153
Rendering2021-09-28 - View of Main Entrance Rendering - D07-12-21-0153
Rendering2021-09-28 - View of Main Entrance Central Rendering - D07-12-21-0153
Rendering2021-09-28 - View of Drop Off Area Rendering - D07-12-21-0153
Rendering2021-09-28 - View of Building from Kanata Avenue and Pedestrian Area Rendering - D07-12-21-0153
Rendering2021-09-28 - Rear Entry and Parking Rendering - D07-12-21-0153
Shadow Study2022-03-25 - Shadow Study - D07-12-21-0153
Stormwater Management2023-03 -20 - Stormwater Management and Serviceability Report - D07-12-21-0153
Stormwater Management2022-07-14 - Stormwater Management and Serviceability Report - D07-12-21-0153
Stormwater Management2022-04-04 - Stormwater Management and Serviceability Report - D07-12-21-0153
Stormwater Management2021-09-28 - Stormwater Management Report - D07-12-21-0153
Surveying2022-03-25 - Topographic Survey Plan - D07-12-21-0153
Surveying2021-09-28 - Topographic Survey Plan - D07-12-21-0153
Tree Information and Conservation2022-04-06 - Tree Conservation Report - D07-12-21-0153
Tree Information and Conservation2021-09-28 - City Environmental Impact Statement and Tree Coservation Report - D07-12-21-0153
2024-02-09 - Signed Delegated Authority Report - D07-12-21-0153
2023-06-29 - Limit Letter from Structural Engineer - D07-12-21-0153
2023-03-14 - Ground Floor Phase 1 and Phase 2 Plan - D07-12-21-0153
2023-03-14 - Excavation Limits Memo - D07-12-21-0153
2022-07-11 - Memo SAR bats Assessment - D07-12-21-0153
2022-07-11 - Butternut Health Assessment Report - D07-12-21-0153
2022-07-11 - Building Flow Contol Roof Drainage Declaration - D07-12-21-0153
2022-04-06 - Excavation Report Letter - D07-12-21-0153
2021-09-28 - Sketch Extent of Lands - D07-12-21-0153
2021-09-28 - Scoping Report - D07-12-21-0153