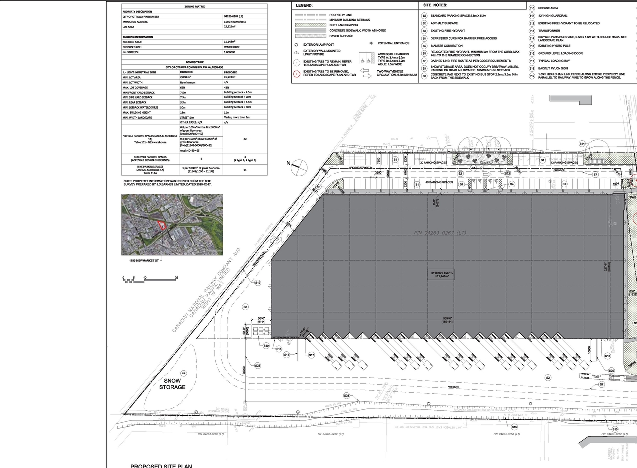
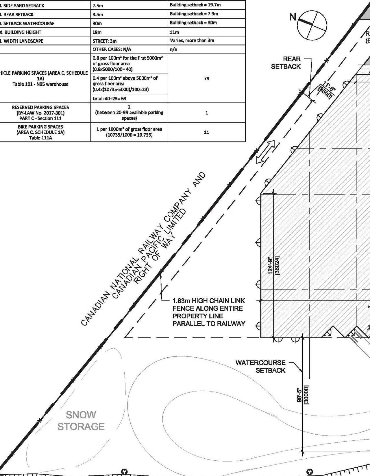
1195 Newmarket St.#
Last updated: 2021-08-25 · ID: D07-12-21-0114
Summary#
Proposed one-storey warehouse
Status
Active (On Circulation; Initial Submission Review)
Building Scale (Max.)
Based on elevation drawings. Values may be approximate. See sources for exact figures.
Low-rise · 1 storey
Data Quality Note
Text was extracted using optical character recognition. This may introduce artifacts or misreads.
Renders#
Location#
Select a marker to view the address.
Site Plans, Elevations and Floor Plans#
Additional Information#
| Date Initiated | 2021-07-29 |
| Ward | Ward 18 - Marty Carr |




















