319 Huntmar Dr.#
Last updated: 2021-07-28 · ID: D07-12-21-0062
Summary#
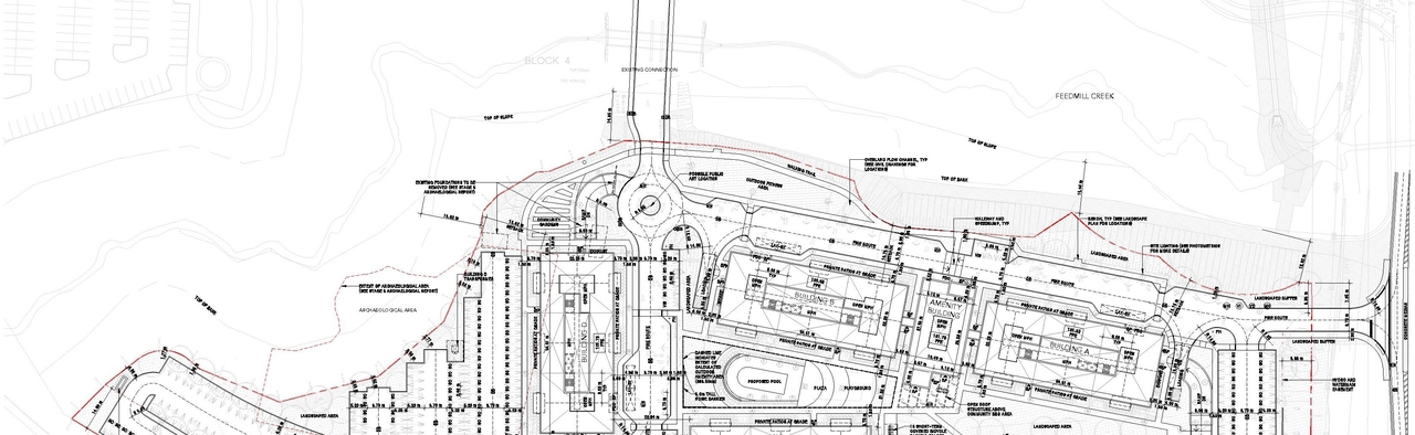
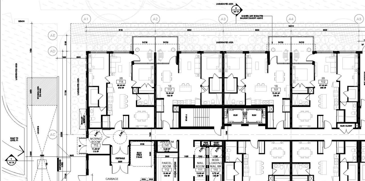
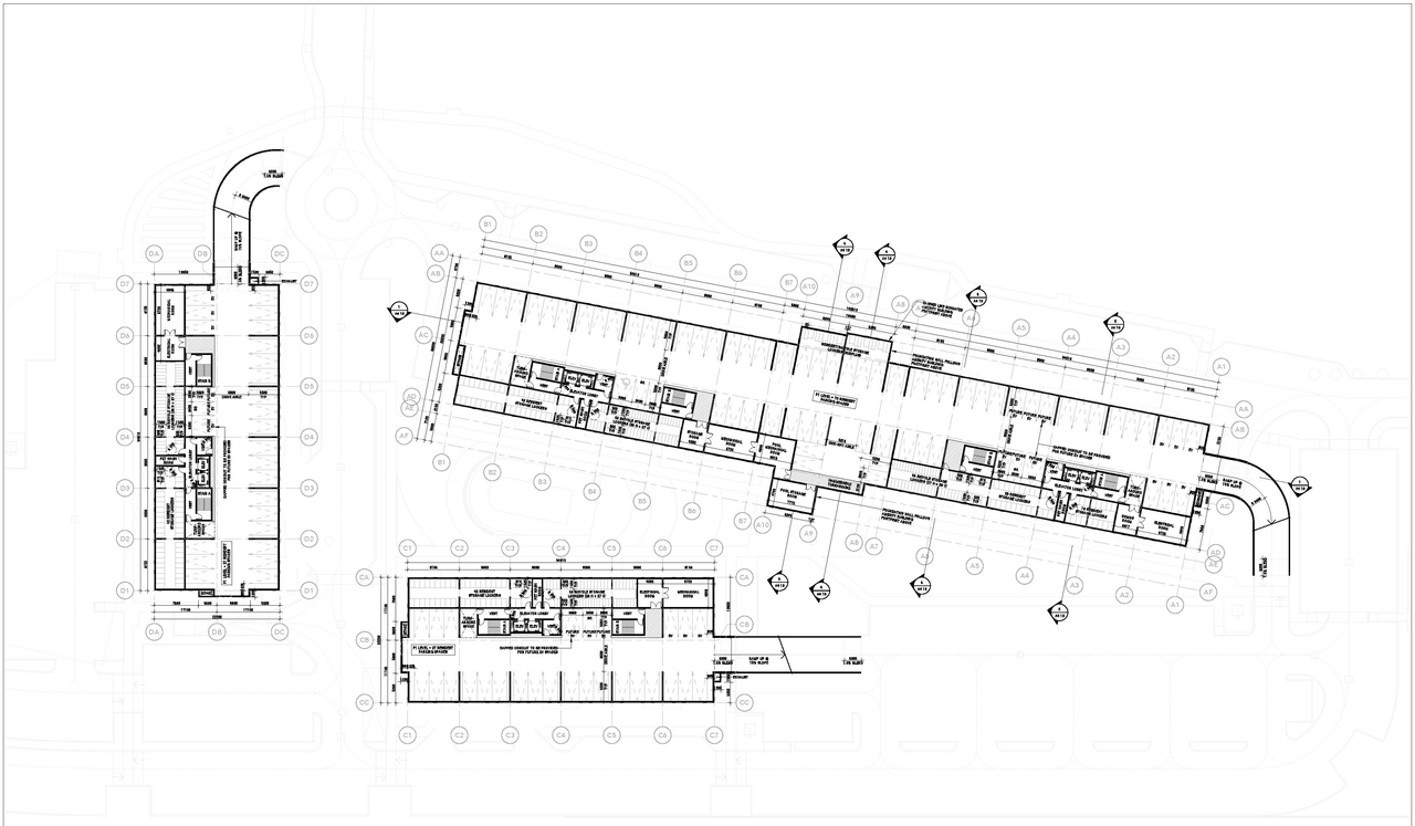
Construction of four, nine-storey mid-rise apartment buildings, each with 106 units, for a total of 424 units and an amenity building for the use of the residents. The remainder of the site is to be developed with a balance of amenity areas, as well as surface parking and drive aisles. One level of underground parking is proposed under each of the apartment and amenity building.
Status
File Pending (Application File Pending)
Building Scale (Max.)
Based on elevation drawings. Values may be approximate. See sources for exact figures.
Mid-rise · 9 storeys
· 31 m
Renders#
Location#
Select a marker to view the address.
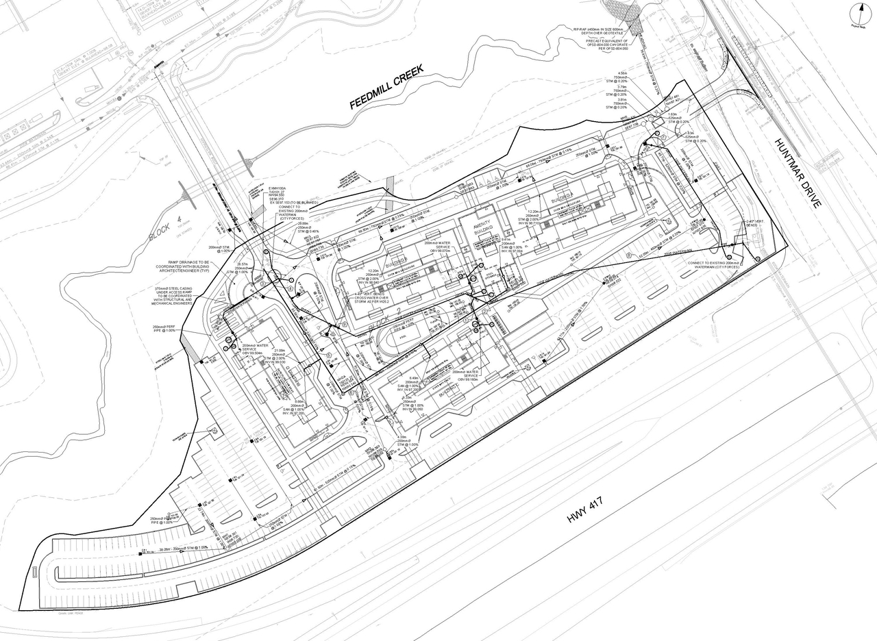
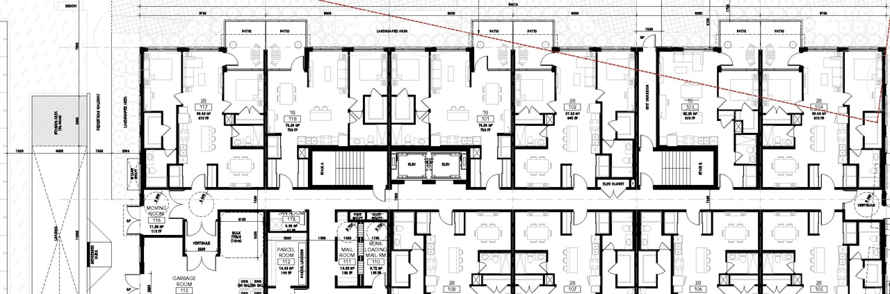
Site Plans, Elevations and Floor Plans#
Additional Information#
| Date Initiated | 2021-05-18 |
| Ward | Ward 4 - Cathy Curry |
Documents#
Related Projects#
| Project | Last Updated | Date Initiated |
|---|---|---|
319-333 Huntmar Dr.
D07-12-14-0200 | 2024-10-19 | 2014-12-23 |





























