101-103 Schneider Rd.#
Last updated: 2022-09-22 · ID: D07-12-21-0044
Summary#
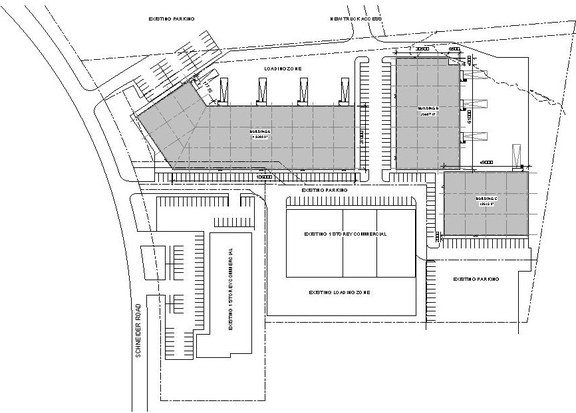
The development is to add three industrial buildings with a total of 94,332 SF. Building A is one storey / 49,275 SF, Building B is one storey / 25,599 SF. Building C is two storeys, with an office use on the second floor / 19,458 SF. A truck delivery loading zone is added at the rear yard of each industrial building.
Status
Post Approval (Agreement Registered - Final Legal Clearance Given)
Building Scale (Max.)
Based on elevation drawings. Values may be approximate. See sources for exact figures.
Low-rise · 1 storey
· 9.89 m
Renders#
Location#
Select a marker to view the address.
Site Plans, Elevations and Floor Plans#
Additional Information#
| Date Initiated | 2021-04-07 |
| Ward | Ward 4 - Cathy Curry |
| All Addresses | 101 Schneider Rd. 103 Schneider Rd. |




