723 Putney Cres.#
Last updated: 2025-10-15 · ID: D07-12-21-0022
Summary#
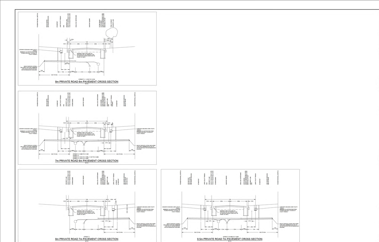
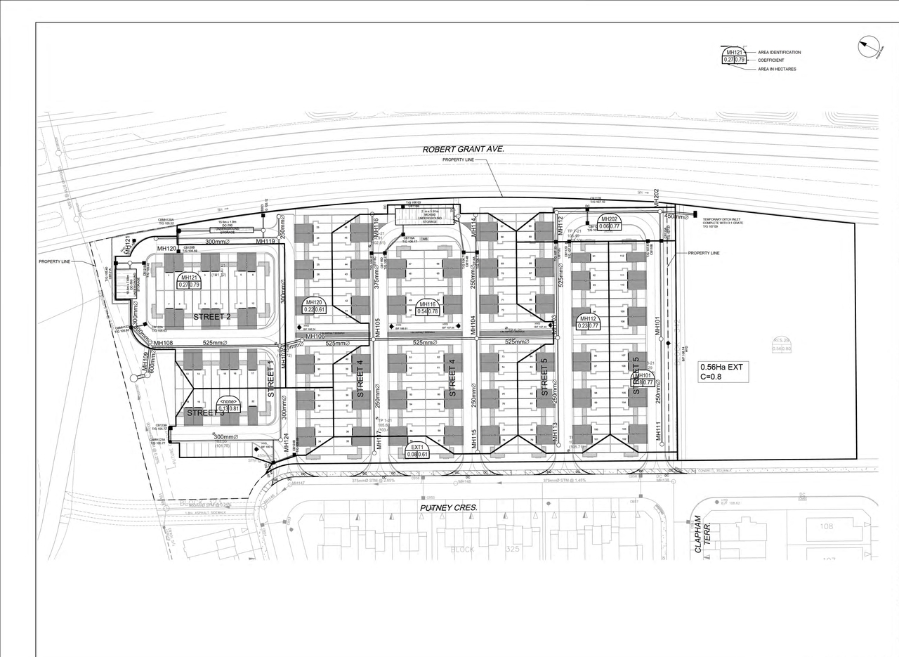
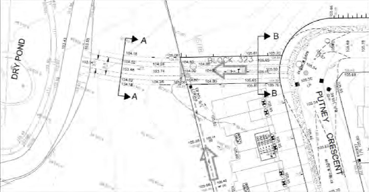
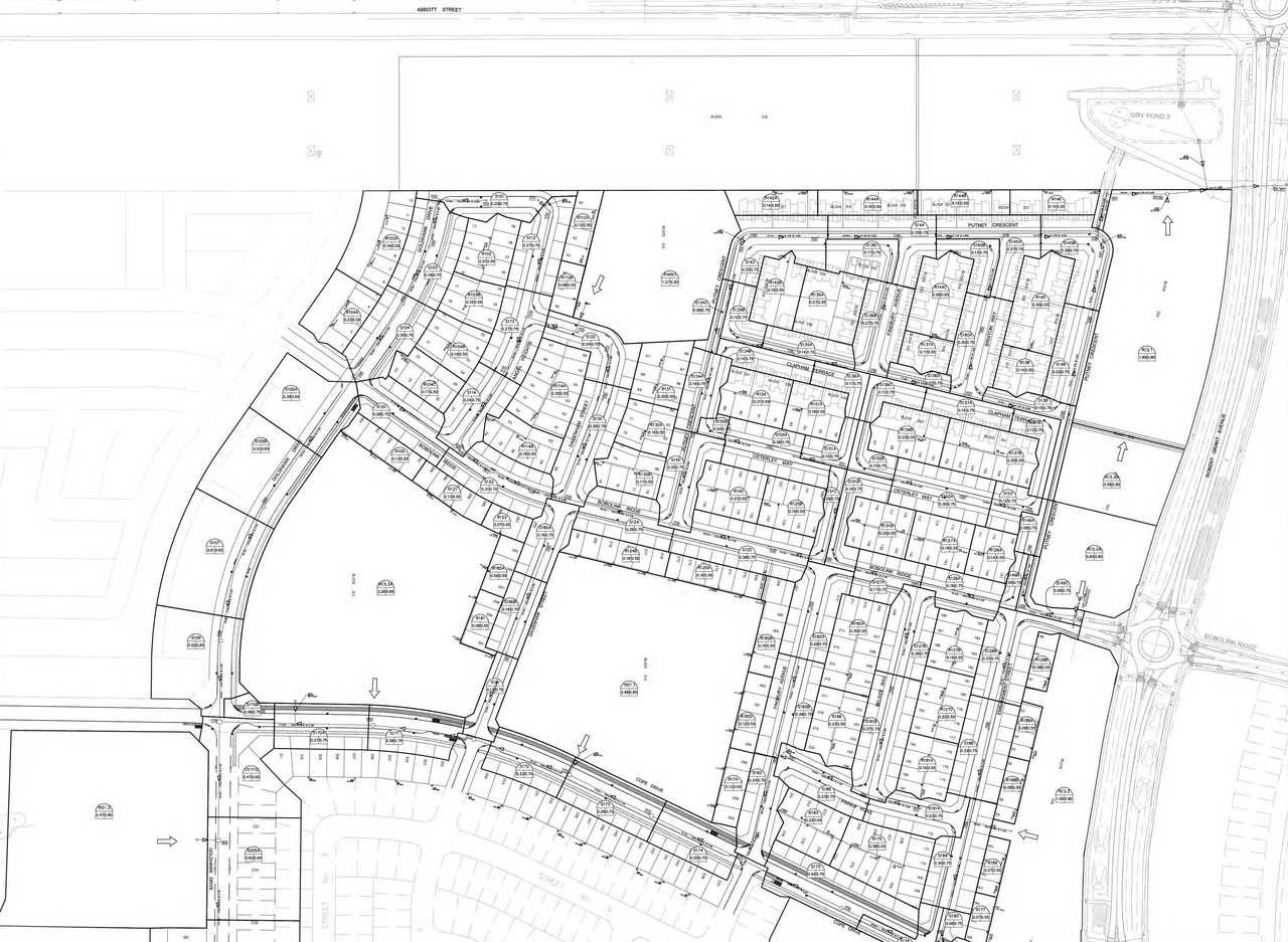
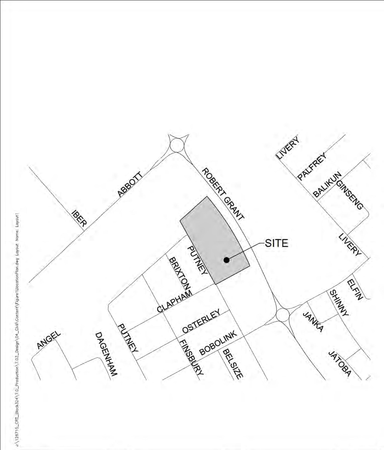
The City of Ottawa has received a Site Plan Control application for the property at 723 Putney Crescent (Block 324, Plan 4M-1619) located in Phase 1 of CRT Developments Inc.s Westwood subdivision, to permit the construction of a Planned Unit Development of 10 blocks containing a total of 112 back-to-back townhomes.
Status
File Pending (Application File Pending)
Location#
Select a marker to view the address.
Site Plans, Elevations and Floor Plans#
Additional Information#
| Date Initiated | 2021-02-22 |
| Ward | Ward 6 - Glen Gower |
Documents#
| Type | Document |
|---|---|
| Application Summary | 2021-03-02 - Application Summary - D07-12-21-0022 |
| Architectural Plans | 2021-08-20 - Site Plan - D07-12-21-0022 |
| Architectural Plans | 2021-08-20 - Plan Block 324 - D07-12-21-0022 |
| Architectural Plans | 2021-02-22 - Site Plan - D07-12-21-0022 |
| Architectural Plans | 2021-02-22 - Plan 4M-1619 - D07-12-21-0022 |
| Architectural Plans | 2021-02-22 - Foundation and Elevation Plan - D07-12-21-0022 |
| Design Brief | 2021-08-20 - Design Brief - D07-12-21-0022 |
| Design Brief | 2021-02-22 - Design Brief - D07-12-21-0022 |
| Geotechnical Report | 2021-08-20 - Grading Plan Review - D07-12-21-0022 |
| Geotechnical Report | 2021-02-22 - Geotechnical Investigation - D07-12-21-0022 |
| Landscape Plan | 2021-08-20 - Landscape Plan - D07-12-21-0022 |
| Landscape Plan | 2021-02-22 - Landscape Plan - D07-12-21-0022 |
| Noise Study | 2021-02-22 - Noise Impact Assessment - D07-12-21-0022 |
| Planning | 2021-02-22 - Planning Rationale - D07-12-21-0022 |
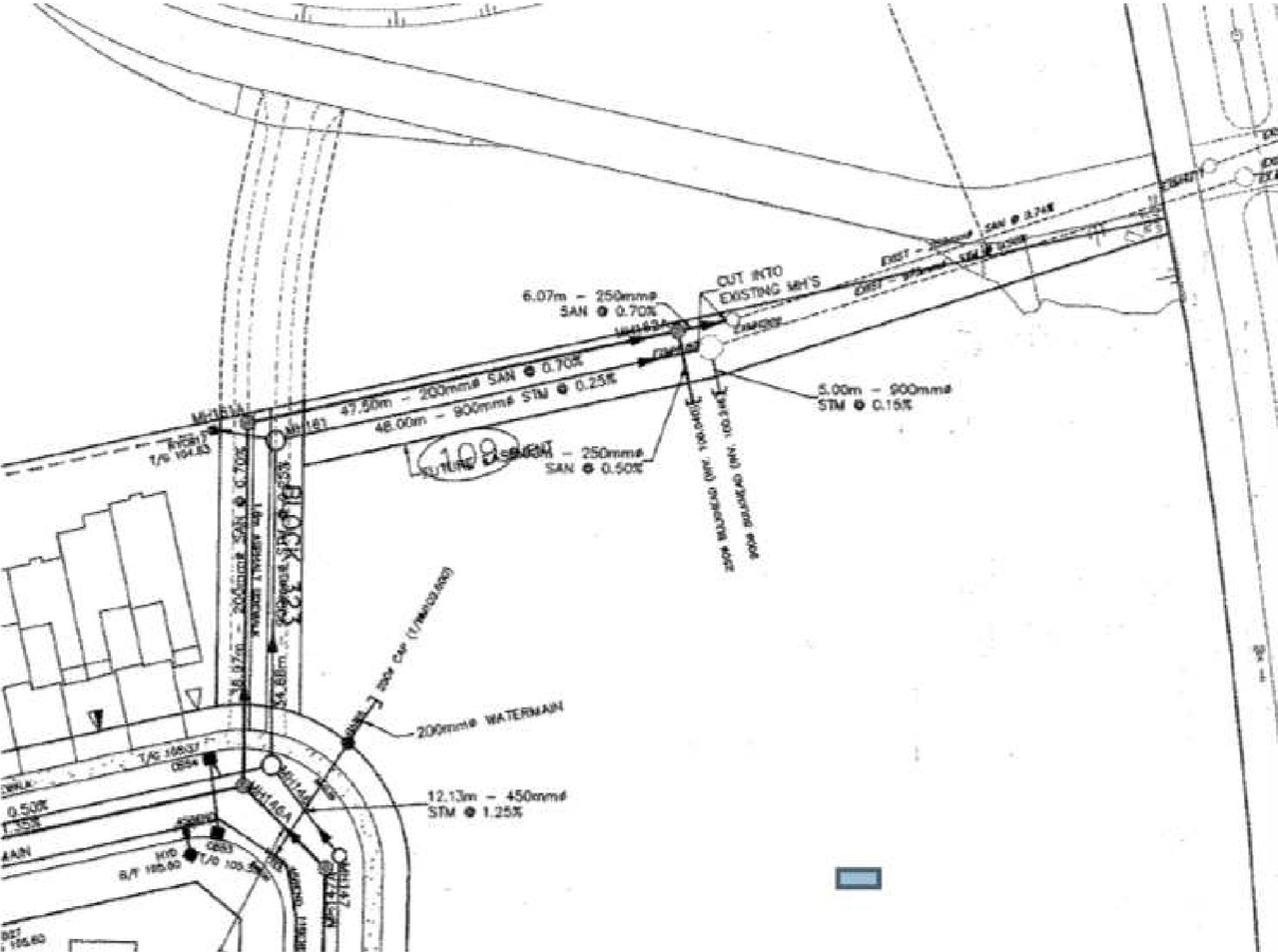
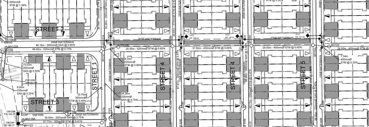
| 2021-02-22 - Engineering Drawings - D07-12-21-0022 |














