3199 Palladium Dr./8700 Campeau Dr.#
Last updated: 2022-02-15 · ID: D07-12-19-0122
Summary#
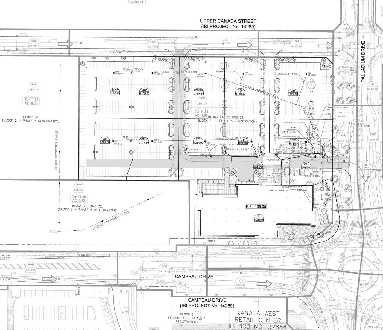
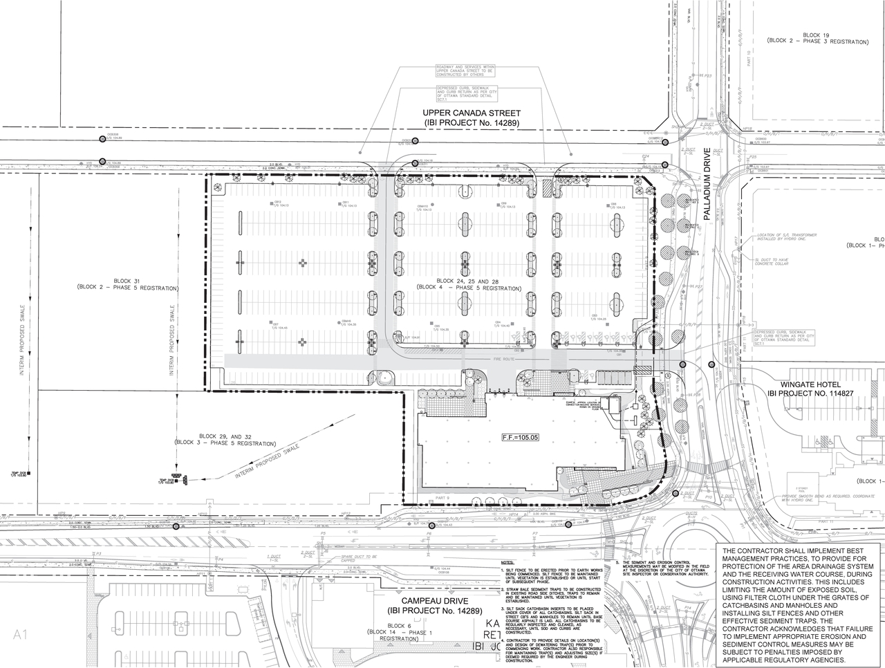
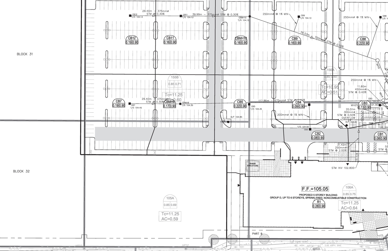
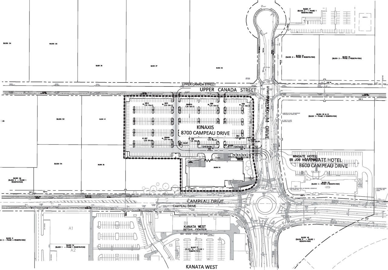
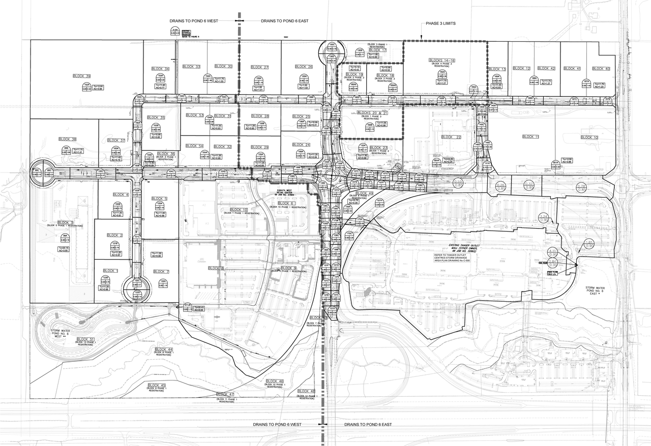
The City of Ottawa has received a Site Plan Control application to permit the development of a five-storey office building and associated surface parking lot with approximately 15,085 square metres of office space and 540 parking spaces within the Kanata West West Business Park.
Status
Post Approval (Agreement Registered - Final Legal Clearance Given)
Building Scale (Max.)
Based on elevation drawings. Values may be approximate. See sources for exact figures.
Mid-rise · 5 storeys
· 25 m
Renders#
Location#
Select a marker to view the address.
Site Plans, Elevations and Floor Plans#
Additional Information#
| Date Initiated | 2019-07-11 |
| Ward | Ward 4 - Cathy Curry |


















