298 Axis Way#
Last updated: 2026-02-27 · ID: D02-02-24-0077
Summary#
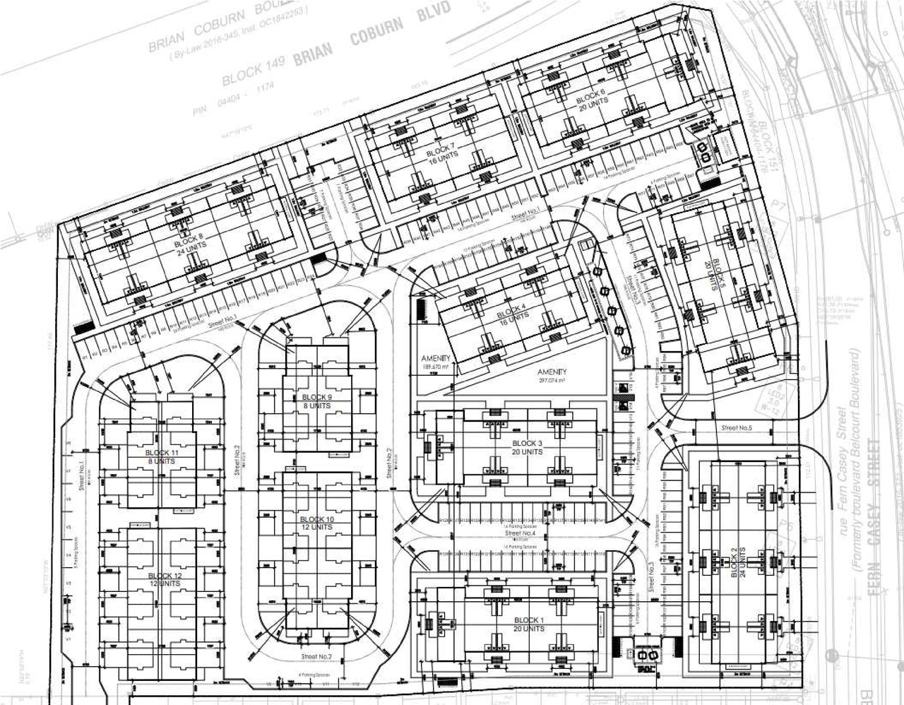
The City of Ottawa has received a Zoning By-law Amendment application to rezone the site from “Development Reserve” (DR) to “Residential Fifth Density, Subzone E with an exception and a maximum building height of 13.5 metres” (R5E[XXXX] H (13.5)) to permit a planned unit development with associated parking and amenity area.
Status
File Pending (Application File Pending)
Building Scale (Max.)
Based on elevation drawings. Values may be approximate. See sources for exact figures.
Low-rise · 3 storeys
· 12.1 m
Data Quality Note
Height was partially estimated using visual scale. This may be approximate.
Renders#
Location#
Select a marker to view the address.
Site Plans, Elevations and Floor Plans#
Additional Information#
| Date Initiated | 2024-12-10 |
| Ward | Ward 19 - Catherine Kitts |









