Ottawa Development Projects

245-275 Lamarche Ave.#

Last updated: 2025-07-12 · ID: D02-02-24-0049

Summary#

Standard condominium comprises of amenity area, private ROW, and 476 stacked units

Status
Inactive (Zoning By-law in Effect)

Building Scale (Max.) Based on elevation drawings. Values may be approximate. See sources for exact figures.
Low-rise · 3 storeys · 10.3 m Data Quality Note Height was partially estimated using visual scale. This may be approximate.

Renders#

Location#

Select a marker to view the address.

Site Plans, Elevations and Floor Plans#

  • Image from page 137 of the file '2024-09-10 - Design Brief - D02-02-24-0049'
  • Image from page 138 of the file '2024-09-10 - Design Brief - D02-02-24-0049'
  • Image from page 37 of the file '2024-11-15 - Urban Design Brief Planning Rationale - D02-02-24-0049'
  • Image from page 139 of the file '2024-09-10 - Design Brief - D02-02-24-0049'
  • Image from page 138 of the file '2024-09-10 - Design Brief - D02-02-24-0049'
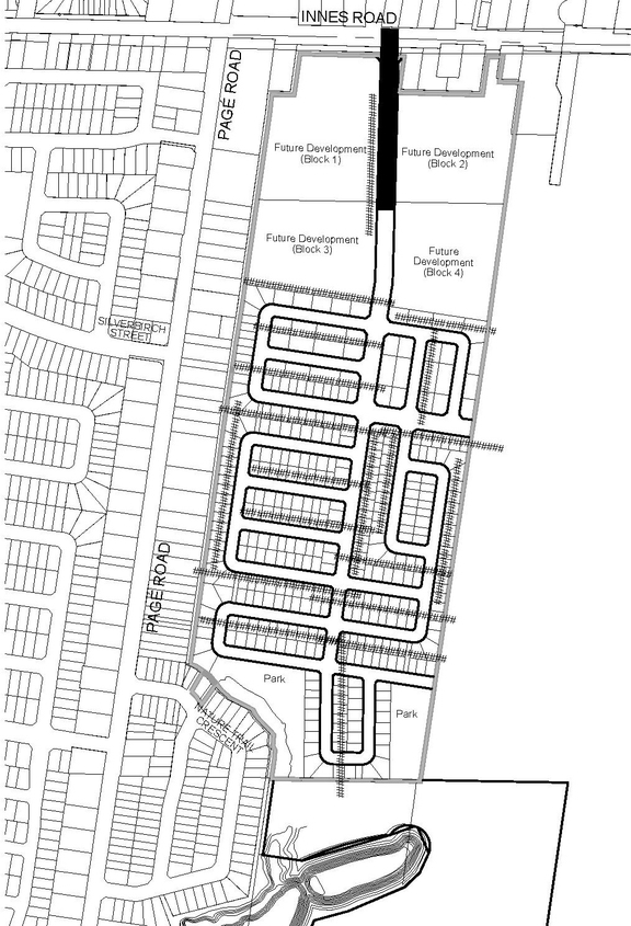
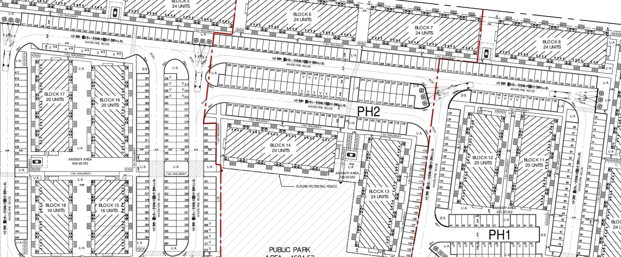
  • Construction site plan for project from page 24 of the file '2025-04-07 - Design Brief Sub2 - D02-02-24-0049'
  • Construction site plan for project from page 23 of the file '2024-09-10 - Design Brief - D02-02-24-0049'
  • Construction site plan for project from page 17 of the file '2025-04-07 - Urban Design Brief - D02-02-24-0049'
  • Construction site plan for project from page 35 of the file '2024-11-15 - Urban Design Brief Planning Rationale - D02-02-24-0049'
  • Construction site plan for project from page 32 of the file '2024-11-15 - Urban Design Brief Planning Rationale - D02-02-24-0049'
  • Construction site plan for project from page 32 of the file '2025-04-07 - Urban Design Brief - D02-02-24-0049'
  • Construction site plan for project from page 13 of the file '2024-11-15 - Urban Design Brief Planning Rationale - D02-02-24-0049'
  • Construction site plan for project from page 41 of the file '2025-04-07 - Urban Design Brief - D02-02-24-0049'
  • Construction site plan for project from page 21 of the file '2024-09-10 - Design Brief - D02-02-24-0049'
  • Construction site plan for project from page 30 of the file '2024-09-10 - Design Brief - D02-02-24-0049'
  • Construction site plan for project from page 25 of the file '2024-09-10 - Design Brief - D02-02-24-0049'
  • Construction site plan for project from page 22 of the file '2024-09-10 - Design Brief - D02-02-24-0049'
  • Construction site plan for project from page 72 of the file '2024-09-10 - Design Brief - D02-02-24-0049'
  • Construction site plan for project from page 25 of the file '2024-11-15 - Urban Design Brief Planning Rationale - D02-02-24-0049'
  • Construction site plan for project from page 6 of the file '2024-11-15 - Urban Design Brief Planning Rationale - D02-02-24-0049'
  • Construction site plan for project from page 10 of the file '2024-11-15 - Urban Design Brief Planning Rationale - D02-02-24-0049'
  • Construction site plan for project from page 21 of the file '2024-12-17 - Design Brief - D02-02-24-0049'
  • Construction site plan for project from page 21 of the file '2024-09-10 - Design Brief - D02-02-24-0049'
  • Construction site plan for project from page 36 of the file '2024-11-15 - Urban Design Brief Planning Rationale - D02-02-24-0049'
  • Construction site plan for project from page 36 of the file '2024-11-15 - Urban Design Brief Planning Rationale - D02-02-24-0049'
  • Construction site plan for project from page 2 of the file '2024-11-15 - Urban Design Brief Planning Rationale - D02-02-24-0049'
  • Image from page 137 of the file '2024-09-10 - Design Brief - D02-02-24-0049'
  • Image from page 138 of the file '2024-09-10 - Design Brief - D02-02-24-0049'
  • Image from page 37 of the file '2024-11-15 - Urban Design Brief Planning Rationale - D02-02-24-0049'
  • Image from page 139 of the file '2024-09-10 - Design Brief - D02-02-24-0049'
  • Image from page 138 of the file '2024-09-10 - Design Brief - D02-02-24-0049'
  • Construction site plan for project from page 24 of the file '2025-04-07 - Design Brief Sub2 - D02-02-24-0049'
  • Construction site plan for project from page 23 of the file '2024-09-10 - Design Brief - D02-02-24-0049'
  • Construction site plan for project from page 17 of the file '2025-04-07 - Urban Design Brief - D02-02-24-0049'
  • Construction site plan for project from page 35 of the file '2024-11-15 - Urban Design Brief Planning Rationale - D02-02-24-0049'
  • Construction site plan for project from page 32 of the file '2024-11-15 - Urban Design Brief Planning Rationale - D02-02-24-0049'
  • Construction site plan for project from page 32 of the file '2025-04-07 - Urban Design Brief - D02-02-24-0049'
  • Construction site plan for project from page 13 of the file '2024-11-15 - Urban Design Brief Planning Rationale - D02-02-24-0049'
  • Construction site plan for project from page 41 of the file '2025-04-07 - Urban Design Brief - D02-02-24-0049'
  • Construction site plan for project from page 21 of the file '2024-09-10 - Design Brief - D02-02-24-0049'
  • Construction site plan for project from page 30 of the file '2024-09-10 - Design Brief - D02-02-24-0049'
  • Construction site plan for project from page 25 of the file '2024-09-10 - Design Brief - D02-02-24-0049'
  • Construction site plan for project from page 22 of the file '2024-09-10 - Design Brief - D02-02-24-0049'
  • Construction site plan for project from page 72 of the file '2024-09-10 - Design Brief - D02-02-24-0049'
  • Construction site plan for project from page 25 of the file '2024-11-15 - Urban Design Brief Planning Rationale - D02-02-24-0049'
  • Construction site plan for project from page 6 of the file '2024-11-15 - Urban Design Brief Planning Rationale - D02-02-24-0049'
  • Construction site plan for project from page 10 of the file '2024-11-15 - Urban Design Brief Planning Rationale - D02-02-24-0049'
  • Construction site plan for project from page 21 of the file '2024-12-17 - Design Brief - D02-02-24-0049'
  • Construction site plan for project from page 21 of the file '2024-09-10 - Design Brief - D02-02-24-0049'
  • Construction site plan for project from page 36 of the file '2024-11-15 - Urban Design Brief Planning Rationale - D02-02-24-0049'
  • Construction site plan for project from page 36 of the file '2024-11-15 - Urban Design Brief Planning Rationale - D02-02-24-0049'
  • Construction site plan for project from page 2 of the file '2024-11-15 - Urban Design Brief Planning Rationale - D02-02-24-0049'

Additional Information#

Date Initiated2024-09-06
WardWard 19 - Catherine Kitts
All Addresses245 Lamarche Ave.
275 Lamarche Ave.

Documents#

TypeDocument
Application Summary2025-01-07 - Application Summary - D02-02-24-0049
Architectural Plans2024-09-23 - FACILITY FIT PLAN - D02-02-24-0049
Architectural Plans2024-09-10 - Site Plan - D02-02-24-0049
Architectural Plans2024-09-10 - SANITARY DRAINAGE PLAN - D02-02-24-0049
Architectural Plans2024-09-10 - Private Street Plan - D02-02-24-0049 (5)
Architectural Plans2024-09-10 - Private Street Plan - D02-02-24-0049 (4)
Architectural Plans2024-09-10 - Private Street Plan - D02-02-24-0049 (3)
Architectural Plans2024-09-10 - Private Street Plan - D02-02-24-0049 (2)
Architectural Plans2024-09-10 - Private Street Plan - D02-02-24-0049
Architectural Plans2024-09-10 - PONDING PLAN - D02-02-24-0049
Architectural Plans2024-09-10 - Plan - Private Street - D02-02-24-0049
Architectural Plans2024-09-10 - GENERAL PLAN - D02-02-24-0049 (2)
Architectural Plans2024-09-10 - GENERAL PLAN - D02-02-24-0049
Architectural Plans2024-09-10 - Elevation A - D02-02-24-0049
Architectural Plans2024-09-10 - Construction Management Plan - D02-02-24-0049
Architectural Plans2024-11-05 - Site Plan - D02-02-24-0049
Architectural Plans2024-11-01 - Elevations B - D02-02-24-0049
Architectural Plans2024-11-01 - Elevations A - D02-02-24-0049
Architectural Plans2024-09-10 - Construction Management Plan - D02-02-24-00491
Architectural Plans2024-08-30 - 25 EROSION AND SEDIMENT CONTROL PLAN STAGE 2 - D02-02-24-0049
Architectural Plans2024-08-30 - 24 EROSION AND SEDIMENT CONTROL PLAN STAGE 1 - D02-02-24-0049
Architectural Plans2024-08-30 - 23 PONDING PLAN - D02-02-24-0049
Architectural Plans2024-08-30 - 21 SANITARY DRAINAGE PLAN - D02-02-24-0049
Architectural Plans2024-08-30 - 19 GRADING PLAN - D02-02-24-0049
Architectural Plans2024-08-30 - 18 GRADING PLAN - D02-02-24-0049
Architectural Plans2024-08-30 - 05 GENERAL PLAN - D02-02-24-0049
Architectural Plans2025-04-07 -25 EROSION AND SEDIMENT CONTROL PLAN STAGE 2 - D07-12-24-0103
Architectural Plans2025-04-07 -24 EROSION AND SEDIMENT CONTROL PLAN STAGE 1 - D07-12-24-0103
Architectural Plans2025-04-07 -23 PONDING PLAN - D02-02-24-0049
Architectural Plans2025-04-07 -21 SANITARY DRAINAGE PLAN - D02-02-24-0049
Architectural Plans2025-04-07 -19 GRADING PLAN - D02-02-24-0049
Architectural Plans2025-04-07 -18 GRADING PLAN - D02-02-24-0049
Architectural Plans2025-04-07 - Site Plan - D02-02-24-0049
Architectural Plans2025-04-07 - 5 GENERAL PLAN - D02-02-24-0049
Architectural Plans2025-04-07 - 4 GENERAL PLAN - D02-02-24-0049
Design Brief2024-09-10 - Design Brief - D02-02-24-0049
Design Brief2024-12-17 - Design Brief - D02-02-24-0049
Design Brief2024-11-15 - Urban Design Brief Planning Rationale - D02-02-24-0049
Design Brief2025-04-07 - Urban Design Brief - D02-02-24-0049
Design Brief2025-04-07 - Design Brief Sub2 - D02-02-24-0049
Environmental2024-09-10 - Phase 1 Environmental Site Assessment Update Letter - D02-02-24-0049
Environmental2024-09-10 - Environmental Noise Assessment - D02-02-24-0049
Environmental2024-10-15 - Phase 1 Environmental Site Assessment Update - D02-02-24-0049
Environmental2024-09-10 - Environmental Noise Assessment - D02-02-24-00491
Environmental2025-04-07 - Environmental Noise - D02-02-24-0049
Erosion And Sediment Control Plan2024-09-10 - EROSION AND SEDIMENT CONTROL PLAN STAGE 2 - D02-02-24-0049
Erosion And Sediment Control Plan2024-09-10 - EROSION AND SEDIMENT CONTROL PLAN STAGE 1 - D02-02-24-0049
Geotechnical Report2024-09-10 - GRADING PLAN - D02-02-24-0049 (2)
Geotechnical Report2024-09-10 - GRADING PLAN - D02-02-24-0049
Geotechnical Report2024-09-10 - Geotechnical Investigation - D02-02-24-0049
Geotechnical Report2024-09-10 - Geotechnical Investigation - D02-02-24-00491
Landscape Plan2024-09-10 - Landscape Plan - D02-02-24-0049
Landscape Plan2024-12-17 - Landscape Plans - D02-02-24-0049
Landscape Plan2025-04-07 - Landscape Plan_2nd Submission - D02-02-24-0049
Planning2024-09-24 - ZONING CONFIRMATION REPORT - D02-02-24-0049
Planning2024-09-10 - Planning Rationale and Urban Design Brief - D02-02-24-0049
Planning2024-12-17 - Zoning Confirmation Report - D02-02-24-0049
Planning2025-04-07 - Zoning Confirmation Report - D02-02-24-0049
Site Servicing2024-09-10 - SERVICING Plan - D02-02-24-0049
Site Servicing2024-09-10 - SERVICING Plan - D02-02-24-0049
Site Servicing2024-09-10 - SERVICING Plan - D02-02-24-0049
Stormwater Management2024-09-10 - Storm Sewer Calculation Sheet - D02-02-24-0049
Stormwater Management2024-09-10 - STORM DRAINAGE PLAN - D02-02-24-0049
Stormwater Management2024-09-10 - Storm Sewer Calculation Sheet - D02-02-24-00491
Stormwater Management2024-08-30 - 22 STORM DRAINAGE PLAN - D02-02-24-0049
Stormwater Management2025-04-07 -22 STORM DRAINAGE PLAN - D02-02-24-0049
Surveying2024-09-10 - Survey Plan - 4M-1629 - D02-02-24-0049
Surveying2024-09-10 - Survey Plan - 4M1629 - D02-02-24-0049
Transportation Analysis2024-09-10 - Transportation Impact Assessment - D02-02-24-0049
Tree Information and Conservation2024-09-10 - Tree Conservation Report - D02-02-24-0049
Tree Information and Conservation2024-09-10 - Tree Conservation Report -D02-02-24-0049
Tree Information and Conservation2025-04-07 - Fit Plan Tree Canopy Projection REV 5 - D02-02-24-0049
2024-09-10 - TWSI DETAILS - D02-02-24-0049
2024-09-10 - TITLE PAGE - D02-02-24-0049
2024-09-10 - Sanitary Sewer Calculations Sheet - D02-02-24-0049
2024-09-10 - Private Street - D02-02-24-0049
2024-09-10 - OVPH4 Stormtech Chamber Specifications - D02-02-24-0049
2024-09-10 - OV Phase 4 Inlet Grate Calulation - D02-02-24-0049
2024-09-10 - Letter - Landfill Impact Assessment - D02-02-24-0049
2024-09-10 - LAMARCHE AVENUE - D02-02-24-0049
2024-09-10 - GENERAL NOTES - D02-02-24-0049
2024-09-10 - DETAILS AND TABLE - D02-02-24-0049
2024-09-10 - DETAILS - D02-02-24-0049
2024-09-10 - CROSS SECTIONS - D02-02-24-0049
2024-19-10 - Sanitary sewer Calulation sheet - D02-02-24-0049
2024-09-10 - OVPH4 Stormtech Chamber Specifications - D02-02-24-00491
2024-09-10 - OV Phase 4 Inlet Grate Calulation - D02-02-24-00491
2024-08-30 - TITLE PAGE - D02-02-24-0049
2024-08-30 - 20 CROSS SECTIONS - D02-02-24-0049
2024-08-30 - 17 LAMARCHE AVENUE - D02-02-24-0049
2024-08-30 - 16 SERVICING 3 - D02-02-24-0049
2024-08-30 - 15 SERVICING 2 - D02-02-24-0049
2024-08-30 - 14 SERVICING - D02-02-24-0049
2024-08-30 - 13 Private Street 5 - D02-02-24-0049
2024-08-30 - 12 Private Street 4 - D02-02-24-0049
2024-08-30 - 11 Private Street 3 - D02-02-24-0049
2024-08-30 - 10 Private Street 2 - D02-02-24-0049
2024-08-30 - 09 Private Street - D02-02-24-0049
2024-08-30 - 08 Private Street 1 - D02-02-24-0049
2024-08-30 - 07 Private Street 1 - D02-02-24-0049
2024-08-30 - 04 TWSI DETAILS - D02-02-24-0049
2024-08-30 - 03 DETAILS - D02-02-24-0049
2024-08-30 - 02 DETAILS AND TABLE - D02-02-24-0049
2024-08-30 - 01 GENERAL NOTES - D02-02-24-0049
2025-04-07 -20 CROSS SECTIONS - D02-02-24-0049
2025-04-07 - Fit Plan_REV 5 - D02-02-24-0049
2025-04-07 - 9 Private Street 2 - D02-02-24-0049
2025-04-07 - 8 Private Street 1 - D02-02-24-0049
2025-04-07 - 7 Private Street 1 - D02-02-24-0049
2025-04-07 - 6 Private Street 1 - D02-02-24-0049
2025-04-07 - 3 DETAILS - D02-02-24-0049
2025-04-07 - 2 DETAILS AND TABLE - D02-02-24-0049
2025-04-07 - 17 Servicing 3 - D02-02-24-0049
2025-04-07 - 16 Servicing 4 - D02-02-24-0049
2025-04-07 - 14 Servicing 1 - D02-02-24-0049
2025-04-07 - 13 Servicing 2 - D02-02-24-0049
2025-04-07 - 12 Private Street 5 - D02-02-24-0049
2025-04-07 - 11 Private Street 4 - D02-02-24-0049
2025-04-07 - 10 Private Street 3 - D02-02-24-0049
2025-04-07 - 1 GENERAL NOTES - D02-02-24-0049
2025-04-07 - 0 TITLE PAGE - D02-02-24-0049