Ottawa Development Projects

2940-2946 Baseline Rd.#

Last updated: 2025-11-15 ยท ID: D02-02-23-0046

Summary#

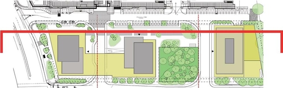
Two high-rise buildings connected by a low-rise podium along Sandcastle Drive and one mid-rise building at the south end of the site.

Status
File Pending (Application File Pending)

Renders#

  • Rendering of building from page 61 of the file '2024-08-30 - Design Brief - D02-02-23-0046'
  • Rendering of building from page 58 of the file '2024-08-30 - Design Brief - D02-02-23-0046'
  • Rendering of building from page 21 of the file '2024-08-30 - Design Brief - D02-02-23-0046'
  • Rendering of building from page 61 of the file '2025-10-03 - Design Brief - D02-02-23-0046'
  • Rendering of building from page 58 of the file '2025-10-03 - Design Brief - D02-02-23-0046'
  • Rendering of building from page 59 of the file '2024-08-30 - Design Brief - D02-02-23-0046'
  • Rendering of building from page 58 of the file '2023-06-12 - Urban Design Brief - D02-02-23-0046'
  • Rendering of building from page 22 of the file '2025-10-03 - Design Brief - D02-02-23-0046'
  • Rendering of building from page 56 of the file '2023-06-12 - Urban Design Brief - D02-02-23-0046'
  • Rendering of building from page 59 of the file '2025-10-03 - Design Brief - D02-02-23-0046'
  • Rendering of building from page 55 of the file '2023-06-12 - Urban Design Brief - D02-02-23-0046'
  • Rendering of building from page 57 of the file '2023-06-12 - Urban Design Brief - D02-02-23-0046'
  • Rendering of building from page 60 of the file '2023-06-12 - Urban Design Brief - D02-02-23-0046'
  • Rendering of building from page 57 of the file '2024-08-30 - Design Brief - D02-02-23-0046'
  • Rendering of building from page 60 of the file '2024-08-30 - Design Brief - D02-02-23-0046'
  • Rendering of building from page 59 of the file '2023-06-12 - Urban Design Brief - D02-02-23-0046'
  • Rendering of building from page 57 of the file '2025-10-03 - Design Brief - D02-02-23-0046'
  • Rendering of building from page 54 of the file '2023-06-12 - Urban Design Brief - D02-02-23-0046'
  • Rendering of building from page 56 of the file '2024-08-30 - Design Brief - D02-02-23-0046'
  • Rendering of building from page 1 of the file '2024-08-30 - Design Brief - D02-02-23-0046'
  • Rendering of building from page 61 of the file '2023-06-12 - Urban Design Brief - D02-02-23-0046'
  • Rendering of building from page 4 of the file '2023-06-12 - Urban Design Brief - D02-02-23-0046'
  • Rendering of building from page 61 of the file '2024-08-30 - Design Brief - D02-02-23-0046'
  • Rendering of building from page 58 of the file '2024-08-30 - Design Brief - D02-02-23-0046'
  • Rendering of building from page 21 of the file '2024-08-30 - Design Brief - D02-02-23-0046'
  • Rendering of building from page 61 of the file '2025-10-03 - Design Brief - D02-02-23-0046'
  • Rendering of building from page 58 of the file '2025-10-03 - Design Brief - D02-02-23-0046'
  • Rendering of building from page 59 of the file '2024-08-30 - Design Brief - D02-02-23-0046'
  • Rendering of building from page 58 of the file '2023-06-12 - Urban Design Brief - D02-02-23-0046'
  • Rendering of building from page 22 of the file '2025-10-03 - Design Brief - D02-02-23-0046'
  • Rendering of building from page 56 of the file '2023-06-12 - Urban Design Brief - D02-02-23-0046'
  • Rendering of building from page 59 of the file '2025-10-03 - Design Brief - D02-02-23-0046'
  • Rendering of building from page 55 of the file '2023-06-12 - Urban Design Brief - D02-02-23-0046'
  • Rendering of building from page 57 of the file '2023-06-12 - Urban Design Brief - D02-02-23-0046'
  • Rendering of building from page 60 of the file '2023-06-12 - Urban Design Brief - D02-02-23-0046'
  • Rendering of building from page 57 of the file '2024-08-30 - Design Brief - D02-02-23-0046'
  • Rendering of building from page 60 of the file '2024-08-30 - Design Brief - D02-02-23-0046'
  • Rendering of building from page 59 of the file '2023-06-12 - Urban Design Brief - D02-02-23-0046'
  • Rendering of building from page 57 of the file '2025-10-03 - Design Brief - D02-02-23-0046'
  • Rendering of building from page 54 of the file '2023-06-12 - Urban Design Brief - D02-02-23-0046'
  • Rendering of building from page 56 of the file '2024-08-30 - Design Brief - D02-02-23-0046'
  • Rendering of building from page 1 of the file '2024-08-30 - Design Brief - D02-02-23-0046'
  • Rendering of building from page 61 of the file '2023-06-12 - Urban Design Brief - D02-02-23-0046'
  • Rendering of building from page 4 of the file '2023-06-12 - Urban Design Brief - D02-02-23-0046'

Location#

Select a marker to view the address.

Site Plans, Elevations and Floor Plans#

  • Image from page 64 of the file '2023-06-12 - Urban Design Brief - D02-02-23-0046'
  • Image from page 56 of the file '2023-06-12 - Urban Design Brief - D02-02-23-0046'
  • Image from page 66 of the file '2025-10-03 - Design Brief - D02-02-23-0046'
  • Image from page 63 of the file '2024-08-30 - Design Brief - D02-02-23-0046'
  • Image from page 63 of the file '2025-10-03 - Design Brief - D02-02-23-0046'
  • Image from page 65 of the file '2024-08-30 - Design Brief - D02-02-23-0046'
  • Image from page 63 of the file '2023-06-12 - Urban Design Brief - D02-02-23-0046'
  • Image from page 62 of the file '2023-06-12 - Urban Design Brief - D02-02-23-0046'
  • Image from page 62 of the file '2024-08-30 - Design Brief - D02-02-23-0046'
  • Image from page 62 of the file '2025-10-03 - Design Brief - D02-02-23-0046'
  • Image from page 64 of the file '2024-08-30 - Design Brief - D02-02-23-0046'
  • Image from page 66 of the file '2024-08-30 - Design Brief - D02-02-23-0046'
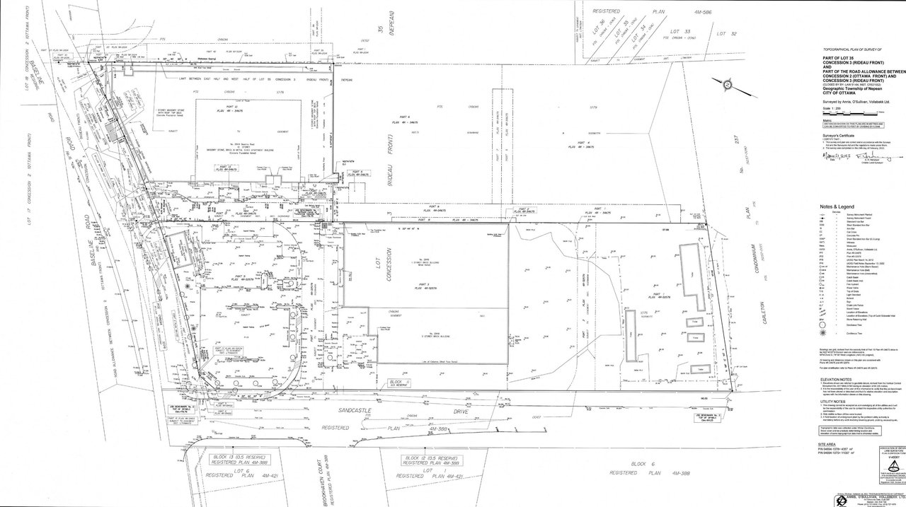
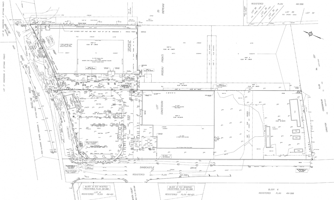
  • Construction site plan for project from page 14 of the file '2024-08-30 - Design Brief - D02-02-23-0046'
  • Construction site plan for project from page 37 of the file '2024-08-30 - Design Brief - D02-02-23-0046'
  • Construction site plan for project from page 43 of the file '2023-06-12 - Urban Design Brief - D02-02-23-0046'
  • Construction site plan for project from page 10 of the file '2024-08-30 - Design Brief - D02-02-23-0046'
  • Construction site plan for project from page 11 of the file '2023-06-12 - Urban Design Brief - D02-02-23-0046'
  • Construction site plan for project from page 38 of the file '2025-10-03 - Design Brief - D02-02-23-0046'
  • Construction site plan for project from page 77 of the file '2024-08-30 - Design Brief - D02-02-23-0046'
  • Construction site plan for project from page 24 of the file '2025-10-03 - Design Brief - D02-02-23-0046'
  • Construction site plan for project from page 79 of the file '2025-10-03 - Design Brief - D02-02-23-0046'
  • Construction site plan for project from page 80 of the file '2025-10-03 - Design Brief - D02-02-23-0046'
  • Construction site plan for project from page 76 of the file '2025-10-03 - Design Brief - D02-02-23-0046'
  • Construction site plan for project from page 80 of the file '2024-08-30 - Design Brief - D02-02-23-0046'
  • Construction site plan for project from page 77 of the file '2024-08-30 - Design Brief - D02-02-23-0046'
  • Construction site plan for project from page 12 of the file '2023-06-12 - Urban Design Brief - D02-02-23-0046'
  • Construction site plan for project from page 80 of the file '2024-08-30 - Design Brief - D02-02-23-0046'
  • Construction site plan for project from page 75 of the file '2024-08-30 - Design Brief - D02-02-23-0046'
  • Construction site plan for project from page 29 of the file '2023-06-12 - Urban Design Brief - D02-02-23-0046'
  • Construction site plan for project from page 10 of the file '2025-10-03 - Design Brief - D02-02-23-0046'
  • Construction site plan for project from page 78 of the file '2025-10-03 - Design Brief - D02-02-23-0046'
  • Construction site plan for project from page 79 of the file '2024-08-30 - Design Brief - D02-02-23-0046'
  • Construction site plan for project from page 76 of the file '2025-10-03 - Design Brief - D02-02-23-0046'
  • Construction site plan for project from page 78 of the file '2025-10-03 - Design Brief - D02-02-23-0046'
  • Construction site plan for project from page 79 of the file '2025-10-03 - Design Brief - D02-02-23-0046'
  • Construction site plan for project from page 77 of the file '2025-10-03 - Design Brief - D02-02-23-0046'
  • Construction site plan for project from page 82 of the file '2024-08-30 - Design Brief - D02-02-23-0046'
  • Construction site plan for project from page 79 of the file '2025-10-03 - Design Brief - D02-02-23-0046'
  • Construction site plan for project from page 75 of the file '2025-10-03 - Design Brief - D02-02-23-0046'
  • Construction site plan for project from page 77 of the file '2024-08-30 - Design Brief - D02-02-23-0046'
  • Construction site plan for project from page 76 of the file '2024-08-30 - Design Brief - D02-02-23-0046'
  • Construction site plan for project from page 81 of the file '2025-10-03 - Design Brief - D02-02-23-0046'
  • Construction site plan for project from page 78 of the file '2024-08-30 - Design Brief - D02-02-23-0046'
  • Construction site plan for project from page 78 of the file '2024-08-30 - Design Brief - D02-02-23-0046'
  • Construction site plan for project from page 80 of the file '2024-08-30 - Design Brief - D02-02-23-0046'
  • Construction site plan for project from page 74 of the file '2025-10-03 - Design Brief - D02-02-23-0046'
  • Construction site plan for project from page 76 of the file '2024-08-30 - Design Brief - D02-02-23-0046'
  • Construction site plan for project from page 79 of the file '2024-08-30 - Design Brief - D02-02-23-0046'
  • Construction site plan for project from page 64 of the file '2024-08-30 - Design Brief - D02-02-23-0046'
  • Construction site plan for project from page 85 of the file '2024-08-30 - Design Brief - D02-02-23-0046'
  • Construction site plan for project from page 12 of the file '2025-10-03 - Design Brief - D02-02-23-0046'
  • Construction site plan for project from page 88 of the file '2024-08-30 - Design Brief - D02-02-23-0046'
  • Construction site plan for project from page 76 of the file '2024-08-30 - Design Brief - D02-02-23-0046'
  • Construction site plan for project from page 84 of the file '2024-08-30 - Design Brief - D02-02-23-0046'
  • Construction site plan for project from page 6 of the file '2023-06-12 - Urban Design Brief - D02-02-23-0046'
  • Construction site plan for project from page 79 of the file '2024-08-30 - Design Brief - D02-02-23-0046'
  • Construction site plan for project from page 84 of the file '2024-08-30 - Design Brief - D02-02-23-0046'
  • Floor plan for project from page 37 of the file '2023-06-12 - Urban Design Brief - D02-02-23-0046'
  • Floor plan for project from page 39 of the file '2023-06-12 - Urban Design Brief - D02-02-23-0046'
  • Floor plan for project from page 38 of the file '2023-06-12 - Urban Design Brief - D02-02-23-0046'
  • Floor plan for project from page 40 of the file '2023-06-12 - Urban Design Brief - D02-02-23-0046'
  • Floor plan for project from page 40 of the file '2023-06-12 - Urban Design Brief - D02-02-23-0046'
  • Image from page 64 of the file '2023-06-12 - Urban Design Brief - D02-02-23-0046'
  • Image from page 56 of the file '2023-06-12 - Urban Design Brief - D02-02-23-0046'
  • Image from page 66 of the file '2025-10-03 - Design Brief - D02-02-23-0046'
  • Image from page 63 of the file '2024-08-30 - Design Brief - D02-02-23-0046'
  • Image from page 63 of the file '2025-10-03 - Design Brief - D02-02-23-0046'
  • Image from page 65 of the file '2024-08-30 - Design Brief - D02-02-23-0046'
  • Image from page 63 of the file '2023-06-12 - Urban Design Brief - D02-02-23-0046'
  • Image from page 62 of the file '2023-06-12 - Urban Design Brief - D02-02-23-0046'
  • Image from page 62 of the file '2024-08-30 - Design Brief - D02-02-23-0046'
  • Image from page 62 of the file '2025-10-03 - Design Brief - D02-02-23-0046'
  • Image from page 64 of the file '2024-08-30 - Design Brief - D02-02-23-0046'
  • Image from page 66 of the file '2024-08-30 - Design Brief - D02-02-23-0046'
  • Construction site plan for project from page 14 of the file '2024-08-30 - Design Brief - D02-02-23-0046'
  • Construction site plan for project from page 37 of the file '2024-08-30 - Design Brief - D02-02-23-0046'
  • Construction site plan for project from page 43 of the file '2023-06-12 - Urban Design Brief - D02-02-23-0046'
  • Construction site plan for project from page 10 of the file '2024-08-30 - Design Brief - D02-02-23-0046'
  • Construction site plan for project from page 11 of the file '2023-06-12 - Urban Design Brief - D02-02-23-0046'
  • Construction site plan for project from page 38 of the file '2025-10-03 - Design Brief - D02-02-23-0046'
  • Construction site plan for project from page 77 of the file '2024-08-30 - Design Brief - D02-02-23-0046'
  • Construction site plan for project from page 24 of the file '2025-10-03 - Design Brief - D02-02-23-0046'
  • Construction site plan for project from page 79 of the file '2025-10-03 - Design Brief - D02-02-23-0046'
  • Construction site plan for project from page 80 of the file '2025-10-03 - Design Brief - D02-02-23-0046'
  • Construction site plan for project from page 76 of the file '2025-10-03 - Design Brief - D02-02-23-0046'
  • Construction site plan for project from page 80 of the file '2024-08-30 - Design Brief - D02-02-23-0046'
  • Construction site plan for project from page 77 of the file '2024-08-30 - Design Brief - D02-02-23-0046'
  • Construction site plan for project from page 12 of the file '2023-06-12 - Urban Design Brief - D02-02-23-0046'
  • Construction site plan for project from page 80 of the file '2024-08-30 - Design Brief - D02-02-23-0046'
  • Construction site plan for project from page 75 of the file '2024-08-30 - Design Brief - D02-02-23-0046'
  • Construction site plan for project from page 29 of the file '2023-06-12 - Urban Design Brief - D02-02-23-0046'
  • Construction site plan for project from page 10 of the file '2025-10-03 - Design Brief - D02-02-23-0046'
  • Construction site plan for project from page 78 of the file '2025-10-03 - Design Brief - D02-02-23-0046'
  • Construction site plan for project from page 79 of the file '2024-08-30 - Design Brief - D02-02-23-0046'
  • Construction site plan for project from page 76 of the file '2025-10-03 - Design Brief - D02-02-23-0046'
  • Construction site plan for project from page 78 of the file '2025-10-03 - Design Brief - D02-02-23-0046'
  • Construction site plan for project from page 79 of the file '2025-10-03 - Design Brief - D02-02-23-0046'
  • Construction site plan for project from page 77 of the file '2025-10-03 - Design Brief - D02-02-23-0046'
  • Construction site plan for project from page 82 of the file '2024-08-30 - Design Brief - D02-02-23-0046'
  • Construction site plan for project from page 79 of the file '2025-10-03 - Design Brief - D02-02-23-0046'
  • Construction site plan for project from page 75 of the file '2025-10-03 - Design Brief - D02-02-23-0046'
  • Construction site plan for project from page 77 of the file '2024-08-30 - Design Brief - D02-02-23-0046'
  • Construction site plan for project from page 76 of the file '2024-08-30 - Design Brief - D02-02-23-0046'
  • Construction site plan for project from page 81 of the file '2025-10-03 - Design Brief - D02-02-23-0046'
  • Construction site plan for project from page 78 of the file '2024-08-30 - Design Brief - D02-02-23-0046'
  • Construction site plan for project from page 78 of the file '2024-08-30 - Design Brief - D02-02-23-0046'
  • Construction site plan for project from page 80 of the file '2024-08-30 - Design Brief - D02-02-23-0046'
  • Construction site plan for project from page 74 of the file '2025-10-03 - Design Brief - D02-02-23-0046'
  • Construction site plan for project from page 76 of the file '2024-08-30 - Design Brief - D02-02-23-0046'
  • Construction site plan for project from page 79 of the file '2024-08-30 - Design Brief - D02-02-23-0046'
  • Construction site plan for project from page 64 of the file '2024-08-30 - Design Brief - D02-02-23-0046'
  • Construction site plan for project from page 85 of the file '2024-08-30 - Design Brief - D02-02-23-0046'
  • Construction site plan for project from page 12 of the file '2025-10-03 - Design Brief - D02-02-23-0046'
  • Construction site plan for project from page 88 of the file '2024-08-30 - Design Brief - D02-02-23-0046'
  • Construction site plan for project from page 76 of the file '2024-08-30 - Design Brief - D02-02-23-0046'
  • Construction site plan for project from page 84 of the file '2024-08-30 - Design Brief - D02-02-23-0046'
  • Construction site plan for project from page 6 of the file '2023-06-12 - Urban Design Brief - D02-02-23-0046'
  • Construction site plan for project from page 79 of the file '2024-08-30 - Design Brief - D02-02-23-0046'
  • Construction site plan for project from page 84 of the file '2024-08-30 - Design Brief - D02-02-23-0046'
  • Floor plan for project from page 37 of the file '2023-06-12 - Urban Design Brief - D02-02-23-0046'
  • Floor plan for project from page 39 of the file '2023-06-12 - Urban Design Brief - D02-02-23-0046'
  • Floor plan for project from page 38 of the file '2023-06-12 - Urban Design Brief - D02-02-23-0046'
  • Floor plan for project from page 40 of the file '2023-06-12 - Urban Design Brief - D02-02-23-0046'
  • Floor plan for project from page 40 of the file '2023-06-12 - Urban Design Brief - D02-02-23-0046'

Additional Information#

Date Initiated2023-06-07
WardWard 8 - Laine Johnson
All Addresses2940 Baseline Rd.
2946 Baseline Rd.

Documents#

TypeDocument
Application Summary2023-06-30 - Application Summary - D02-02-23-0046
Application Summary2024-11-08 - Application Summary update - D02-02-23-0046
Architectural Plans2023-06-12 - Site Plan - D02-02-23-0046
Architectural Plans2023-06-12 - Architectural Drawings Set - D02-02-23-0046
Architectural Plans2024-08-30 - Site Plan - D02-02-23-0046
Architectural Plans2024-11-04 - Site serving plan - D02-02-23-0046
Architectural Plans2024-11-04 - Site Plan - D02-02-23-0046
Architectural Plans2025-10-03 - Technical Set Plan - D02-02-23-0046
Architectural Plans2025-10-03 - Sanitary Drainage Plan - D02-02-23-0046
Architectural Plans2025-10-03 - Notes & Legends Plan - D02-02-23-0046
Civil Engineering Report2023-06-12 - Civil Drawings - D02-02-23-0046
Civil Engineering Report2024-08-30 - Civil Plans - D02-02-23-0046
Civil Engineering Report2024-11-04 - Civil Plans - D02-02-23-0046
Design Brief2023-06-12 - Urban Design Brief - D02-02-23-0046
Design Brief2024-08-30 - Design Brief - D02-02-23-0046
Design Brief2024-11-04 - Design Brief - D02-02-23-0046
Design Brief2025-10-03 - Design Brief - D02-02-23-0046
Environmental2023-06-12 - Phase One Environmental Site Assessment - D02-02-23-0046
Environmental2025-10-03 - Phase Two ESA by Inspec - D02-02-23-0046
Environmental2025-10-03 - Phase One ESA by Paterson - D02-02-23-0046
Environmental2025-10-03 - Phase One ESA by Lopers - D02-02-23-0046
Environmental2025-10-03 - Phase One ESA by Inspec - D02-02-23-0046
Environmental2025-10-03 - Phase One ESA by EXP - D02-02-23-0046
Environmental2025-10-03 - Environmental Soil Investigation - D02-02-23-0046
Erosion And Sediment Control Plan2024-11-04 - erosion and control plan - D02-02-23-0046
Erosion And Sediment Control Plan2025-10-03 - Erosion Control Plan & Details Sheet - D02-02-23-0046
Existing Conditions2024-11-04 - existing condition and removal - D02-02-23-0046
Existing Conditions2025-10-03 - Existing Conditions & Removals Plan - D02-02-23-0046
Geotechnical Report2023-06-12 - Geotechnical Investigation - D02-02-23-0046
Geotechnical Report2024-11-04 - Grading Plan - D02-02-23-0046
Geotechnical Report2025-10-03 - Soil Characterization Report - D02-02-23-0046
Geotechnical Report2025-10-03 - Grading Plan - D02-02-23-0046
Landscape Plan2023-06-12 - Landscape Plans - D02-02-23-0046
Landscape Plan2024-08-30 - Landscape Plan L100 - D02-02-23-0046
Landscape Plan2024-08-30 - Landscape Details L200 - D02-02-23-0046
Landscape Plan2024-11-04 - Landscape Plan L100 - D02-02-23-0046
Landscape Plan2024-11-04 - Landscape Details L200 - D02-02-23-0046
Landscape Plan2025-10-03 - Landscape Plan & Park Facility Fit Plan - D02-02-23-0046
Landscape Plan2025-10-03 - Landscape Details & Notes - D02-02-23-0046
Noise Study2023-06-12 - Roadway Traffic Noise Assessment - D02-02-23-0046
Noise Study2024-08-30 - Traffic Noise Assessment - D02-02-23-0046
Noise Study2024-11-04 - Traffic Noise Assessment - D02-02-23-0046
Planning2023-06-12 - Planning Rationale - D02-02-23-0046
Planning2024-08-30 - Planning Rationale Addendum - D02-02-23-0046
Planning2024-11-04 - Planning Rationale Addendum - D02-02-23-0046
Planning2025-10-03 - Planning Rationale Addendum - D02-02-23-0046
Site Servicing2023-06-12 - Servicing and Stormwater Management Report - D02-02-23-0046
Site Servicing2025-10-03 - Site Servicing Plan - D02-02-23-0046
Site Servicing2025-10-03 - Site Servicing & Stormwater Management Report - D02-02-23-0046
Stormwater Management2024-08-30 - SWM Report - D02-02-23-0046
Stormwater Management2024-11-04 - Storm water management report - D02-02-23-0046
Stormwater Management2024-11-04 - Storm Drainage - D02-02-23-0046
Stormwater Management2024-11-04 - SWM Report - D02-02-23-0046
Stormwater Management2025-10-03 - Storm Drainage Plan - D02-02-23-0046
Transportation Analysis2023-06-12 - TIA Strategy Report - D02-02-23-0046
Transportation Analysis2023-06-12 - TDM Measures Checklist - D02-02-23-0046
Transportation Analysis2024-08-30 - TIA Final Report - D02-02-23-0046
Transportation Analysis2024-11-04 - TIA Final Report - D02-02-23-0046
Transportation Analysis2025-10-03 - TIA Final Report - D02-02-23-0046
Tree Information and Conservation2023-06-12 - Tree Conservation Report - D02-02-23-0046
Tree Information and Conservation2024-08-30 - Tree Conservation Report - D02-02-23-0046
Tree Information and Conservation2024-11-04 - Tree Conservation Report - D02-02-23-0046
Tree Information and Conservation2025-10-20 - Tree Conservation Report - D02-02-23-0046
Wind Study2023-06-12 - Pedestrian Level Wind Study - D02-02-23-0046
Wind Study2024-08-30 - Wind Study - D02-02-23-0046
Wind Study2024-11-04 - Wind Study - D02-02-23-0046
2024-11-04 - Sanitary Drainage - D02-02-23-0046
2024-11-04 - Note and Legend - D02-02-23-0046