1166 Bank St.#
Last updated: 2024-06-03 · ID: D02-02-23-0023
Summary#
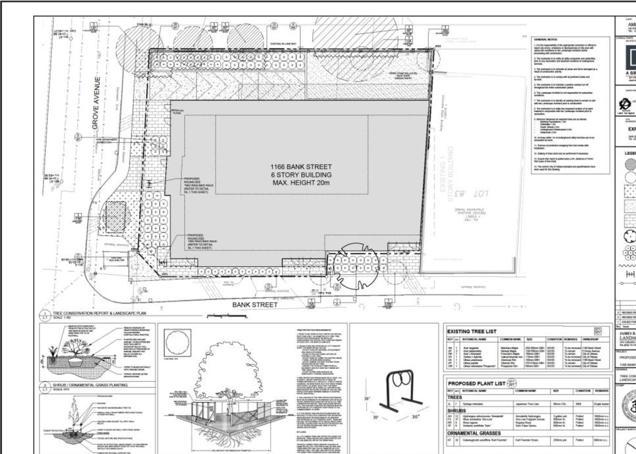
The City of Ottawa has received a Zoning By-law Amendment and Site Plan Control application to permit the construction of six-storey, mixed-use building with four ground floor commercial units, 37 residential units, and 14 parking spaces.
Status
Inactive (Zoning By-law in Effect)
Building Scale (Max.)
Based on elevation drawings. Values may be approximate. See sources for exact figures.
Mid-rise · 6 storeys
· 21.93 m
Renders#
Location#
Select a marker to view the address.
Site Plans, Elevations and Floor Plans#
Additional Information#
| Date Initiated | 2023-03-29 |
| Ward | Ward 17 - Shawn Menard |









