6310 Hazeldean Rd.#
Last updated: 2024-10-19 · ID: D02-02-22-0038
Summary#
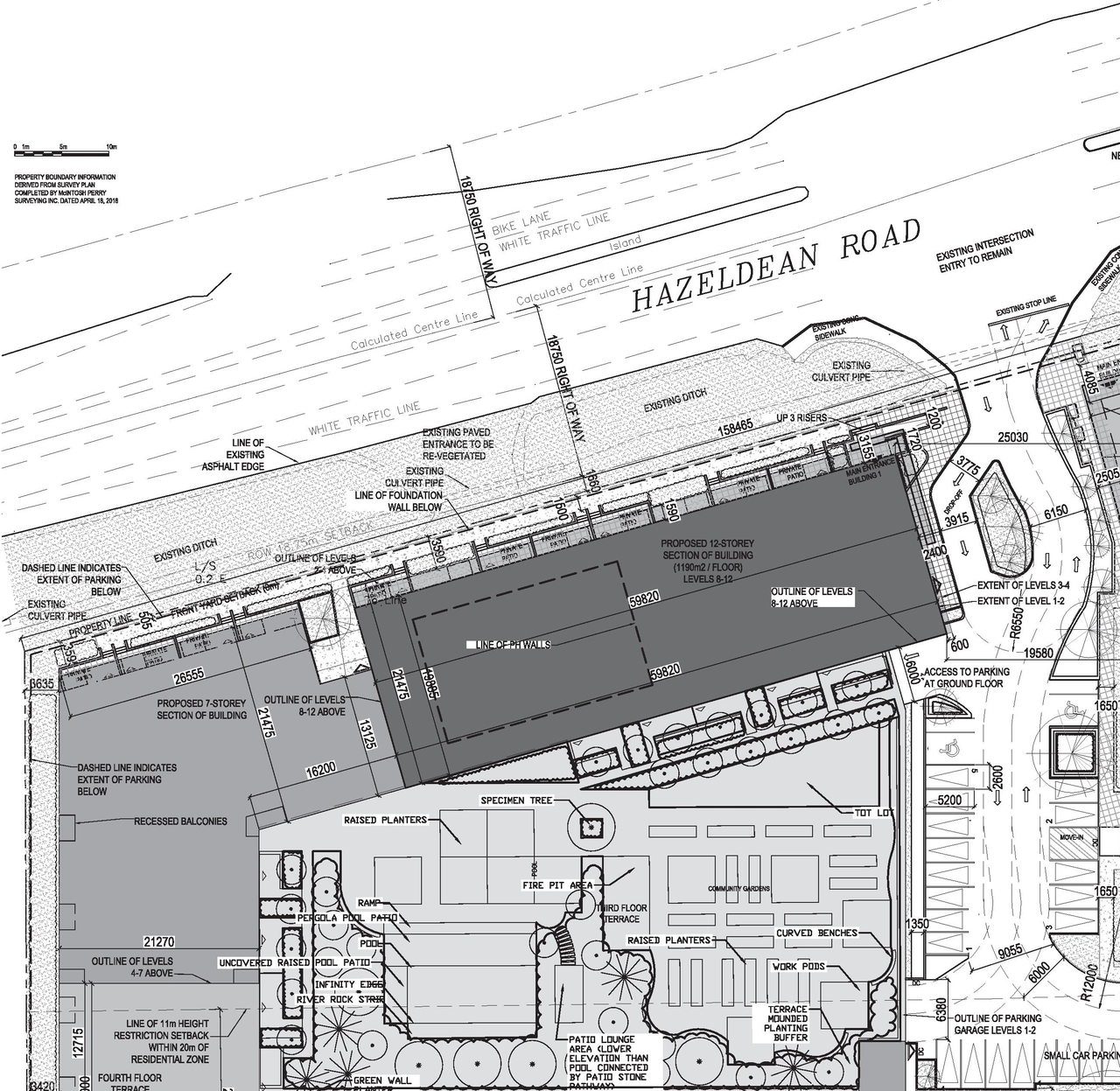
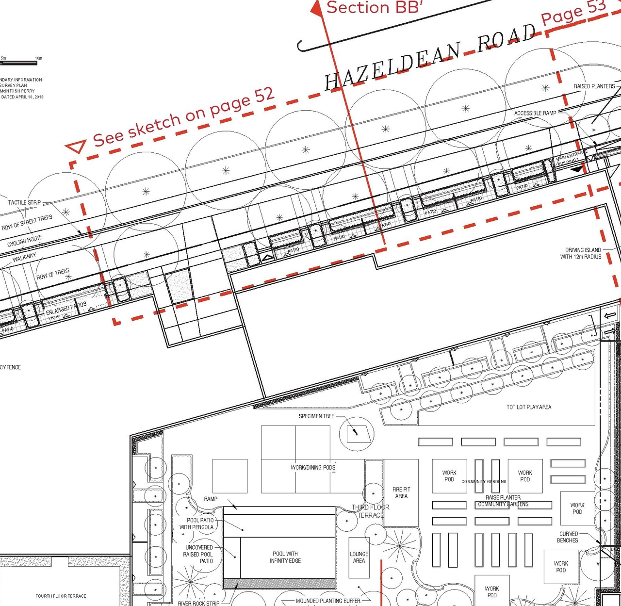
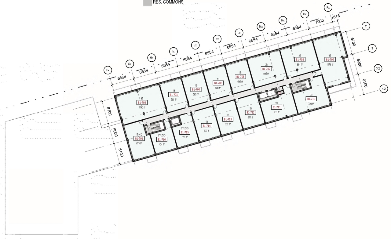
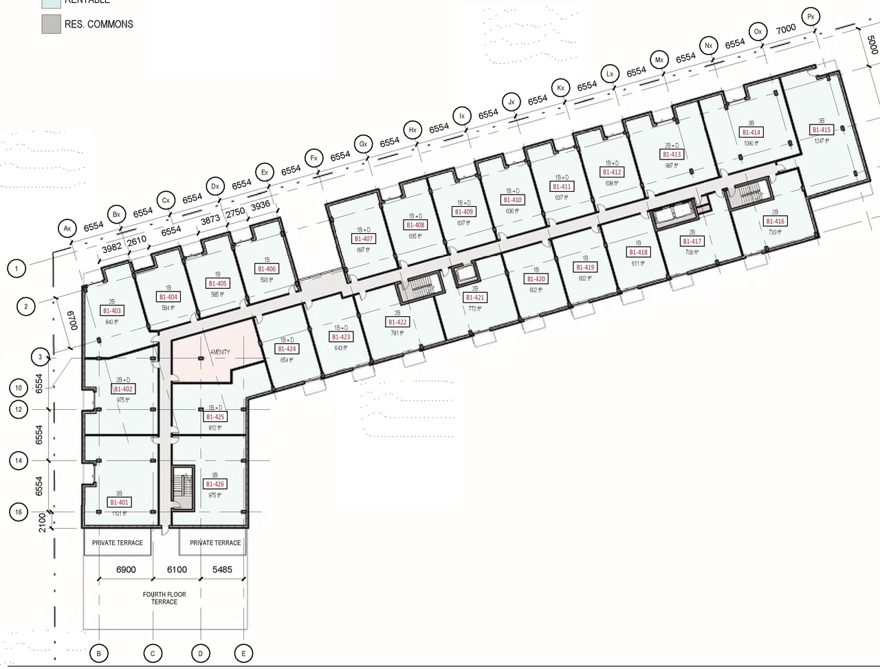
The City of Ottawa has received a resubmission of a Zoning By-Law Amendment application for the site at 6310 Hazeldean Road. The current proposal is to construct a residential development containing 431 dwelling units within two buildings, with heights stepping up from 3 storeys to 21-storeys.
Status
Inactive (Zoning By-law in Effect)
Building Scale (Max.)
Based on elevation drawings. Values may be approximate. See sources for exact figures.
Mid-rise · 9 storeys
· 36.1 m
Data Quality Note
Height was partially estimated using visual scale. This may be approximate.
Data Quality Note
Text was extracted using optical character recognition. This may introduce artifacts or misreads.
Renders#
Location#
Select a marker to view the address.
Site Plans, Elevations and Floor Plans#
Additional Information#
| Date Initiated | 2022-04-25 |
| Ward | Ward 6 - Glen Gower |


















































































