112 Nelson St.#
Last updated: 2018-07-11 · ID: D02-02-17-0114
Summary#
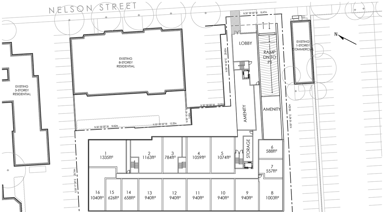
The City of Ottawa has received a Zoning By-law Amendment application to rezone the site to a residential zone in order to permit a 9-storey building with approximately 176 dwelling units, and 66 parking spaces in an underground garage. The application also seeks to permit Office as an additional use.
Status
Post Approval (Application Approved by Council)
Renders#
Location#
Select a marker to view the address.
Site Plans, Elevations and Floor Plans#
Additional Information#
| Date Initiated | 2017-11-30 |
| Ward | Ward 12 - Stéphanie Plante |








